Benvenuto Ospite

Forum Entomologi Italiani

www.entomologiitaliani.net/forum
 
Oggi è 28/10/2025, 22:14

Tutti gli orari sono UTC + 1 ora [ ora legale ]

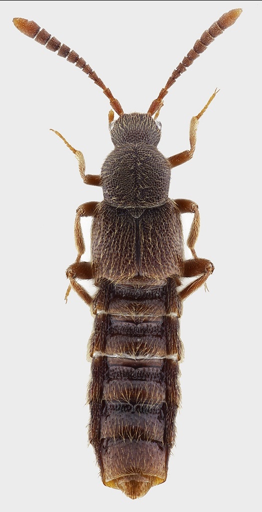
Ilyobates mech (Baudi, 1848) (cf.) - Staphylinidae

31.V.1999 - ITALIA - Piemonte - TO, Monte Albergian 2100 m - Fenestrelle


nuovo argomento
rispondi
Pagina 1 di 1 [ 8 messaggi ]
Autore Messaggio
MessaggioInviato: 04/05/2014, 11:10 
Avatar utente

Iscritto il: 22/05/2009, 21:00
Messaggi: 2774
Località: Pergine Valsugana (TN)
Nome: Andrea Carlin
:hi: Chiedo gentilmente aiuto per dare un nome a questa particolare bestiola. :lov2:

lunghezza: 4,8 mm
staphylinide v.jpg

staphylinide.jpg



:birra: Grazie mille :birra:

_________________
Andrea Carlin, Pergine Valsugana (TN) carlin.andrea(AT)gmail.com

Nota: tutti gli esemplari inseriti nelle discussioni aperte da me sono da ritenere "Andrea Carlin legit" se non diversamente specificato.


Top
profilo
 Oggetto del messaggio: Re: Staphylinidino del Piemonte
MessaggioInviato: 04/05/2014, 13:41 
Avatar utente

Iscritto il: 09/11/2009, 14:12
Messaggi: 5145
Località: Hradec Kralove,Czech republik
Nome: Jan Matějíček
Credo che Ilyobates sp.


Genus Ilyobates Kraatz.doc [333.5 KiB]
Scaricato 186 volte

_________________
Research Fields
Taxonomy, ecology, biomonitoring , faunistic of Staphylinidae
Top
profilo
 Oggetto del messaggio: Re: Staphylinidino del Piemonte
MessaggioInviato: 04/05/2014, 16:36 
Avatar utente

Iscritto il: 09/11/2009, 14:12
Messaggi: 5145
Località: Hradec Kralove,Czech republik
Nome: Jan Matějíček
Ilyobates mech (Baudi, 1848) (N)
Ilyobates nigricollis (Paykull, 1800) (N, S?)
Ilyobates propinquus (Aubé, 1850) (N)

_________________
Research Fields
Taxonomy, ecology, biomonitoring , faunistic of Staphylinidae


Top
profilo
 Oggetto del messaggio: Re: Staphylinidino del Piemonte
MessaggioInviato: 06/05/2014, 23:03 
Avatar utente

Iscritto il: 22/05/2009, 21:00
Messaggi: 2774
Località: Pergine Valsugana (TN)
Nome: Andrea Carlin
:birra: Grazie mille Jan! :birra:
Ho controllato al microscopio e dovrebbe essere Ilyobates mech (Baudi, 1848)
:hi: :hi: :hi:

_________________
Andrea Carlin, Pergine Valsugana (TN) carlin.andrea(AT)gmail.com

Nota: tutti gli esemplari inseriti nelle discussioni aperte da me sono da ritenere "Andrea Carlin legit" se non diversamente specificato.


Top
profilo
 Oggetto del messaggio: Re: Staphylinidino del Piemonte
MessaggioInviato: 19/03/2015, 11:29 
Avatar utente

Iscritto il: 22/05/2009, 21:00
Messaggi: 2774
Località: Pergine Valsugana (TN)
Nome: Andrea Carlin
:hi: Visto il cospicuo ed importante apporto di staphylinidae dell'ultimo periodo da parte di Alessio, rispolvero questo esemplare pregando, chi può farlo e se non arrivano ulteriori conferme o smentite, di archiviarlo almeno come Ilyobates mech cf (Baudi, 1848).
:birra: Grazie mille! :lov2:
:hi:

_________________
Andrea Carlin, Pergine Valsugana (TN) carlin.andrea(AT)gmail.com

Nota: tutti gli esemplari inseriti nelle discussioni aperte da me sono da ritenere "Andrea Carlin legit" se non diversamente specificato.


Top
profilo
MessaggioInviato: 19/03/2015, 12:18 
Avatar utente

Iscritto il: 09/11/2009, 14:12
Messaggi: 5145
Località: Hradec Kralove,Czech republik
Nome: Jan Matějíček
Ho molto poco Ilyobates meglio species


DSC_0014 - Kopie.JPG


_________________
Research Fields
Taxonomy, ecology, biomonitoring , faunistic of Staphylinidae
Top
profilo
MessaggioInviato: 19/03/2015, 12:34 
Avatar utente

Iscritto il: 22/05/2009, 21:00
Messaggi: 2774
Località: Pergine Valsugana (TN)
Nome: Andrea Carlin
:birra: Grazie mille Jan, molto bella la tua immagine... :lov2:
:hi:

_________________
Andrea Carlin, Pergine Valsugana (TN) carlin.andrea(AT)gmail.com

Nota: tutti gli esemplari inseriti nelle discussioni aperte da me sono da ritenere "Andrea Carlin legit" se non diversamente specificato.


Top
profilo
MessaggioInviato: 19/03/2015, 16:15 
Avatar utente

Iscritto il: 23/06/2010, 19:05
Messaggi: 2582
Località: Pescara
Nome: Alessio Morelli
Molto belle pure le tue foto Andrea :ok: . Altro che quelle mie :sick: , qui si che capisce qualcosa :mrgreen: .


Top
profilo
Visualizza ultimi messaggi:  Ordina per  
nuovo argomento
rispondi
Pagina 1 di 1 [ 8 messaggi ]

Tutti gli orari sono UTC + 1 ora [ ora legale ]


Chi c’è in linea

Visitano il forum: Nessuno e 2 ospiti


Non puoi aprire nuovi argomenti
Non puoi rispondere negli argomenti
Non puoi modificare i tuoi messaggi
Non puoi cancellare i tuoi messaggi
Non puoi inviare allegati

Cerca per:
Vai a: