Benvenuto Ospite

Forum Entomologi Italiani

www.entomologiitaliani.net/forum
 
Oggi è 04/02/2026, 23:53

Tutti gli orari sono UTC + 1 ora [ ora legale ]

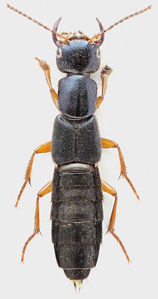
Tasgius falcifer (Nordmann, 1837) - Staphylinidae

25.XI.2013 - ITALIA - Lazio - RM, Via di Settebagni


nuovo argomento
rispondi
Pagina 1 di 1 [ 4 messaggi ]
Autore Messaggio
MessaggioInviato: 16/12/2013, 20:18 
Avatar utente

Iscritto il: 30/12/2009, 22:20
Messaggi: 31564
Località: Roma
Nome: Maurizio Gigli
Sempre nel solito prato allagato. In mezzo ai detriti galleggianti o tra le erbe affioranti, ecco un altro dei numerosissimi Staphylinidae. Questo è già grandicello.

Lazio, Roma, Via di Settebagni, 25.XI.2013, M. Gigli legit

15 mm
Staphylinidae_Settebagni_25-XI-2013_10_15mm_grey.jpg


_________________
Maurizio Gigli
http://utenti.romascuola.net/bups
http://bup.xoom.it/


Top
profilo
 Oggetto del messaggio: Re: Staphylinidae
MessaggioInviato: 16/12/2013, 22:35 
Avatar utente

Iscritto il: 05/02/2009, 17:47
Messaggi: 7252
Località: Cagliari
Nome: Piero Leo
Tasgius falcifer (Nordmann, 1837)

:) Ciao
Piero


Top
profilo
MessaggioInviato: 16/12/2013, 22:38 
Avatar utente

Iscritto il: 30/12/2009, 22:20
Messaggi: 31564
Località: Roma
Nome: Maurizio Gigli
Nome appropriato. Alcuni Staphylinidae hanno delle mandibole da far paura.

_________________
Maurizio Gigli
http://utenti.romascuola.net/bups
http://bup.xoom.it/


Top
profilo
MessaggioInviato: 17/12/2013, 0:05 
Avatar utente

Iscritto il: 30/12/2010, 11:51
Messaggi: 4548
Località: San Giovanni Valdarno (AR)
Nome: Giovanni Altadonna
Bella specie, che ancora non ho trovato. In Sicilia è presente con la ssp. aliquoi (Bordoni, 1976), dedicata al nostro noto collega entomologo Dott. Vittorio Aliquò. :)

_________________
"L' uomo che è cieco alle bellezze della natura ha perduto metà del piacere di vivere"
Sir Robert Baden Powell

Giovanni Altadonna


Top
profilo
Visualizza ultimi messaggi:  Ordina per  
nuovo argomento
rispondi
Pagina 1 di 1 [ 4 messaggi ]

Tutti gli orari sono UTC + 1 ora [ ora legale ]


Chi c’è in linea

Visitano il forum: Nessuno e 1 ospite


Non puoi aprire nuovi argomenti
Non puoi rispondere negli argomenti
Non puoi modificare i tuoi messaggi
Non puoi cancellare i tuoi messaggi
Non puoi inviare allegati

Cerca per:
Vai a:  
cron