Benvenuto Ospite

Forum Entomologi Italiani

www.entomologiitaliani.net/forum
 
Oggi è 04/11/2025, 1:18

Tutti gli orari sono UTC + 1 ora [ ora legale ]

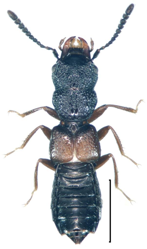
Platystethus nitens (Sahlberg, 1832) (cf.) - Staphylinidae Oxytelinae

9.III.2014 - ITALIA - Lombardia - CR, Ariadello Soresina


nuovo argomento
rispondi
Pagina 1 di 1 [ 3 messaggi ]
Autore Messaggio
MessaggioInviato: 25/02/2018, 20:44 
 

Iscritto il: 30/12/2014, 18:57
Messaggi: 1027
Nome: Adriana Lecis
Salve! Piccolo, circa 4 mm. con troppa colla, ma mi sembra molto particolare..... :roll: :roll: :roll:


2018-02-25 18-31-57 (B,Radius8,Smoothing4).jpg

2018-02-25 18-29-28 (B,Radius8,Smoothing4).jpg

2018-02-25 18-27-51 (B,Radius8,Smoothing4).jpg

Top
profilo
 Oggetto del messaggio: Re: Determinazione Staphylinidae
MessaggioInviato: 25/02/2018, 21:11 
Avatar utente

Iscritto il: 09/11/2009, 14:12
Messaggi: 5145
Località: Hradec Kralove,Czech republik
Nome: Jan Matějíček
Oxytelinae - Platystethus nitens (Sahlberg, 1832) cf.


Platystethus nitens (Sahlberg, 1832).jpg

Platystethus spinosus Erichson, 1840
Platystethus spinosus Erichson, 1840.jpg

Platystethus nodifrons Mannerheim, 1831
Platystethus nodifrons Mannerheim, 1831.jpg

Platystethus nitens (Sahlberg, 1832)
Platystethus nitens (Sahlberg, 1832).jpg

Platystethus cornutus (Gravenhorst, 1802)
Platystethus cornutus (Gravenhorst, 1802).jpg

Platystethus capito Heer, 1839
Platystethus capito Heer, 1839.jpg

Platystethus arenarius (Fourcroy, 1785)
Platystethus arenarius (Fourcroy, 1785).jpg

Platystethus alutaceus Thomson, 1861
Platystethus alutaceus Thomson, 1861.jpg


_________________
Research Fields
Taxonomy, ecology, biomonitoring , faunistic of Staphylinidae
Top
profilo
 Oggetto del messaggio: Re: Determinazione Staphylinidae
MessaggioInviato: 26/02/2018, 13:33 
 

Iscritto il: 30/12/2014, 18:57
Messaggi: 1027
Nome: Adriana Lecis
:hp: :hp: :hp: Grazie! Questo genere è veramente particolare! Se l'ho determinato bene (il dubbio è d'obbligo!), dovrei avere anche il P. cornutus. Un'altra specie che non si trova facilmente....... :hi: :hi: :hi: :hi:


Top
profilo
Visualizza ultimi messaggi:  Ordina per  
nuovo argomento
rispondi
Pagina 1 di 1 [ 3 messaggi ]

Tutti gli orari sono UTC + 1 ora [ ora legale ]


Chi c’è in linea

Visitano il forum: Nessuno e 1 ospite


Non puoi aprire nuovi argomenti
Non puoi rispondere negli argomenti
Non puoi modificare i tuoi messaggi
Non puoi cancellare i tuoi messaggi
Non puoi inviare allegati

Cerca per:
Vai a: