Benvenuto Ospite

Forum Entomologi Italiani

www.entomologiitaliani.net/forum
 
Oggi è 12/10/2025, 0:09

Tutti gli orari sono UTC + 1 ora [ ora legale ]

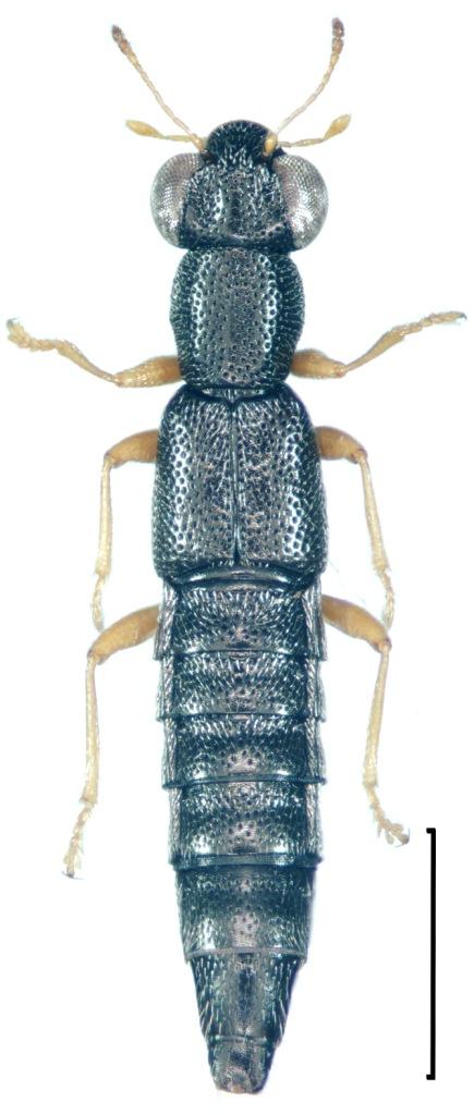
Stenus (Hemistenus) flavipes Stephens, 1833 - Staphylinidae

9.III.2013 - ITALIA - Lazio - RM, Campagnano


nuovo argomento
rispondi
Pagina 1 di 1 [ 5 messaggi ]
Autore Messaggio
MessaggioInviato: 17/03/2013, 2:11 
Avatar utente

Iscritto il: 30/12/2009, 22:20
Messaggi: 31564
Località: Roma
Nome: Maurizio Gigli
Gli Staphylinidae come questo mi ricordano sempre alcuni piccoli Carabidae, come gli Asaphidion. Forse per la lavorazione della cuticola, o per la forma della testa.

Lazio, Roma, Campagnano, 9.III.2013, vagliando il terreno in bosco misto su una scarpata, M. Gigli legit

3,7 mm
Staph_Campagnano_9-III-2013_3,7mm_grey.jpg


_________________
Maurizio Gigli
http://utenti.romascuola.net/bups
http://bup.xoom.it/


Top
profilo
 Oggetto del messaggio: Re: Staphylinidae - Lazio
MessaggioInviato: 17/03/2013, 8:13 
Avatar utente

Iscritto il: 09/11/2009, 14:12
Messaggi: 5144
Località: Hradec Kralove,Czech republik
Nome: Jan Matějíček
confronto


Staph_Campagnano_9-III-2013_3,7mm_grey.jpg

Bez názvu.jpg


_________________
Research Fields
Taxonomy, ecology, biomonitoring , faunistic of Staphylinidae
Top
profilo
 Oggetto del messaggio: Re: Staphylinidae - Lazio
MessaggioInviato: 17/03/2013, 10:52 
Avatar utente

Iscritto il: 28/05/2009, 16:38
Messaggi: 5014
Nome: luigi lenzini
Deve essere un parente di questo, trovato nella stessa area, che era stato determinato come Stenus sp..
Sarebbe interessante per avere conferma del mio ;) .
:hi: luigi


Top
profilo
 Oggetto del messaggio: Re: Staphylinidae - Lazio
MessaggioInviato: 17/03/2013, 17:49 
Avatar utente

Iscritto il: 30/12/2009, 22:20
Messaggi: 31564
Località: Roma
Nome: Maurizio Gigli
Beh, proprio la stessa zona non direi....

campagnano.jpg



Comunque è probabile che sia la stessa specie. Io arrivo solo a Stenus sp.

Grazie Jan per i disegni. Controllerò l'arto posteriore per vedere a quale sottogenere corrisponde.

_________________
Maurizio Gigli
http://utenti.romascuola.net/bups
http://bup.xoom.it/


Top
profilo
 Oggetto del messaggio: Re: Staphylinidae - Lazio
MessaggioInviato: 17/03/2013, 18:17 
Avatar utente

Iscritto il: 09/11/2009, 14:12
Messaggi: 5144
Località: Hradec Kralove,Czech republik
Nome: Jan Matějíček
Stenus (Hemistenus) flavipes Stephens, 1833


Stenus (Hemistenus)      flavipes Stephens, 1833.jpg

Stenus (Hemistenus)      flavipes Stephens, 1833 - Kopie (2).jpg

Stenus (Hemistenus)      flavipes Stephens, 1833 - Kopie.jpg


_________________
Research Fields
Taxonomy, ecology, biomonitoring , faunistic of Staphylinidae
Top
profilo
Visualizza ultimi messaggi:  Ordina per  
nuovo argomento
rispondi
Pagina 1 di 1 [ 5 messaggi ]

Tutti gli orari sono UTC + 1 ora [ ora legale ]


Chi c’è in linea

Visitano il forum: Nessuno e 1 ospite


Non puoi aprire nuovi argomenti
Non puoi rispondere negli argomenti
Non puoi modificare i tuoi messaggi
Non puoi cancellare i tuoi messaggi
Non puoi inviare allegati

Cerca per:
Vai a: