Benvenuto Ospite

Forum Entomologi Italiani

www.entomologiitaliani.net/forum
 
Oggi è 07/11/2025, 10:46

Tutti gli orari sono UTC + 1 ora [ ora legale ]

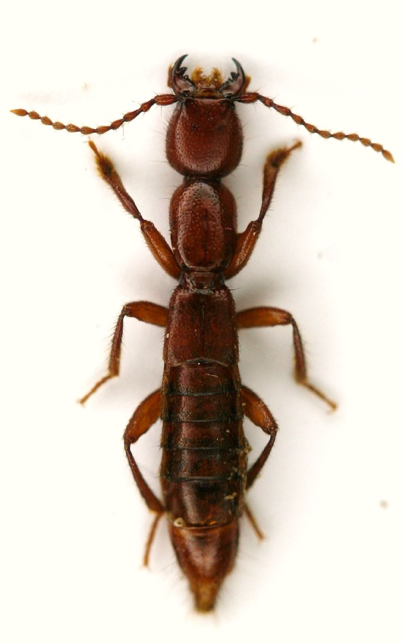
Lathrobium colacurcioi Bordoni & Magrini, 2016 - Staphylinidae, Paederinae

3.III.2012 - ITALIA - Emilia-Romagna - BO, Castel d'Aiano - Mt. 900


nuovo argomento
rispondi
Vai alla pagina 1, 2  Prossimo
Pagina 1 di 2 [ 21 messaggi ]
Autore Messaggio
MessaggioInviato: 03/03/2012, 22:59 
Avatar utente

Iscritto il: 05/02/2009, 17:25
Messaggi: 4894
Località: Zola Predosa (BO)
Nome: Loris Colacurcio
Un'altra splendida chicca da Castel d'Aiano :lol1:
Finalmente la neve si è sciolta e mi sono regalato una mattinata a vagliare....tra le altre cose, ho notato un piccolo affioramento di rocce che formava una sorta di muretto; ho tolto le foglie, ho scavato in profondità proprio alla base...e durante il lavaggio è venuto fuori questo gigante :shock:

Direi Lathrobium...se qualcuno riesce a dire di più, tanto meglio :birra:

Lunghezza: 11 mm. abbondanti.

Latroa1.JPG


Latro2.JPG




lathrobium2.JPG



latro2 edeago.JPG


lathro1 edeago.JPG


_________________
Loris


Top
profilo
 Oggetto del messaggio: Re: Lathrobium sp. - Staphylinidae
MessaggioInviato: 03/03/2012, 23:06 
Avatar utente

Iscritto il: 05/02/2009, 17:25
Messaggi: 4894
Località: Zola Predosa (BO)
Nome: Loris Colacurcio
Guardando questa bella tavola, può ricordare l'andreini ....ma non ho idea di quale sia la sua distribuzione. :roll: :oops:

lathrobium%20edeago.jpg


_________________
Loris


Top
profilo
 Oggetto del messaggio: Re: Lathrobium sp. - Staphylinidae
MessaggioInviato: 03/03/2012, 23:10 
Avatar utente

Iscritto il: 02/09/2009, 20:57
Messaggi: 8703
Località: Cagliari
Nome: Roberto Rattu
E' veramente stupendo, complimenti Loris :birra: :birra: :ok:

:hi:


Top
profilo
 Oggetto del messaggio: Re: Lathrobium sp. - Staphylinidae
MessaggioInviato: 04/03/2012, 13:56 
Avatar utente

Iscritto il: 09/11/2009, 14:12
Messaggi: 5145
Località: Hradec Kralove,Czech republik
Nome: Jan Matějíček
:roll: Lathrobium (Glyptomerus) cavicola H.Müller, 1856 – Paederinae - Lathrobiina

_________________
Research Fields
Taxonomy, ecology, biomonitoring , faunistic of Staphylinidae


Top
profilo
 Oggetto del messaggio: Re: Lathrobium sp. - Staphylinidae
MessaggioInviato: 04/03/2012, 13:58 
Avatar utente

Iscritto il: 06/02/2009, 9:03
Messaggi: 6371
Località: Bubano di Mordano (Bologna)
Nome: Augusto Degiovanni
Vista la località secondo me dovrebbe essere questo ;)

viewtopic.php?f=243&t=4032

mentre la sua ssp mingazzinii è nota solo di Riolo Terme (RA) all'ingresso di una grotta nei Gessi

_________________
CIAO :hi: Augusto Degiovanni

http://anthicidaeecarabidae.altervista.org


Top
profilo
 Oggetto del messaggio: Re: Lathrobium sp. - Staphylinidae
MessaggioInviato: 04/03/2012, 18:30 
Avatar utente

Iscritto il: 08/07/2010, 10:53
Messaggi: 3171
Località: Matera
Nome: Domenico Cardinale
Loris, non fa in ancora in tempo a sciogliersi la neve che tu sei li con il vaglio!!! :gh: :gh: :gh:

_________________
Saluti :hi: Mimmo


Top
profilo
 Oggetto del messaggio: Re: Lathrobium sp. - Staphylinidae
MessaggioInviato: 04/03/2012, 21:20 
 

