Benvenuto Ospite

Forum Entomologi Italiani

www.entomologiitaliani.net/forum
 
Oggi è 25/10/2025, 13:01

Tutti gli orari sono UTC + 1 ora [ ora legale ]

Apheliotyphlus nobilis (Pace, 1976) - Staphylinidae Leptotyphlinae Neotyphlini

17.VIII.2022 - ITALIA - Friuli-Venezia Giulia - PN, Gerchia


nuovo argomento
rispondi
Pagina 1 di 1 [ 8 messaggi ]
Autore Messaggio
MessaggioInviato: 04/12/2023, 14:25 
Avatar utente

Iscritto il: 19/06/2012, 14:35
Messaggi: 5626
Località: Alfonsine (RA)
Nome: Marco Villani
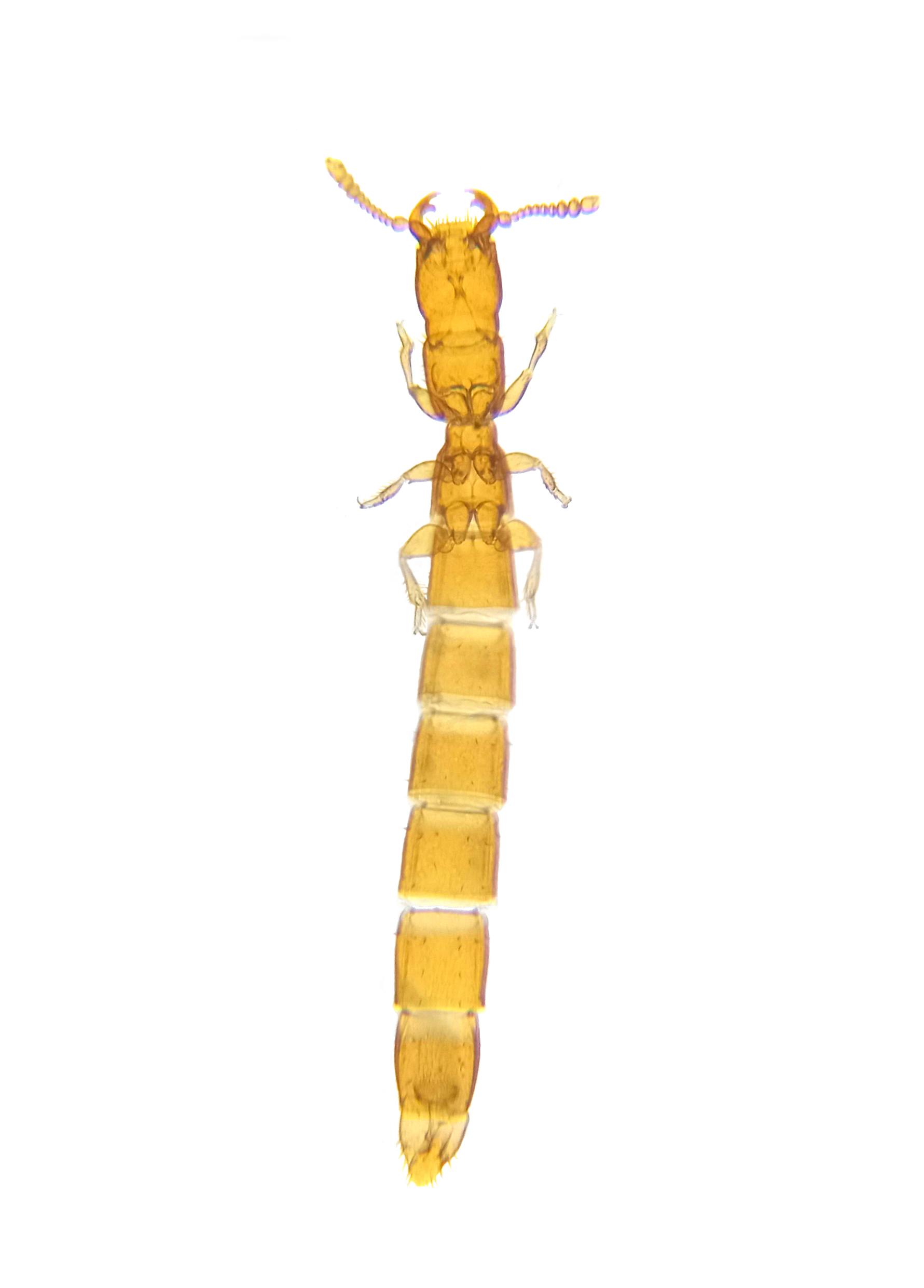
Apheliotyphlus nobilis (Pace, 1976) è uno dei più interessanti Leptotyphlinae europei. Appartiene infatti ad un gruppo di generi con rappresentanti nell'emisfero australe. Questo gruppo è caratterizzato dall'ultimo sternite del maschio (VI apparente) senza la rientranza apicale che si osserva negli altri Leptotyphlinae (e in gran parte degli Staphylinidae) ma con alcune ornamentazioni di aspetto variabile costituite da peli e setole. Tali ornamentazioni sono secondariamente perse in alcune specie. Troviamo i generi di questo gruppo, oltre che in Europa (Apheliotyphlus, Megatyphlus, Kladotyphlus), in Sudafrica (Cafrotyphlus) e Cile (Macrotyphlus, Paramacrotyphlus, Eutyphlops, Chiliotyphlus, Oreinotyphlus). Tra i generi europei, Apheliotyphlus è facilmente riconoscibile per conservare le ornamentazioni sull'ultimo sternite del maschio (secondariamente perse in Megatyphlus e Kaldotyphlus). Conserva un ulteriore carattere condiviso con alcune specie cilene, ovvero una robusta spina sul secondo pro- e mesotarsomero.
Questo genere monospecifico ha una distribuzione limitata alle Prealpi Carniche ed era noto ad oggi del solo locus typicus: Maniago, versante settentrionale del Monte Jof presso il torrente Colvera. Oltre che nel locus typicus, personalmente l'ho raccolto in altre 2 località.
Tra l'altro è uno dei più grandi Leptotyphlinae al mondo, potendo superare i 2 mm.
Habitus, maschio.
20220830_161132.jpg


Sternite VI del maschio.
20220827_105741.jpg


Ambiente dove ho raccolto la specie a Gerchia. Si tratta di una piccola dolina in un bosco misto a prevalenza di faggio dove era piuttosto comune. Fuori da tale dolina era invece raro.
20220904_081117.jpg


Come gli altri Leptotyphlinae si raccoglie lavando la terra. L'ho trovato da 10 a 40 cm di profondità in terreni piuttosto sciolti misti a pietruzze, sia su roccia madre calcarea che su un terrazzo fluviale antico. Da quanto osservato si trova tra i 300 e i 700 metri di quota. L'ho preso in sintopia con Metrotyphlus pauper, Leptotyphlus foroiuliensis e Cephalotyphlus foroiuliensis.

Marco :hi:


Top
profilo
MessaggioInviato: 04/12/2023, 15:23 
Avatar utente

Iscritto il: 10/05/2010, 22:31
Messaggi: 4371
Località: Gavorrano (GR)
Nome: marco bastianini
Bravo Marco.Bel resoconto e belle catture. :ok: :ok:

_________________
:to: Marco
"Le foreste a precedere le civiltà, i deserti a seguire."
François-René de Chateaubriand


Top
profilo
MessaggioInviato: 04/12/2023, 16:54 
 

Iscritto il: 13/06/2022, 19:25
Messaggi: 204
Località: Cambiago (MI)
Nome: Lorenzo Locati
Molto interessante, i Leptotyphlinae sono una sottofamiglia che vorrei iniziare a raccogliere, eventualmente :D


Top
profilo
MessaggioInviato: 04/12/2023, 16:58 
Avatar utente

Iscritto il: 10/04/2019, 19:33
Messaggi: 64
Località: Milano
Nome: Alberto Nodari
Gran bel lavoro! :ok: :o

_________________
Ulpi


Top
profilo
MessaggioInviato: 05/12/2023, 12:34 
Avatar utente

Iscritto il: 19/06/2012, 14:35
Messaggi: 5626
Località: Alfonsine (RA)
Nome: Marco Villani
Grazie mille a tutti :)

Lorenzo Locati ha scritto:
Molto interessante, i Leptotyphlinae sono una sottofamiglia che vorrei iniziare a raccogliere, eventualmente :D

Vedo che sei del Milanese. Probabilmente quella zona nasconde ancora qualche specie da scoprire. Basti pensare che delle Prealpi a ovest di Bergamo è nota una sola specie, a fronte di una notevole diversità ad est.

Marco :hi:


Top
profilo
MessaggioInviato: 05/12/2023, 13:01 
Avatar utente

Iscritto il: 08/02/2010, 23:01
Messaggi: 6169
Località: Vicenza
Nome: Silvano Biondi
Moltissimi complimenti Marco :birra:
Se prima o poi decidi di fare ricerche sui Colli Berici, puoi contare su una guida esperta dei posti :bln:

:hi:

_________________



Silvano


Top
profilo
MessaggioInviato: 05/12/2023, 16:47 
 

Iscritto il: 13/06/2022, 19:25
Messaggi: 204
Località: Cambiago (MI)
Nome: Lorenzo Locati
Cita:
Vedo che sei del Milanese. Probabilmente quella zona nasconde ancora qualche specie da scoprire. Basti pensare che delle Prealpi a ovest di Bergamo è nota una sola specie, a fronte di una notevole diversità ad est.


Vedrò cosa riesco a combinare, accettando ogni consiglio che mi viene concesso :cap:


Top
profilo
MessaggioInviato: 05/12/2023, 17:04 
Avatar utente

Iscritto il: 19/06/2012, 14:35
Messaggi: 5626
Località: Alfonsine (RA)
Nome: Marco Villani
Apoderus ha scritto:
Moltissimi complimenti Marco :birra:
Se prima o poi decidi di fare ricerche sui Colli Berici, puoi contare su una guida esperta dei posti :bln:

:hi:


Grazie Silvano :) Sui Berici ci sono stato 3 volte ma ho cercato solo nelle località già note (con discreti risultati). Non mi dispiacerebbe ampliare le ricerche ad altre zone. Potremmo organizzare qualcosa per la prossima primavera.

Lorenzo Locati ha scritto:
Vedrò cosa riesco a combinare, accettando ogni consiglio che mi viene concesso


Ti consiglio di leggere questi lavoretti di Roberto Pace: viewtopic.php?f=225&t=16786

:hi:


Top
profilo
Visualizza ultimi messaggi:  Ordina per  
nuovo argomento
rispondi
Pagina 1 di 1 [ 8 messaggi ]

Tutti gli orari sono UTC + 1 ora [ ora legale ]


Chi c’è in linea

Visitano il forum: Nessuno e 1 ospite


Non puoi aprire nuovi argomenti
Non puoi rispondere negli argomenti
Non puoi modificare i tuoi messaggi
Non puoi cancellare i tuoi messaggi
Non puoi inviare allegati

Cerca per:
Vai a: