Benvenuto Ospite

Forum Entomologi Italiani

www.entomologiitaliani.net/forum
 
Oggi è 12/11/2025, 1:57

Tutti gli orari sono UTC + 1 ora [ ora legale ]

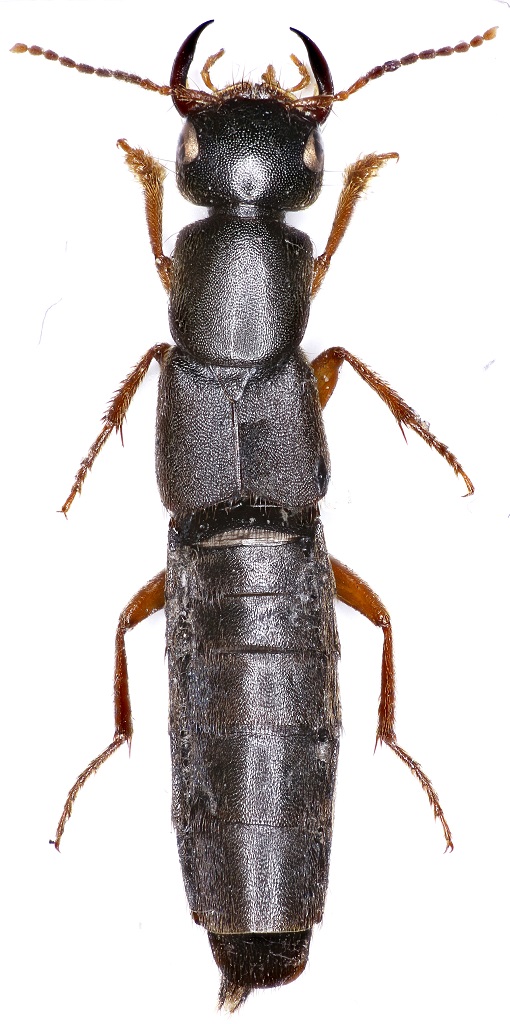
Tasgius (Rayacheila) morsitans (Rossi, 1790) - Staphylinidae

17.VII.2013 - GERMANIA - EE, Northeim


nuovo argomento
rispondi
Pagina 1 di 1 [ 6 messaggi ]
Autore Messaggio
MessaggioInviato: 05/01/2016, 22:47 
Avatar utente

Iscritto il: 31/07/2014, 16:09
Messaggi: 619
Località: Northeim, Lower Saxony, Germany
Nome: Alex Hasenkampf
:hi: 18mm


18mm 17.07.13 Northeim.jpg

Top
profilo
 Oggetto del messaggio: Re: Staphylinidae .
MessaggioInviato: 05/01/2016, 22:57 
Avatar utente

Iscritto il: 05/02/2009, 17:47
Messaggi: 7252
Località: Cagliari
Nome: Piero Leo
Credo si tratti di Tasgius (Rayacheila) falcifer (Nordmann 1837)

:) Ciao
Piero


Top
profilo
 Oggetto del messaggio: Re: Staphylinidae .
MessaggioInviato: 05/01/2016, 23:33 
Avatar utente

Iscritto il: 31/07/2014, 16:09
Messaggi: 619
Località: Northeim, Lower Saxony, Germany
Nome: Alex Hasenkampf
:? not it
:gun: http://pm.nm.cz/OpenUpData/Entomologie/Fotky/E236.jpg


Untitled - 1.jpg

Top
profilo
 Oggetto del messaggio: Re: Staphylinidae .
MessaggioInviato: 05/01/2016, 23:39 
 

Iscritto il: 02/11/2010, 22:33
Messaggi: 990
Nome: Aleksei Kovalev
Tasgius (Rayacheila) morsitans
:hi:


Top
profilo
 Oggetto del messaggio: Re: Staphylinidae .
MessaggioInviato: 05/01/2016, 23:44 
Avatar utente

Iscritto il: 05/02/2009, 17:47
Messaggi: 7252
Località: Cagliari
Nome: Piero Leo
:oops:

:) Ciao
Piero


Top
profilo
 Oggetto del messaggio: Re: Staphylinidae .
MessaggioInviato: 05/01/2016, 23:46 
Avatar utente

Iscritto il: 31/07/2014, 16:09
Messaggi: 619
Località: Northeim, Lower Saxony, Germany
Nome: Alex Hasenkampf
:hi: :ok:


Top
profilo
Visualizza ultimi messaggi:  Ordina per  
nuovo argomento
rispondi
Pagina 1 di 1 [ 6 messaggi ]

Tutti gli orari sono UTC + 1 ora [ ora legale ]


Chi c’è in linea

Visitano il forum: Nessuno e 1 ospite


Non puoi aprire nuovi argomenti
Non puoi rispondere negli argomenti
Non puoi modificare i tuoi messaggi
Non puoi cancellare i tuoi messaggi
Non puoi inviare allegati

Cerca per:
Vai a: