Benvenuto Ospite

Forum Entomologi Italiani

www.entomologiitaliani.net/forum
 
Oggi è 29/10/2025, 13:41

Tutti gli orari sono UTC + 1 ora [ ora legale ]

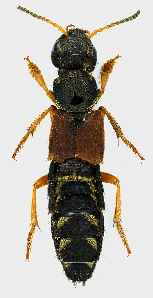
Staphylinus (Staphylinus) dimidiaticornis Gemminger, 1851 - Staphylinidae Staphylininae - Insetti della città di Roma

18.III.2011 - ITALIA - Lazio - RM, Roma, Parco Urbano dell'Aniene


nuovo argomento
rispondi
Pagina 1 di 1 [ 2 messaggi ]
Autore Messaggio
MessaggioInviato: 23/03/2011, 10:15 
Avatar utente

Iscritto il: 30/12/2009, 22:20
Messaggi: 31564
Località: Roma
Nome: Maurizio Gigli
Questo era stato beccato da una cornacchia, evidentemente giovane ed inesperta, proprio davanti a me, e poi risputato subito.

Come si dice? Dalla padella alla brace? :gh:

Lazio, Roma, Parco Urbano dell'Aniene, 18.III.2011, M. Gigli legit
22 mm
Staphylino_Parco_Aniene_18-III-2011_22mm.jpg


_________________
Maurizio Gigli
http://utenti.romascuola.net/bups
http://bup.xoom.it/


Top
profilo
MessaggioInviato: 23/03/2011, 11:49 
Avatar utente

Iscritto il: 09/11/2009, 14:12
Messaggi: 5145
Località: Hradec Kralove,Czech republik
Nome: Jan Matějíček
Staphylinus (s.str.) dimidiaticornis Gemminger, 1851

:hi:


Bez názvu.jpg


_________________
Research Fields
Taxonomy, ecology, biomonitoring , faunistic of Staphylinidae
Top
profilo
Visualizza ultimi messaggi:  Ordina per  
nuovo argomento
rispondi
Pagina 1 di 1 [ 2 messaggi ]

Tutti gli orari sono UTC + 1 ora [ ora legale ]


Chi c’è in linea

Visitano il forum: Nessuno e 2 ospiti


Non puoi aprire nuovi argomenti
Non puoi rispondere negli argomenti
Non puoi modificare i tuoi messaggi
Non puoi cancellare i tuoi messaggi
Non puoi inviare allegati

Cerca per:
Vai a: