Benvenuto Ospite

Forum Entomologi Italiani

www.entomologiitaliani.net/forum
 
Oggi è 10/10/2025, 3:37

Tutti gli orari sono UTC + 1 ora [ ora legale ]

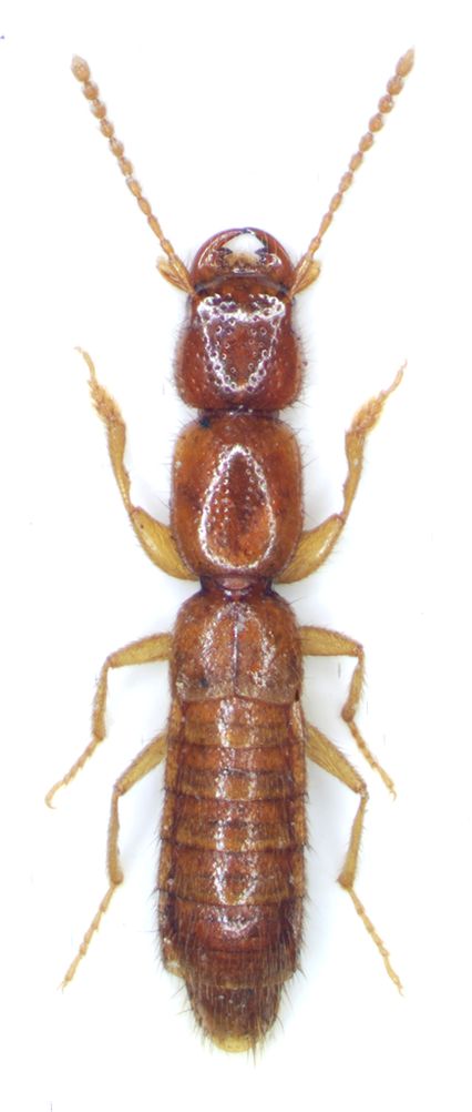
Scotonomus petriolii Bordoni & Magrini, 2010

25.VI.2009 - ITALIA - Lazio - LT, Grotta della Cava, Sezze


nuovo argomento
rispondi
Pagina 1 di 1 [ 7 messaggi ]
Autore Messaggio
MessaggioInviato: 01/09/2011, 21:42 
Avatar utente

Iscritto il: 18/02/2009, 0:24
Messaggi: 3907
Località: Asciano (Siena)
Nome: Andrea Petrioli
E' da tanto che volevo inviare questa immagine, anche perché nella pubblicazione c'è solo il disegno dell'edeago della bestiola in questione.

Raccolto assieme agli amici Bastianini, Degiovanni e Magrini (in rigoroso ordine alfabetico :lol1: ) nella Grotta della Cava (Sezze).

Lunghezza dell'esemplare circa 5 mm.

La peculiarità della specie è quella di risultare particolarmente "larga".

scotonumrid.jpg



124- Scotonomus petriolii.pdf [108.32 KiB]
Scaricato 229 volte

_________________
:hi:
______
Andrea
Top
profilo
MessaggioInviato: 01/09/2011, 21:49 
Avatar utente

Iscritto il: 05/02/2009, 17:47
Messaggi: 7252
Località: Cagliari
Nome: Piero Leo
:birra: Bellissimo Andrea.
In un genere così uniforme una specie di questa taglia e robustezza è davvero un gigante.

:) Ciao
Piero


Top
profilo
MessaggioInviato: 01/09/2011, 21:55 
Avatar utente

Iscritto il: 09/11/2010, 19:52
Messaggi: 4518
Località: Brescia
Nome: Luca Bodei
Belle queste bestioline :p ,altro in questa grotta tipo Duvalius,Bathysciola ecc ecc :roll: ;) :hi: :birra:

_________________
Tc70


Top
profilo
MessaggioInviato: 02/09/2011, 0:18 
Avatar utente

Iscritto il: 18/02/2009, 0:24
Messaggi: 3907
Località: Asciano (Siena)
Nome: Andrea Petrioli
Tenebrio ha scritto:
:birra: Bellissimo Andrea.
In un genere così uniforme una specie di questa taglia e robustezza è davvero un gigante.

:) Ciao
Piero



Forse è per questo che me l'hanno dedicata :lol1: :lol1: :lol1:

Quando la raccolsi per la prima volta credevo fosse un piccolo Lathrobium :D si vede che non ne capisco un gran che di Stafilinidi :oops: :) :oops:

Tc70 ha scritto:
Belle queste bestioline :p ,altro in questa grotta tipo Duvalius,Bathysciola ecc ecc :roll: ;) :hi: :birra:



...ci sono, ci sono :p ma c'è anche tanto radon :sick: :sick: :sick:

_________________
:hi:
______
Andrea


Top
profilo
MessaggioInviato: 02/09/2011, 1:21 
Avatar utente

Iscritto il: 19/09/2009, 22:25
Messaggi: 5912
Località: Brescia
Nome: Vinicio Salami
bellissima bestiola. :ok: :ok:


Top
profilo
MessaggioInviato: 02/09/2011, 6:47 
Avatar utente

Iscritto il: 09/11/2009, 14:12
Messaggi: 5144
Località: Hradec Kralove,Czech republik
Nome: Jan Matějíček
Grazie mille per l'immagine e PDF :ok:

_________________
Research Fields
Taxonomy, ecology, biomonitoring , faunistic of Staphylinidae


Top
profilo
MessaggioInviato: 02/09/2011, 14:51 
Avatar utente

Iscritto il: 05/02/2010, 19:48
Messaggi: 354
Nome: andrea bramanti
... se in futuro ti ricapita un esemplare in più e desideri qualche Lathrobium di quelli ciechi, grossi e rarissimi ....
Complimenti, bella e interessante specie, gli stafilinidi offrono ancora bellissime nuove specie anche fuori porta (si fa per dire)


Top
profilo
Visualizza ultimi messaggi:  Ordina per  
nuovo argomento
rispondi
Pagina 1 di 1 [ 7 messaggi ]

Tutti gli orari sono UTC + 1 ora [ ora legale ]


Chi c’è in linea

Visitano il forum: Nessuno e 2 ospiti


Non puoi aprire nuovi argomenti
Non puoi rispondere negli argomenti
Non puoi modificare i tuoi messaggi
Non puoi cancellare i tuoi messaggi
Non puoi inviare allegati

Cerca per:
Vai a: