Forum Entomologi Italiani
http://www.entomologiitaliani.net/public/forum/phpBB3/

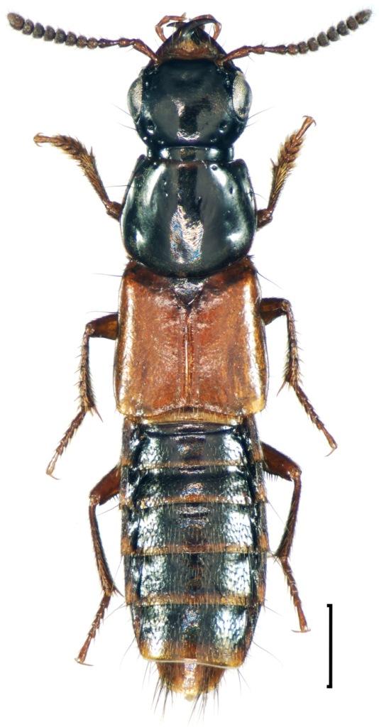
Quedius (Microsaurus) cruentus (Olivier, 1795) (cf.) - Staphylinidae
http://www.entomologiitaliani.net/public/forum/phpBB3/viewtopic.php?f=243&t=82965
Pagina 1 di 1

Autore:  Adriana49 [ 27/11/2018, 13:45 ]
Oggetto del messaggio:  Quedius (Microsaurus) cruentus (Olivier, 1795) (cf.) - Staphylinidae

Salve! Sarà un Aleochara????? :roll: :roll: :roll: :roll: Misura circa 9 mm. Se non ricordo male, raccolta sotto legna marcescente.....

Allegati:
d2.jpg

d1.jpg


Autore:  andrea bramanti [ 27/11/2018, 17:01 ]
Oggetto del messaggio:  Re: Determinazione Staphylinidae

sembra più un Quedius...

Autore:  Honza [ 27/11/2018, 20:51 ]
Oggetto del messaggio:  Re: Determinazione Staphylinidae

Quedius (Microsaurus) cruentus (Olivier, 1795) cf.

Allegati:
Bez     názvu.jpg

cruentus.jpg

cruentus (3).jpg

cruentus (2).jpg


Autore:  Honza [ 27/11/2018, 22:55 ]
Oggetto del messaggio:  Re: Determinazione Staphylinidae

http://coleop123.narod.ru/collection/st ... uentus.htm

Autore:  AetherisIgnis [ 27/11/2018, 23:15 ]
Oggetto del messaggio:  Re: Determinazione Staphylinidae

very similar to Quedionuchus plagiatus - as far as I can see, the elytral sculpture is quite characteristic
:hi:

Autore:  Honza [ 27/11/2018, 23:30 ]
Oggetto del messaggio:  Re: Determinazione Staphylinidae

AetherisIgnis ha scritto:
very similar to Quedionuchus plagiatus - as far as I can see, the elytral sculpture is quite characteristic
:hi:


sì, è anche possibile
difficile dalla foto

Allegati:
Quedius (Quedionuchus) plagiatus Mannerheim, 1843
plagiatu.jpg


Autore:  Adriana49 [ 28/11/2018, 17:54 ]
Oggetto del messaggio:  Re: Determinazione Staphylinidae

Grazie Aleksei, e grazie Jan!!!! Hai ragione tu è proprio Quedus cruentus!!!!! :hi: :hi: :hi: :hi: :hi:

Autore:  AetherisIgnis [ 13/12/2018, 10:10 ]
Oggetto del messaggio:  Re: Determinazione Staphylinidae

This specimen of Q. plagiatus seems to be a bit more typical: https://www.galerie-insecte.org/galerie ... 4_01_a.jpg
:hi:

Autore:  Adriana49 [ 14/12/2018, 20:34 ]
Oggetto del messaggio:  Re: Determinazione Staphylinidae

Grazie Aleksei! :hi: :hi: :hi:

Pagina 1 di 1 Tutti gli orari sono UTC + 1 ora [ ora legale ]
Powered by phpBB® Forum Software © phpBB Group
http://www.phpbb.com/