Benvenuto Ospite

Forum Entomologi Italiani

www.entomologiitaliani.net/forum
 
Oggi è 01/11/2025, 21:53

Tutti gli orari sono UTC + 1 ora [ ora legale ]

Paederus cf. balcanicus Koch, 1938 - Staphylinidae - Sasso Marconi (BO)



nuovo argomento
rispondi
Pagina 1 di 1 [ 6 messaggi ]
Autore Messaggio
MessaggioInviato: 21/02/2010, 14:51 
Avatar utente

Iscritto il: 05/02/2009, 17:25
Messaggi: 4894
Località: Zola Predosa (BO)
Nome: Loris Colacurcio
Ho provato a districarmi con le chiavi sui Paederus italiani :oops:
Con tutta la cautela di questo mondo, potrei azzardare che la bestiola postata è un Paederus s.stricto.....e poi ?

Beh, non lo so.....le zampine così colorate, mi farebbero pensare al "classico" riparius.... :?

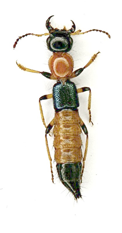
Sasso Marconi (BO) - Palazzo Rossi, 15.II.2010
Battendo un'edera attorno al tronco di un Pero

stafi5.JPG


stafi5b.JPG


_________________
Loris


Top
profilo
 Oggetto del messaggio: Re: Paederus sp. Sasso Marconi (BO)
MessaggioInviato: 21/02/2010, 15:38 
Avatar utente

Iscritto il: 06/02/2009, 9:03
Messaggi: 6370
Località: Bubano di Mordano (Bologna)
Nome: Augusto Degiovanni
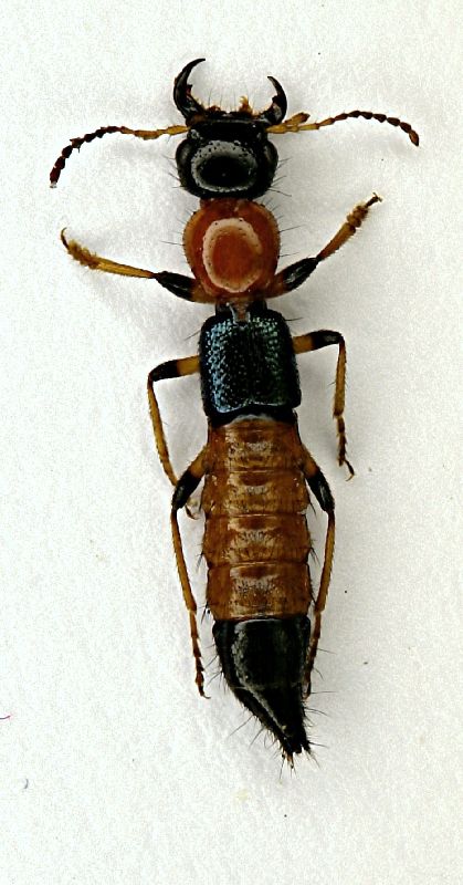
Loris scusa se ti iserisco la tua foto solo un po più schiarita, perchè come l'hai postata è molto scura e magari non si vedono bene i colori e la punteggiatura.
Poi perchè non usi un programmino per elaborarle almeno in chiaro scuro e contrasto ?

stafi5b.JPG


_________________
CIAO :hi: Augusto Degiovanni

http://anthicidaeecarabidae.altervista.org


Top
profilo
 Oggetto del messaggio: Re: Paederus sp. Sasso Marconi (BO)
MessaggioInviato: 21/02/2010, 15:41 
Avatar utente

Iscritto il: 05/02/2009, 17:25
Messaggi: 4894
Località: Zola Predosa (BO)
Nome: Loris Colacurcio
Beh, lo faccio... :oops:
E adesso è la tua immagini che è troppo sovraesposta.....indi per cui, direi che i nostri computer hanno una scheda video profondamente diversa :mrgreen:

E' però vero che la mia foto era comunque un po' troppo scura... :ok:

:hi:

_________________
Loris


Top
profilo
 Oggetto del messaggio: Re: Paederus sp. Sasso Marconi (BO)
MessaggioInviato: 21/02/2010, 16:26 
Avatar utente

Iscritto il: 06/02/2009, 9:03
Messaggi: 6370
Località: Bubano di Mordano (Bologna)
Nome: Augusto Degiovanni
Penso di sapere perchè dici che la mia è sovraesposta, tu sei davanti ad un monitor fisso giusto ? ;) , io invece lavoro con un portatile per cui lavoro con lo schermo non a 90° ma a 120° per cui, ad ogni angolazione cui si guarda si vede in modo più o meno esposto.

_________________
CIAO :hi: Augusto Degiovanni

http://anthicidaeecarabidae.altervista.org


Top
profilo
 Oggetto del messaggio: Re: Paederus sp. Sasso Marconi (BO)
MessaggioInviato: 22/02/2010, 15:21 
Avatar utente

Iscritto il: 15/11/2009, 23:48
Messaggi: 105
Località: Loreggia (PD)
Nome: Pietro Visentini
Caro Loris,
approfitto delle tue immagini per tornare ancora una volta su questo argomento, ma, dato che ho l’impressione che questo sito persegua la correttezza delle proposte di inquadramento sistematico per gli esemplari raffigurati dalle foto pubblicate dagli associati, voglio ribadire un concetto che ho già precedentemente proposto e che mi piacerebbe ponesse la parola “fine” sul tema “Paederus riparius”.
Checché ne dica e scriva il collega Jan, sicuramente un ottimo entomologo europeo, ma altrettanto sicuramente non un profondo conoscitore della fauna italiana (nemmeno io lo sono e vorrei che sia ben chiaro che questo concetto mi è ben presente), la “vexata quaestio” relativa alla specie “riparius” si può inquadrare in questo modo:
1) riparius è estraneo alla fauna italiana, ha una distribuzione sibirico-europea e probabilmente è una specie che in questo momento richiede una profonda rialnalisi, dato che potrebbe includere anche l’italianissimo (ma, non endemico) “melanurus” e il “diamesus” che popola le zone umide dell’Asia centrale.
2) In Italia “riparius” è vicariato da “balcanicus”, presente nel nord in pianura padana dove raggiunge al più i fondo valle delle vallate alpine, mentre è largamente diffuso e comune nel centro e sud dell’Italia (sicuramente in Toscana, Marche, Umbria, Abruzzo, Puglia, Basilicata, Calabria e Sardegna); le differenze fra le due specie risultano abbastanza evidenti solo a livello dell’endofallo, data l’elevata variabilità sempre presente in specie con diffusione tanto ampia.
3) Questi dati non sono desunti solo dalla bibliografia più recente, ma mi sono stati confermati, anche di recente, di persona da Adriano Zanetti, sicuramente il maggior esperto di stafilinidi italiani vivente, certamente molto noto per i suoi studi sugli Omaliinae, dove è il maggiore esperto mondiale sugli Eusphalerum, ma, dato forse meno noto, lo studioso che negli ultimi trent’anni ha visto pressoché tutti gli stafilinidi raccolti nel corso dei numerosi studi sui biotopi umidi del nord Italia. Anche se in un articolo pubblicato con Tagliapietra, un giovane studioso di stafilinidi di Verona, ha dubitativamente citato il “riparius” come forse presente in un biotopo del veronese, Adriano, vecchio collega di studi all’università di Padova, resta fermamente convinto che in Italia “riparius” non c’é. E’ chiaro che nessuno di noi possiede la verità, ma, forse, chi ha visto migliaia di esemplari di un certo territorio può avere le idee un po’ più chiare di chi ne ha raccolto o ne possiede solo qualcuno.
Infine, in merito alla classificazione degli esemplari appartenenti a questo genere, temo che tranne per pochi casi, il solo esame dei caratteri esterni (rilevabili in foto) non consenta una certa determinazione della maggir parte dei Paederus; è necessaria l’estrazione dell' edeago, possibilmente da studiare in trasparenza, data l’importanza degli elementi costituenti l’endofallo, e, per le femmine, l’esame del segmento genitale, caratterizzato da una ben definita morfologia nelle specie italiane del sbg. Paederus sensu stricto. :no1:
Al di là della polemica, non rivolta a te, ovviamente, e che con questa mia comunicazione considero conclusa, il tuo esemplare potrebbe essere un
classicoPaederus cf. balcanicus Koch, 1938.
Quando riuscirò a esaminare il tuo materiale, spero di dirimere definitivamente la questione, in modo che le tue belle foto possano restare come documento certo a disposizione di questa comunità.
Mandi mandi
:hp: :birra: :hi:
Pierone


Top
profilo
 Oggetto del messaggio: Re: Paederus sp. Sasso Marconi (BO)
MessaggioInviato: 22/02/2010, 15:30 
Avatar utente

Iscritto il: 05/02/2009, 17:25
Messaggi: 4894
Località: Zola Predosa (BO)
Nome: Loris Colacurcio
...e ti assicuro che volevo scrive balcanicus, ma dopo 30 anni a considerare il "nostro" paederus più comune come riparius ....proprio non ci sono riuscito (pensavo di aver capito male dalle tue chiavi :oops: ).

Grazie mille per la tue spiegazioni :birra:

:hi:

_________________
Loris


Top
profilo
Visualizza ultimi messaggi:  Ordina per  
nuovo argomento
rispondi
Pagina 1 di 1 [ 6 messaggi ]

Tutti gli orari sono UTC + 1 ora [ ora legale ]


Chi c’è in linea

Visitano il forum: Nessuno e 1 ospite


Non puoi aprire nuovi argomenti
Non puoi rispondere negli argomenti
Non puoi modificare i tuoi messaggi
Non puoi cancellare i tuoi messaggi
Non puoi inviare allegati

Cerca per:
Vai a: