Benvenuto Ospite

Forum Entomologi Italiani

www.entomologiitaliani.net/forum
 
Oggi è 29/10/2025, 13:57

Tutti gli orari sono UTC + 1 ora [ ora legale ]

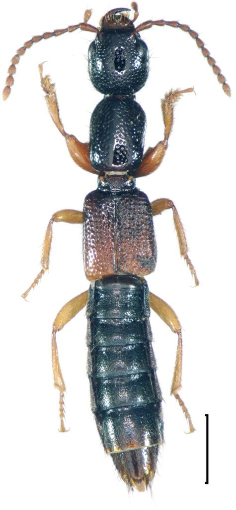
Lobrathium multipunctum multipunctum (Gravenhorst, 1802) (cf.) - Staphylinidae Paederinae

10.X.2013 - ITALIA - Marche - PU, Collina Baratoff


nuovo argomento
rispondi
Pagina 1 di 1 [ 4 messaggi ]
Autore Messaggio
MessaggioInviato: 13/10/2013, 20:45 
Avatar utente

Iscritto il: 11/11/2009, 20:54
Messaggi: 4850
Località: Pesaro
Nome: Marco Paglialunga
6.5 mm


P a e d e r i n a e - Lathrobiina - Lathrobium sp..JPG


_________________
O voi ch'avete li 'ntelletti sani, mirate la dottrina che s'asconde sotto 'l velame de li versi strani
(InfeRRno - canto IX - vv. 61-63)
Top
profilo
MessaggioInviato: 13/10/2013, 21:14 
Avatar utente

Iscritto il: 09/11/2009, 14:12
Messaggi: 5145
Località: Hradec Kralove,Czech republik
Nome: Jan Matějíček
Lobrathium multipunctum multipunctum (Gravenhorst, 1802) cf.

_________________
Research Fields
Taxonomy, ecology, biomonitoring , faunistic of Staphylinidae


Top
profilo
MessaggioInviato: 13/10/2013, 21:38 
Avatar utente

Iscritto il: 11/11/2009, 20:54
Messaggi: 4850
Località: Pesaro
Nome: Marco Paglialunga
:birra: Jan!! :oooner: E io che pensavo di aver preso il mio primo Lathrobium :no1: :(
LBB_0039_2_0731-0755.pdf [617.37 KiB]
Scaricato 94 volte

MARCHE :?
Paganetti: 2 exx 1899 M.te Conero
Fiori: 1 ex 1900 Iesi
................................

_________________
O voi ch'avete li 'ntelletti sani, mirate la dottrina che s'asconde sotto 'l velame de li versi strani
(InfeRRno - canto IX - vv. 61-63)


Top
profilo
MessaggioInviato: 14/10/2013, 7:23 
Avatar utente

Iscritto il: 09/11/2009, 14:12
Messaggi: 5145
Località: Hradec Kralove,Czech republik
Nome: Jan Matějíček
Lobrathium multipunctum (Gravenhorst, 1802)
Lathrobium striatopunctatum Motschulsky 1858: 646, preoccupied.
Lathrobium differens Gemminger & Harold 1868: 610, replacement
name.


Italy: Basilicata: 2 exs., Pignola ris. WWF, Lago Pignola (PZ),11.VII.1992, leg. Angelini (NHMD, cAss); 2 exs., Policoro(MT), 3.XI.2000, leg. Angelini (NHMD, cAss). Calabria: 5 exs.,Belvedere Mar., S.S. 18 at Sangineto stream (CS), 15.IV.1994,leg. Angelini (NHMD, cAss); 3 exs., Lao river, 4 km from estuary(CS), 17.VI.1994, leg. Angelini (NHMD, cAss); 4 exs., Santa Maria Cedro, Abatemarco river (CS), 17.VI.1994, leg. Angelini (NHMD); 1 ex., Crotone, Esaro river, 26.X.2003, leg. Angelini (cAss).

(Assing, 2012)


Lobrathium multipunctum multipunctum (Gravenhorst, 1802).jpg

multipun.jpg

multipun (2).jpg


_________________
Research Fields
Taxonomy, ecology, biomonitoring , faunistic of Staphylinidae
Top
profilo
Visualizza ultimi messaggi:  Ordina per  
nuovo argomento
rispondi
Pagina 1 di 1 [ 4 messaggi ]

Tutti gli orari sono UTC + 1 ora [ ora legale ]


Chi c’è in linea

Visitano il forum: Nessuno e 1 ospite


Non puoi aprire nuovi argomenti
Non puoi rispondere negli argomenti
Non puoi modificare i tuoi messaggi
Non puoi cancellare i tuoi messaggi
Non puoi inviare allegati

Cerca per:
Vai a:  
cron