Forum Entomologi Italiani
http://www.entomologiitaliani.net/public/forum/phpBB3/

Atheta (Mocyta) fungi (Gravenhorst, 1806) cf. - Staphylinide
http://www.entomologiitaliani.net/public/forum/phpBB3/viewtopic.php?f=243&t=93029
Pagina 1 di 1

Autore:  37formichine [ 09/11/2020, 18:36 ]
Oggetto del messaggio:  Atheta (Mocyta) fungi (Gravenhorst, 1806) cf. - Staphylinide

Ciao a tutti.
Continuo con le richieste per questa famiglia davvero complicata:
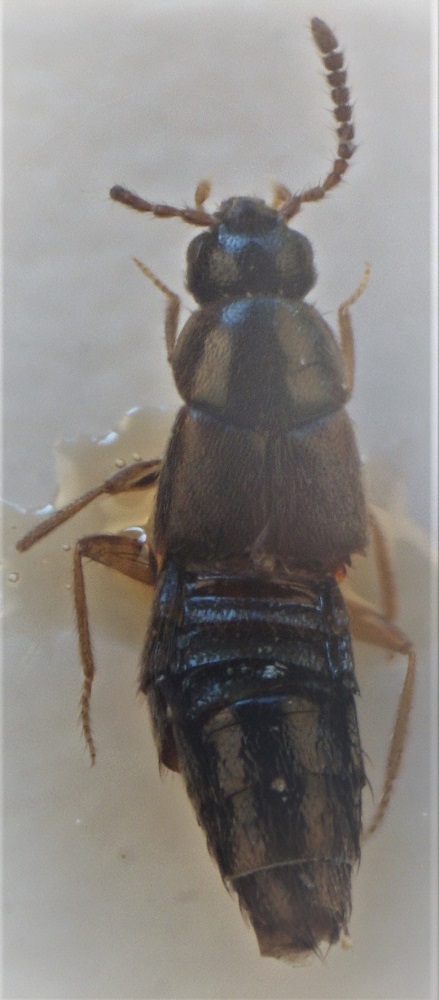
Si tratti di Aleocarinae? Ecco la prima (mm. 2,5)
Grazie dell'aiuto.
Antonio

Allegati:
Atheta f.jpg


Autore:  37formichine [ 12/11/2020, 12:59 ]
Oggetto del messaggio:  Re: Staphylinide ?

Sono riuscito a fare un paio di foto un poco meglio.
Eccole

Allegati:
Atheta - testa.jpg

Athe.jpg


Autore:  AetherisIgnis [ 12/11/2020, 20:38 ]
Oggetto del messaggio:  Re: Staphylinide ?

Atheta (???Mocyta) sp. Have to dissect to tell more...
:hi:

Autore:  37formichine [ 13/11/2020, 9:22 ]
Oggetto del messaggio:  Re: Staphylinide ?

Thanks Aleksei.
As soon as possible, I'll try to estract the genitalia.
Antonio

Autore:  37formichine [ 23/11/2020, 22:33 ]
Oggetto del messaggio:  Re: Atheta (???Mocyta) sp. - Staphylinide

Ciao a tutti,
oggi ho fatto l'estrazione di questo ex.
Ecco la foto del receptaculum. Qualcuno riesce ad andare oltre nella determinazione?
Grazie
Antonio

Allegati:
Atheta receptaculum f.jpg


Autore:  AetherisIgnis [ 24/11/2020, 4:27 ]
Oggetto del messaggio:  Re: Atheta (???Mocyta) sp. - Staphylinide

Yes, Mocyta... A difficult group, for now you could designate this one as Atheta (Mocyta) cf. fungi: https://www.kaefer-der-welt.de/atheta_fungi.htm ...perhaps someone can tell you more.
:hi:

Autore:  37formichine [ 24/11/2020, 10:45 ]
Oggetto del messaggio:  Re: Atheta (???Mocyta) sp. - Staphylinide

Many thanks Aleksei

Pagina 1 di 1 Tutti gli orari sono UTC + 1 ora [ ora legale ]
Powered by phpBB® Forum Software © phpBB Group
http://www.phpbb.com/