Benvenuto Ospite

Forum Entomologi Italiani

www.entomologiitaliani.net/forum
 
Oggi è 25/10/2025, 6:42

Tutti gli orari sono UTC + 1 ora [ ora legale ]

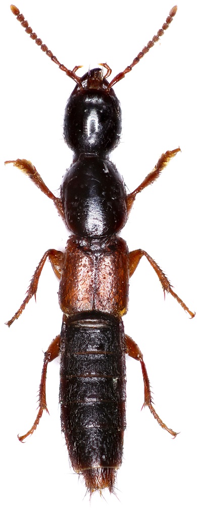
Othius punctulatus (Goeze, 1777) - Staphylinide

1.VII.2013 - GERMANIA - EE, Northeim


nuovo argomento
rispondi
Pagina 1 di 1 [ 4 messaggi ]
Autore Messaggio
MessaggioInviato: 03/01/2016, 22:12 
Avatar utente

Iscritto il: 31/07/2014, 16:09
Messaggi: 619
Località: Northeim, Lower Saxony, Germany
Nome: Alex Hasenkampf
:hi: 11mm


11mm 01.07.13 Northeim.jpg

Top
profilo
 Oggetto del messaggio: Re: Staphylinidae...
MessaggioInviato: 03/01/2016, 22:15 
Avatar utente

Iscritto il: 19/06/2012, 14:35
Messaggi: 5626
Località: Alfonsine (RA)
Nome: Marco Villani
Penso Quedius fulgidus ;)
:hi:


Top
profilo
 Oggetto del messaggio: Re: Staphylinidae...
MessaggioInviato: 03/01/2016, 22:30 
 

Iscritto il: 02/11/2010, 22:33
Messaggi: 990
Nome: Aleksei Kovalev
Othius punctulatus
:hi:


Top
profilo
 Oggetto del messaggio: Re: Staphylinidae...
MessaggioInviato: 03/01/2016, 22:56 
Avatar utente

Iscritto il: 31/07/2014, 16:09
Messaggi: 619
Località: Northeim, Lower Saxony, Germany
Nome: Alex Hasenkampf
AetherisIgnis ha scritto:
Othius punctulatus
:hi:

Othius punctulatus (Goeze, 1777) подходит спасибо !


Top
profilo
Visualizza ultimi messaggi:  Ordina per  
nuovo argomento
rispondi
Pagina 1 di 1 [ 4 messaggi ]

Tutti gli orari sono UTC + 1 ora [ ora legale ]


Chi c’è in linea

Visitano il forum: Nessuno e 1 ospite


Non puoi aprire nuovi argomenti
Non puoi rispondere negli argomenti
Non puoi modificare i tuoi messaggi
Non puoi cancellare i tuoi messaggi
Non puoi inviare allegati

Cerca per:
Vai a: