Benvenuto Ospite

Forum Entomologi Italiani

www.entomologiitaliani.net/forum
 
Oggi è 29/04/2026, 15:10

Tutti gli orari sono UTC + 1 ora [ ora legale ]

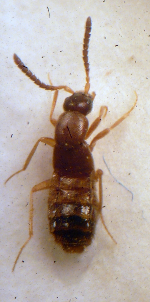
Drusilla cf. canaliculata (Fabricius, 1787) - Staphylinidae

V.1993 - ITALIA - Marche - PU, Pesaro


nuovo argomento
rispondi
Pagina 1 di 1 [ 3 messaggi ]
Autore Messaggio
MessaggioInviato: 05/02/2010, 21:16 
Avatar utente

Iscritto il: 11/11/2009, 20:54
Messaggi: 4857
Località: Pesaro
Nome: Marco Paglialunga
Per questa Pietro,mi sembra di capire, che ti aspetto a Pesaro ;)
Visto che l'ho fotografata intanto te la posto.....
Pesaro V-93
3 mm


P1010847.JPG


_________________
O voi ch'avete li 'ntelletti sani, mirate la dottrina che s'asconde sotto 'l velame de li versi strani
(InfeRRno - canto IX - vv. 61-63)
Top
profilo
 Oggetto del messaggio: Re: Atheta sp.
MessaggioInviato: 05/02/2010, 22:41 
Avatar utente

Iscritto il: 09/11/2009, 14:12
Messaggi: 5199
Località: Hradec Kralove,Czech republik
Nome: Jan Matějíček
Drusilla Leach, 1819

Drusilla canaliculata (Fabricius, 1787) (N, S, Si?, Sa?)
Drusilla italica (Bernhauer, 1903) (N, S, Si)
Drusilla memnonia (Maerkel, 1844)
Drusilla memnonia mnemonia (Maerkel, 1844) (Si) [E]

_________________
Research Fields
Taxonomy, ecology, biomonitoring , faunistic of Staphylinidae


Top
profilo
 Oggetto del messaggio: Re: Atheta sp.
MessaggioInviato: 10/02/2010, 13:34 
Avatar utente

Iscritto il: 15/11/2009, 23:48
Messaggi: 105
Località: Loreggia (PD)
Nome: Pietro Visentini
Ciao Marco, Jan ha ragione per il genere, è una Drusilla. Propenderei per la canaliculata, specie abbastanza comune, anche se le dimensioni che riporti sono un po' inferiori a quelle indicate in letteratura. Non conosco l'italica e la memnonia si può escludere per il luogo di raccolta.
Chissà se in primavera, neve permettendo, riesco a fare un giro dalle tue parti... :to:
:hi:
Piero


Top
profilo
Visualizza ultimi messaggi:  Ordina per  
nuovo argomento
rispondi
Pagina 1 di 1 [ 3 messaggi ]

Tutti gli orari sono UTC + 1 ora [ ora legale ]


Chi c’è in linea

Visitano il forum: Nessuno e 1 ospite


Non puoi aprire nuovi argomenti
Non puoi rispondere negli argomenti
Non puoi modificare i tuoi messaggi
Non puoi cancellare i tuoi messaggi
Non puoi inviare allegati

Cerca per:
Vai a: