Benvenuto Ospite

Forum Entomologi Italiani

www.entomologiitaliani.net/forum
 
Oggi è 02/11/2025, 0:01

Tutti gli orari sono UTC + 1 ora [ ora legale ]

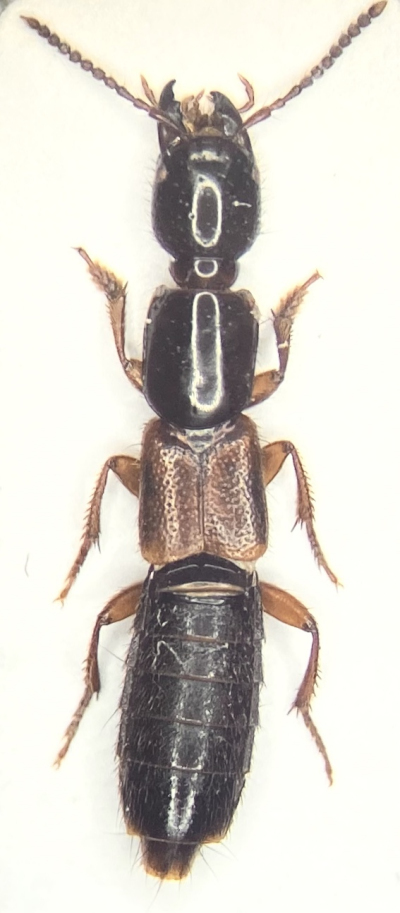
Othius punctulatus (Goeze, 1777) - Staphylinidae

19.IV.2020 - GERMANIA - EE, Wachtberg


nuovo argomento
rispondi
Pagina 1 di 1 [ 2 messaggi ]
Autore Messaggio
MessaggioInviato: 28/05/2020, 12:04 
 

Iscritto il: 27/04/2010, 15:04
Messaggi: 214
Località: Bonn
Nome: Dirk Rohwedder
Dear all,

Can you help me this identify!
Thank you very much for effort.

11 mm
Germany: NRW, Wachtberg, 19.04.2020


IMG_5802_00001.jpg

Top
profilo
 Oggetto del messaggio: Re: ID ? - Staphylinidae from Germany
MessaggioInviato: 28/05/2020, 22:09 
 

Iscritto il: 02/11/2010, 22:33
Messaggi: 990
Nome: Aleksei Kovalev
Othius punctulatus (Goeze, 1777)
:hi:


Top
profilo
Visualizza ultimi messaggi:  Ordina per  
nuovo argomento
rispondi
Pagina 1 di 1 [ 2 messaggi ]

Tutti gli orari sono UTC + 1 ora [ ora legale ]


Chi c’è in linea

Visitano il forum: Nessuno e 2 ospiti


Non puoi aprire nuovi argomenti
Non puoi rispondere negli argomenti
Non puoi modificare i tuoi messaggi
Non puoi cancellare i tuoi messaggi
Non puoi inviare allegati

Cerca per:
Vai a: