Benvenuto Ospite

Forum Entomologi Italiani

www.entomologiitaliani.net/forum
 
Oggi è 11/11/2025, 15:59

Tutti gli orari sono UTC + 1 ora [ ora legale ]

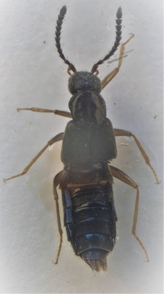
Aloconota (Aloconota) insecta (Thomson e CG 1856) - Staphylinide Aleocharinae

10.VII.2020 - ITALIA - Piemonte - TO, Moncalieri - presso il torrente Chisola


nuovo argomento
rispondi
Pagina 1 di 1 [ 6 messaggi ]
Autore Messaggio
MessaggioInviato: 12/11/2020, 12:57 
 

Iscritto il: 12/03/2020, 14:28
Messaggi: 241
Nome: Antonio Simonis
Ciao tutti.
Bloccato in zona rossa sto continuando a rivedere i frutti delle raccolte estive, ecco il secondo Staph.
Per questo (mm. 3,8) sarei arrivato a Carpelinus... ma ne capisco ancora troppo poco!!!
Grazie a tutti.
Antonio
Ps: premesso che non ho cambiato mail, anche se fleggo "Avvisami" da un po' di tempo non mi arriva la mail... succede solo a me?


Oxytelinae - pronoto.jpg

Oxy.jpg

Top
profilo
 Oggetto del messaggio: Re: Staphylinide ?
MessaggioInviato: 12/11/2020, 20:32 
 

Iscritto il: 02/11/2010, 22:33
Messaggi: 990
Nome: Aleksei Kovalev
No, this is in Aleocharinae, and I suppose it could be Aloconota... Would need to dissect.
:hi:


Top
profilo
 Oggetto del messaggio: Re: Staphylinide ?
MessaggioInviato: 13/11/2020, 9:39 
 

Iscritto il: 12/03/2020, 14:28
Messaggi: 241
Nome: Antonio Simonis
Thanks Aleksei.
You right! I made some mistake in the matching post and photo. (posting.php?mode=reply&f=11&t=93068#)
But in any case the data of collecting was the same (eccept for the Atheta), like the next ones I'm posting.
As soon as possible, I'll try to estract the genitalia.
Antonio


Top
profilo
MessaggioInviato: 24/11/2020, 19:35 
 

Iscritto il: 12/03/2020, 14:28
Messaggi: 241
Nome: Antonio Simonis
Ciao a tutti,
oggi ho fatto l'estrazione di questo ex.
Ecco la foto.
Si riesce ad andare oltre nella determinazione?
Grazie
Antonio


Aloconota receptaculum f.jpg

Top
profilo
MessaggioInviato: 24/11/2020, 20:19 
 

Iscritto il: 02/11/2010, 22:33
Messaggi: 990
Nome: Aleksei Kovalev
Aloconota insecta
:hi:


Top
profilo
MessaggioInviato: 25/11/2020, 16:30 
 

Iscritto il: 12/03/2020, 14:28
Messaggi: 241
Nome: Antonio Simonis
Many Thanks Aleksei.
Antonio


Top
profilo
Visualizza ultimi messaggi:  Ordina per  
nuovo argomento
rispondi
Pagina 1 di 1 [ 6 messaggi ]

Tutti gli orari sono UTC + 1 ora [ ora legale ]


Chi c’è in linea

Visitano il forum: Nessuno e 3 ospiti


Non puoi aprire nuovi argomenti
Non puoi rispondere negli argomenti
Non puoi modificare i tuoi messaggi
Non puoi cancellare i tuoi messaggi
Non puoi inviare allegati

Cerca per:
Vai a: