Benvenuto Ospite

Forum Entomologi Italiani

www.entomologiitaliani.net/forum
 
Oggi è 10/10/2025, 17:59

Tutti gli orari sono UTC + 1 ora [ ora legale ]

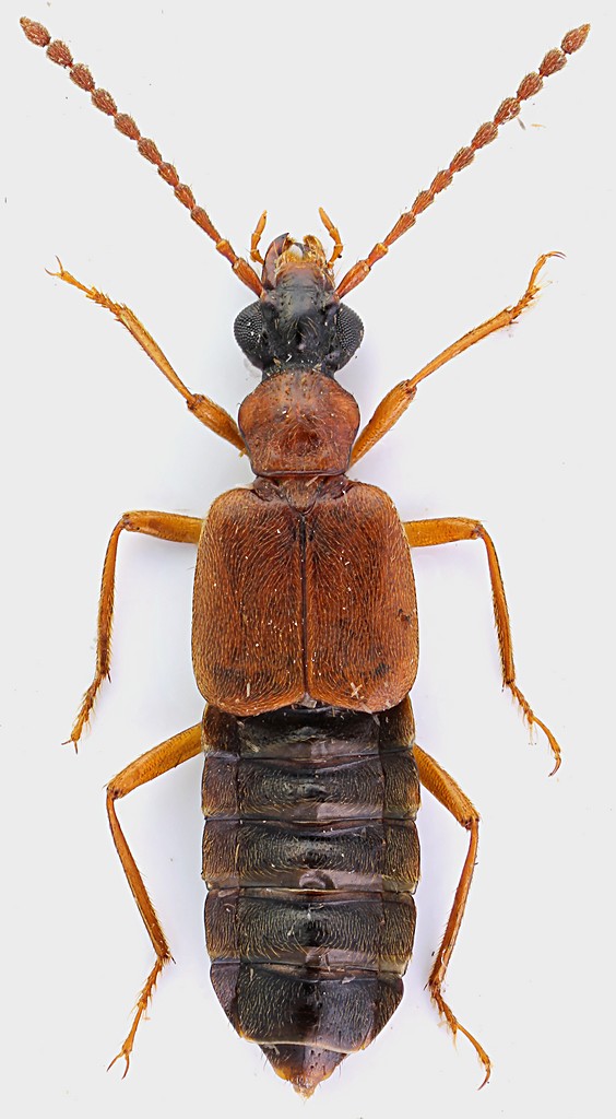
Deleaster dichrous (Gravenhorst, 1802) - Staphylinidae Oxytelinae

1.VIII.2011 - ITALIA - Lazio - FR, Serrone, 650 m


nuovo argomento
rispondi
Pagina 1 di 1 [ 3 messaggi ]
Autore Messaggio
MessaggioInviato: 15/08/2011, 0:20 
Avatar utente

Iscritto il: 30/12/2009, 22:20
Messaggi: 31564
Località: Roma
Nome: Maurizio Gigli
Staphilinidae arrivati alla luce.

Lazio, Frosinone, Serrone, 650 m, sul terrazzo di casa alla luce nera, 1.VIII.2011, M. Gigli legit

8 mm
Staphylinidae_Serrone_1-VIII-2011_8mm_grey.jpg


_________________
Maurizio Gigli
http://utenti.romascuola.net/bups
http://bup.xoom.it/


Top
profilo
 Oggetto del messaggio: Re: Staphylinidae - Lazio
MessaggioInviato: 15/08/2011, 0:35 
Avatar utente

Iscritto il: 06/02/2009, 9:07
Messaggi: 1483
Località: Val Camonica (BS)
Nome: Davide Pedersoli
dovrebbe essere Deleaster dichrous (Gravenhorst, 1802) così a occhio :roll:

_________________
Pedux Camuno


Top
profilo
 Oggetto del messaggio: Re: Staphylinidae - Lazio
MessaggioInviato: 15/08/2011, 0:45 
Avatar utente

Iscritto il: 30/12/2009, 22:20
Messaggi: 31564
Località: Roma
Nome: Maurizio Gigli
Grazie Davide. Controllando vedo che ce ne sono già tre sul Forum, di Emilia Romagna, Calabria e Sicilia. Ne mancava giusto uno dell'Italia centrale.

Non me ne erano mai arrivati alla luce, ma quest'anno ne è arrivato più d'uno in diverse notti.

_________________
Maurizio Gigli
http://utenti.romascuola.net/bups
http://bup.xoom.it/


Top
profilo
Visualizza ultimi messaggi:  Ordina per  
nuovo argomento
rispondi
Pagina 1 di 1 [ 3 messaggi ]

Tutti gli orari sono UTC + 1 ora [ ora legale ]


Chi c’è in linea

Visitano il forum: Nessuno e 1 ospite


Non puoi aprire nuovi argomenti
Non puoi rispondere negli argomenti
Non puoi modificare i tuoi messaggi
Non puoi cancellare i tuoi messaggi
Non puoi inviare allegati

Cerca per:
Vai a: