| Forum Entomologi Italiani http://www.entomologiitaliani.net/public/forum/phpBB3/ |
|
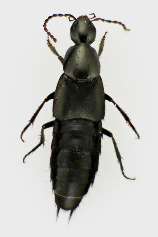
| Philonthus (Philonthus) cf. cognatus (Stephens, 1832) - Staphylinidae Staphylininae Philonthini Philonthina http://www.entomologiitaliani.net/public/forum/phpBB3/viewtopic.php?f=243&t=18857 |
Pagina 1 di 1 |
| Autore: | ilio [ 17/03/2011, 13:10 ] |
| Oggetto del messaggio: | Philonthus (Philonthus) cf. cognatus (Stephens, 1832) - Staphylinidae Staphylininae Philonthini Philonthina |
raccolto sotto uno strato di muschio secco 9 mm |
|
| Autore: | Honza [ 17/03/2011, 14:00 ] |
| Oggetto del messaggio: | Re: stafilinide |
Philonthus (s.str.) cf. cognatus (Stephens, 1832) - Staphylininae - Philonthini - Philonthina |
|
| Autore: | ilio [ 17/03/2011, 14:02 ] |
| Oggetto del messaggio: | Re: stafilinide |
grazie ilio rocchi |
|
| Pagina 1 di 1 | Tutti gli orari sono UTC + 1 ora [ ora legale ] |
| Powered by phpBB® Forum Software © phpBB Group http://www.phpbb.com/ |
|