Iscritto il: 03/02/2012, 20:24
Messaggi: 486
Nome: Alessandro Paladini
Loris, complimenti per la cattura, i Lathrobium come tutte le bestioline cieche sono stupende e siccome ne ho uno del monte Baldo, probabilmente il baldense ed è estratto ma non ho il lavoro sul baldense per la conferma, non è che per caso hai il continuo delle pagine di quella postata sul forum?
Grazie Alessandro :hi:


Top
profilo
 Oggetto del messaggio: Re: Lathrobium sp. - Staphylinidae
MessaggioInviato: 04/03/2012, 21:26 
Avatar utente

Iscritto il: 05/02/2009, 17:25
Messaggi: 4894
Località: Zola Predosa (BO)
Nome: Loris Colacurcio
Grazie Augusto, mi ero limitato a guardare gli edeagi della tavola che ho allegato...questa zona che ho cominciato ad investigare sembra davvero interessante, spero di trovare anche un carabide prima o poi.... ;)

Per Alessandro; no, ho preso quella pagina dal forum. Era allegata al Lathrobium lottii ....e credo che l'abbia inserita Bramanti, quindi dovrebbe averlo lui, l'articolo. :hi:

_________________
Loris


Top
profilo
MessaggioInviato: 04/03/2012, 22:37 
Avatar utente

Iscritto il: 09/11/2009, 14:12
Messaggi: 5145
Località: Hradec Kralove,Czech republik
Nome: Jan Matějíček
Lathrobium (Glyptomerus) maginii (Bordoni 1972)


Bez názvu.jpg

Bez názvu.jpg


_________________
Research Fields
Taxonomy, ecology, biomonitoring , faunistic of Staphylinidae
Top
profilo
MessaggioInviato: 04/03/2012, 22:40 
Avatar utente

Iscritto il: 05/02/2009, 17:25
Messaggi: 4894
Località: Zola Predosa (BO)
Nome: Loris Colacurcio
...ho trovato in rete l'articolo di Bordoni con le immagini dell'edeago del L. maginii:
edeago maginii.jpg



...non mi sembrano così rassomiglianti o sto prendendo una cantonata.... :oops: che dite ? :?
Opps, vedo che Jan mi ha già preceduto :ok:

:hi:

_________________
Loris


Top
profilo
MessaggioInviato: 04/03/2012, 22:48 
Avatar utente

Iscritto il: 09/11/2009, 14:12
Messaggi: 5145
Località: Hradec Kralove,Czech republik
Nome: Jan Matějíček
Loris errore :no: numero 16 L.freyi

_________________
Research Fields
Taxonomy, ecology, biomonitoring , faunistic of Staphylinidae


Top
profilo
MessaggioInviato: 04/03/2012, 22:55 
Avatar utente

Iscritto il: 05/02/2009, 17:25
Messaggi: 4894
Località: Zola Predosa (BO)
Nome: Loris Colacurcio
:oops: ...ho scambiato i lathrobium :(
Ecco perché mi sembrava diverso ;)

:hi:

_________________
Loris


Top
profilo
MessaggioInviato: 24/03/2016, 9:03 
Avatar utente

Iscritto il: 05/02/2009, 17:25
Messaggi: 4894
Località: Zola Predosa (BO)
Nome: Loris Colacurcio
Un piacevolissima conferma su un "vecchio" ritrovamento di Castel d'Aiano che si rivela essere molto interessante anche per quello che ci vive....sotto :lol1:

Lathrobium colacurcioi n.sp. (A. Bordoni & P. Magrini, 2016)

Giornale italiano di Entomologia, 14 (61): 405-408 - 2016

Potete immaginare tutta la mia tronfia soddisfazione.... ;)

_________________
Loris


Top
profilo
MessaggioInviato: 24/03/2016, 9:47 
Avatar utente

Iscritto il: 08/07/2010, 10:53
Messaggi: 3171
Località: Matera
Nome: Domenico Cardinale
Complimenti per il ritrovamento Loris!!! :birra:

_________________
Saluti :hi: Mimmo


Top
profilo
MessaggioInviato: 24/03/2016, 9:48 
Avatar utente

Iscritto il: 05/02/2009, 17:28
Messaggi: 3226
Nome: Marco Uliana
:hp:
:birra: :birra: :birra:

Loris sei veramente una potenza di raccoglitore. Devo portarti con me come mascotte :-)
Quando mi metti insieme una serie del Rhizotrogus di Castel D'aiano?


Top
profilo
Visualizza ultimi messaggi:  Ordina per  
nuovo argomento
rispondi
Vai alla pagina 1, 2  Prossimo
Pagina 1 di 2 [ 21 messaggi ]

Tutti gli orari sono UTC + 1 ora [ ora legale ]


Chi c’è in linea

Visitano il forum: Nessuno e 1 ospite


Non puoi aprire nuovi argomenti
Non puoi rispondere negli argomenti
Non puoi modificare i tuoi messaggi
Non puoi cancellare i tuoi messaggi
Non puoi inviare allegati

Cerca per:
Vai a: