Benvenuto Ospite

Forum Entomologi Italiani

www.entomologiitaliani.net/forum
 
Oggi è 26/10/2025, 10:59

Tutti gli orari sono UTC + 1 ora [ ora legale ]

Parocyusa (Tetralaucopora) longitarsis (Erichson, 1839) - Staphylinidae

4.V.2015 - ITALIA - Abruzzo - PE, Micarone, Catignano, 160m, torrente Nora


nuovo argomento
rispondi
Pagina 1 di 1 [ 3 messaggi ]
Autore Messaggio
MessaggioInviato: 13/06/2015, 16:21 
Avatar utente

Iscritto il: 23/06/2010, 19:05
Messaggi: 2582
Località: Pescara
Nome: Alessio Morelli
Diverse Parocyusa, forse appartenenti alla stessa specie di questa. Questa volta tra i maschi c'erano pure svariate femmine.
Per sicurezza ho preferito aprire una discussione a parte, anche se considerando la somiglianza e il luogo di raccolta, forse non avrei dovuto.

Ringrazio anticipatamente per l'aiuto e l'attenzione che vorrete darmi :birra: .

:hi:

Raccolto sotto pietre e ciottoli nei pressi del torrente Nora

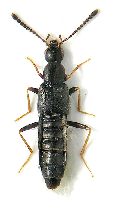
Maschio
Dimensioni: 4,5mm
2 Parocyusa M.jpg


Edeago: lobo mediano (in visione laterale) e paramero
2 Parocyusa  M edeago.JPG



Femmina
Dimensioni: 4mm
2 Parocyusa F.jpg


Spermateca
2 Parocyusa F spermateca.JPG



Top
profilo
 Oggetto del messaggio: Re: Parocyusa sp. Staphylinidae ???
MessaggioInviato: 13/06/2015, 17:28 
Avatar utente

Iscritto il: 09/11/2009, 14:12
Messaggi: 5145
Località: Hradec Kralove,Czech republik
Nome: Jan Matějíček
Parocyusa (Tetralaucopora) longitarsis (Erichson, 1839)

_________________
Research Fields
Taxonomy, ecology, biomonitoring , faunistic of Staphylinidae


Top
profilo
 Oggetto del messaggio: Re: Parocyusa sp. Staphylinidae ???
MessaggioInviato: 13/06/2015, 17:32 
Avatar utente

Iscritto il: 23/06/2010, 19:05
Messaggi: 2582
Località: Pescara
Nome: Alessio Morelli
Grazieeee :hp:


Top
profilo
Visualizza ultimi messaggi:  Ordina per  
nuovo argomento
rispondi
Pagina 1 di 1 [ 3 messaggi ]

Tutti gli orari sono UTC + 1 ora [ ora legale ]


Chi c’è in linea

Visitano il forum: Nessuno e 1 ospite


Non puoi aprire nuovi argomenti
Non puoi rispondere negli argomenti
Non puoi modificare i tuoi messaggi
Non puoi cancellare i tuoi messaggi
Non puoi inviare allegati

Cerca per:
Vai a: