Benvenuto Ospite

Forum Entomologi Italiani

www.entomologiitaliani.net/forum
 
Oggi è 30/10/2025, 11:19

Tutti gli orari sono UTC + 1 ora [ ora legale ]

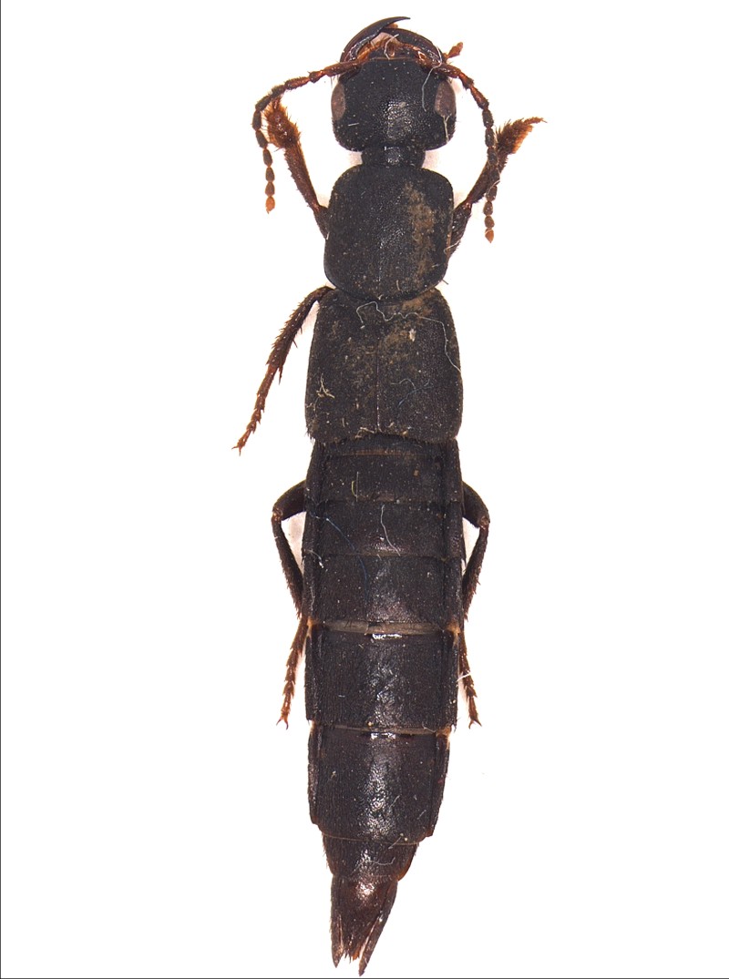
Tasgius (Rayacheila) morsitans (Rossi 1790) - Staphylinidae

VIII.2006 - ITALIA - Sardegna - NU, Desulo


nuovo argomento
rispondi
Pagina 1 di 1 [ 4 messaggi ]
Autore Messaggio
MessaggioInviato: 01/04/2009, 23:13 
Avatar utente

Iscritto il: 02/02/2009, 23:32
Messaggi: 5645
Località: da Ferrara ad Alghero
Nome: Roberto A. Pantaleoni
Ho descritto l'ambiente di cattura in questa discussione.

Desulo (sito 2); 23 agosto 2006; trappola a caduta; 18-19 mm
Sta2_02Desulo2_23Ag06_Caduta_18-19.jpg



Roberto :to:

_________________
verum stabile cetera fumus


Top
profilo
MessaggioInviato: 03/04/2009, 20:00 
Avatar utente

Iscritto il: 06/02/2009, 9:07
Messaggi: 1484
Località: Val Camonica (BS)
Nome: Davide Pedersoli
quasi certamente Ocypus, ma di più non saprei...... :hi:

_________________
Pedux Camuno


Top
profilo
MessaggioInviato: 04/05/2009, 21:32 
Avatar utente

Iscritto il: 05/02/2009, 17:34
Messaggi: 894
Località: Sondrio - Lombardia - Italia
Nome: Paride Dioli
Ci vorrebbero Zanetti o Pilon :bln:

_________________
Link: https://www.ndsu.edu/pubweb/~rider/Pentatomoidea/Researchers/Dioli_Paride.htm
Papers in PDF format: https://www.researchgate.net/profile/Paride_Dioli/?ev=hdr_xprf/


Top
profilo
MessaggioInviato: 10/07/2009, 12:21 
Amministratore
Avatar utente

Iscritto il: 02/02/2009, 23:30
Messaggi: 7102
Località: Capaci (Pa)
Nome: Marcello Romano
Si tratta di Tasgius morsitans (ex Ocypus compressus).
Determinazione di Nicola Pilon, trasmessa a Roberto (Hemerobius).

_________________
:hi: Marcello Romano


Top
profilo
Visualizza ultimi messaggi:  Ordina per  
nuovo argomento
rispondi
Pagina 1 di 1 [ 4 messaggi ]

Tutti gli orari sono UTC + 1 ora [ ora legale ]


Chi c’è in linea

Visitano il forum: Nessuno e 1 ospite


Non puoi aprire nuovi argomenti
Non puoi rispondere negli argomenti
Non puoi modificare i tuoi messaggi
Non puoi cancellare i tuoi messaggi
Non puoi inviare allegati

Cerca per:
Vai a: