Benvenuto Ospite

Forum Entomologi Italiani

www.entomologiitaliani.net/forum
 
Oggi è 26/10/2025, 4:41

Tutti gli orari sono UTC + 1 ora [ ora legale ]

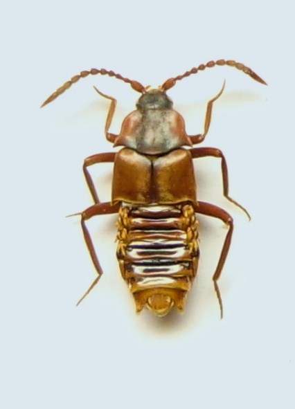
Lomechusa emarginata (Paykull, 1789) - Staphylinidae Aleocharinae Myrmedoniini

28.VII.2012 - ITALIA - Emilia-Romagna - BO, Castel d'Aiano - mt. 950 -


nuovo argomento
rispondi
Pagina 1 di 1 [ 8 messaggi ]
Autore Messaggio
MessaggioInviato: 30/07/2012, 23:35 
Avatar utente

Iscritto il: 05/02/2009, 17:25
Messaggi: 4894
Località: Zola Predosa (BO)
Nome: Loris Colacurcio
Una piccola grande sorpresa attirata dalle luci della mia lampada. Sempre che si tratti davvero di una Lomechusa, questi strani staphylinidi dovrebbero essere strettamente mirmecofili ed anzi si fanno addirittura imboccare dalle formiche, mentre quest'ultime suggono qualche sostanza zuccherina dalla copertura pelosa del loro addome.

Lunghezza: 5-6 mm.

159.JPG


169.JPG


_________________
Loris


Top
profilo
 Oggetto del messaggio: Re: Lomechusa sp. - Staphylinidae
MessaggioInviato: 31/07/2012, 1:40 
Avatar utente

Iscritto il: 09/06/2012, 20:57
Messaggi: 4282
Località: Mesola (FE)
Nome: Daniele Maccapani
:o Affascinante!
Ma il ciclo vitale di questi insetti come si svolge: trascorrono tutta la vita in un formicaio riproducendovisi anche, o vivono all'esterno entrando di tanto in tanto in un formicaio per farsi nutrire?

:hi:

_________________
"Lasciate questo mondo un po' migliore di come lo avete trovato" (Sir Robert Baden Powell)
Immagine Daniele


Top
profilo
 Oggetto del messaggio: Re: Lomechusa sp. - Staphylinidae
MessaggioInviato: 31/07/2012, 7:20 
Avatar utente

Iscritto il: 09/11/2009, 14:12
Messaggi: 5145
Località: Hradec Kralove,Czech republik
Nome: Jan Matějíček
Lomechusa emarginata (Paykull, 1789) Staphylinidae - Aleocharinae - Myrmedoniini


Lomechusa.jpg


_________________
Research Fields
Taxonomy, ecology, biomonitoring , faunistic of Staphylinidae
Top
profilo
MessaggioInviato: 31/07/2012, 9:31 
Avatar utente

Iscritto il: 04/02/2009, 17:49
Messaggi: 5509
Località: Cagliari
Nome: Daniele Sechi
Che meraviglia, Loris :shock:

_________________
:hi:
Daniele


Top
profilo
MessaggioInviato: 01/08/2012, 19:27 
Avatar utente

Iscritto il: 05/02/2009, 17:25
Messaggi: 4894
Località: Zola Predosa (BO)
Nome: Loris Colacurcio
...l'unica cosa "affidabile" che ho trovato sulla Lomechusa è questo articolo, dove si vede la nostra bestiolina in formicaio.

Heteropterus_Rev_Entomol_8(2)_207-210.pdf [340.74 KiB]
Scaricato 182 volte



Grazie per la determinazione jan :ok:

:hi:

_________________
Loris


Top
profilo
MessaggioInviato: 01/08/2012, 21:22 
Avatar utente

Iscritto il: 01/07/2010, 22:26
Messaggi: 5649
Località: Viterbo
Nome: Marco Selis
Questo è proprio strano :shock:


Top
profilo
MessaggioInviato: 01/08/2012, 21:38 
Avatar utente

Iscritto il: 05/02/2009, 17:31
Messaggi: 9527
Località: milano
Nome: maurizio pavesi
ciao ragazzi

le Lomechusa, come altri mirmecofili specializzati, trascorrono gran parte della loro vita nei formicai... ma dato che non risulta si formino nei medesimi per generazione spontanea :to: , a un certo punto viene il momento in cui, in un modo o nell'altro, qualche individuo deve abbandonare il "suo" formicaio per tentare di colonizzarne un altro

p.s. loris, il link non mi funziona :cry: ...

_________________
*****************
Immagine maurizio


Top
profilo
MessaggioInviato: 01/08/2012, 22:17 
Avatar utente

Iscritto il: 05/02/2009, 17:25
Messaggi: 4894
Località: Zola Predosa (BO)
Nome: Loris Colacurcio
Ora ho messo direttamente il pdf....così è leggibile ?

:hi:

_________________
Loris


Top
profilo
Visualizza ultimi messaggi:  Ordina per  
nuovo argomento
rispondi
Pagina 1 di 1 [ 8 messaggi ]

Tutti gli orari sono UTC + 1 ora [ ora legale ]


Chi c’è in linea

Visitano il forum: Nessuno e 1 ospite


Non puoi aprire nuovi argomenti
Non puoi rispondere negli argomenti
Non puoi modificare i tuoi messaggi
Non puoi cancellare i tuoi messaggi
Non puoi inviare allegati

Cerca per:
Vai a: