Forum Entomologi Italiani
http://www.entomologiitaliani.net/public/forum/phpBB3/

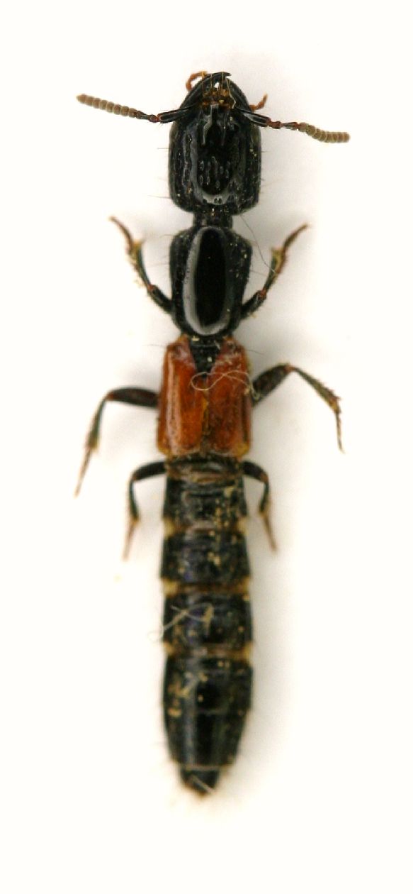
Gauropterus fulgidus (Fabricius, 1787) - Staphylinidae
http://www.entomologiitaliani.net/public/forum/phpBB3/viewtopic.php?f=243&t=31600
Pagina 1 di 1

Autore:  Loriscola [ 02/03/2012, 23:44 ]
Oggetto del messaggio:  Gauropterus fulgidus (Fabricius, 1787) - Staphylinidae

Ieri sera ho aperto la scatola con gli stafilinidi, quelli determinati (una minoranza), unicamente presi a Palazzo Rossi....beh, ecco le foto di quelli più grandicelli, che ho immortalato con il mio artigianalissimo stativo.

Lunghezza: 12,40 mm. circa

Gauropterus fulgidus (Fabricius, 1787)  16.7.05 12.4mm pilon.JPG


Pagina 1 di 1 Tutti gli orari sono UTC + 1 ora [ ora legale ]
Powered by phpBB® Forum Software © phpBB Group
http://www.phpbb.com/