Benvenuto Ospite

Forum Entomologi Italiani

www.entomologiitaliani.net/forum
 
Oggi è 27/10/2025, 12:55

Tutti gli orari sono UTC + 1 ora [ ora legale ]

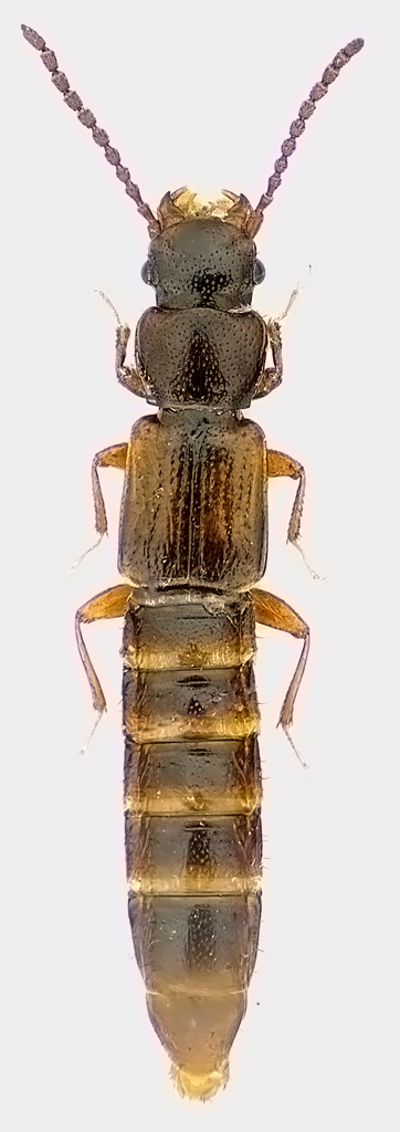
Siagonium quadricorne Kirby, 1815 - Staphylinidae - P i e s t i n a e

27.II.2011 - ITALIA - Veneto - BL, Feltre: Foen Loc. Traversere 46° 2'3"N 11°54'52"E


nuovo argomento
rispondi
Pagina 1 di 1 [ 3 messaggi ]
Autore Messaggio
MessaggioInviato: 28/02/2011, 14:45 
Avatar utente

Iscritto il: 08/06/2009, 0:06
Messaggi: 3415
Località: Feltre(BL)
Nome: Nicola Dal Zotto
Sotto corteccia di Acacia.
staf-27-II-2011-Foenf.jpg


_________________
Nicola Dal Zotto


Top
profilo
 Oggetto del messaggio: Re: Sotto corteccia
MessaggioInviato: 28/02/2011, 15:06 
Avatar utente

Iscritto il: 09/11/2009, 14:12
Messaggi: 5145
Località: Hradec Kralove,Czech republik
Nome: Jan Matějíček
femminile - Siagonium quadricorne Kirby, 1815 - Staphylinidae - P i e s t i n a e

_________________
Research Fields
Taxonomy, ecology, biomonitoring , faunistic of Staphylinidae


Top
profilo
 Oggetto del messaggio: Re: Sotto corteccia
MessaggioInviato: 28/02/2011, 15:21 
Avatar utente

Iscritto il: 08/06/2009, 0:06
Messaggi: 3415
Località: Feltre(BL)
Nome: Nicola Dal Zotto
Honza ha scritto:
femminile - Siagonium quadricorne Kirby, 1815 - Staphylinidae - P i e s t i n a e

Grazie!!
:lov2: :hp:

_________________
Nicola Dal Zotto


Top
profilo
Visualizza ultimi messaggi:  Ordina per  
nuovo argomento
rispondi
Pagina 1 di 1 [ 3 messaggi ]

Tutti gli orari sono UTC + 1 ora [ ora legale ]


Chi c’è in linea

Visitano il forum: Nessuno e 2 ospiti


Non puoi aprire nuovi argomenti
Non puoi rispondere negli argomenti
Non puoi modificare i tuoi messaggi
Non puoi cancellare i tuoi messaggi
Non puoi inviare allegati

Cerca per:
Vai a: