Benvenuto Ospite

Forum Entomologi Italiani

www.entomologiitaliani.net/forum
 
Oggi è 25/10/2025, 23:27

Tutti gli orari sono UTC + 1 ora [ ora legale ]

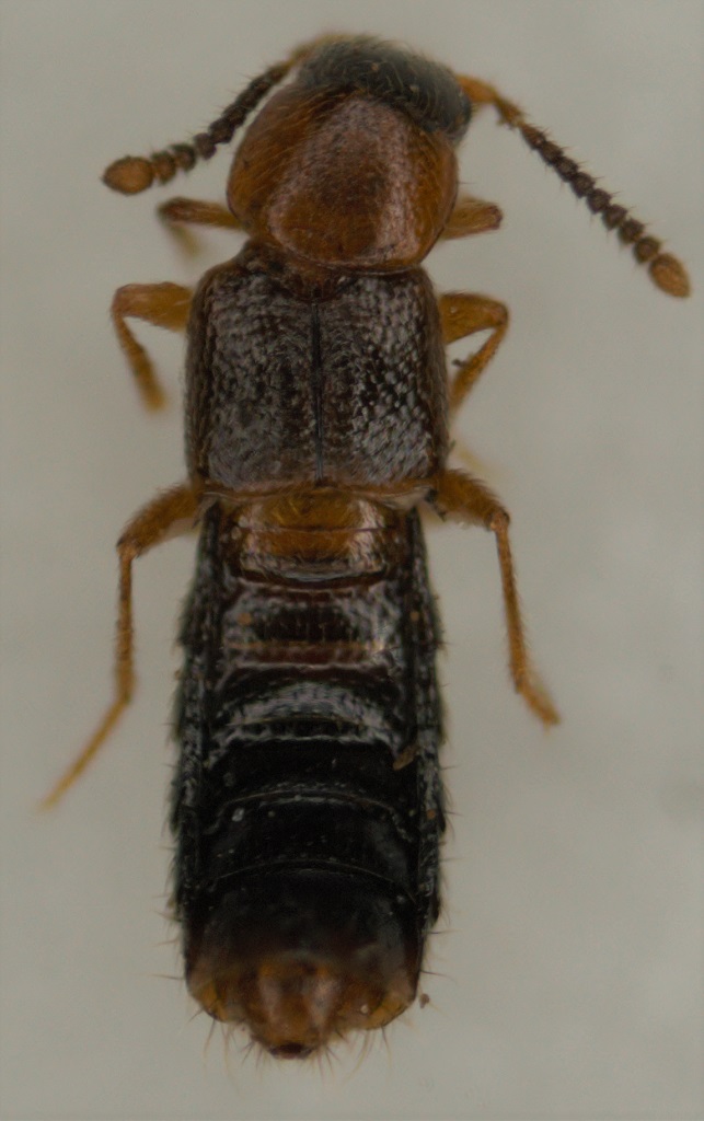
Leptusa (Pachygluta) ruficollis (Erichson, 1839) - Staphylinidae

17.VIII.2021 - ITALIA - Lazio - RM, Campo dell'osso - Monte livata, 1550 m


nuovo argomento
rispondi
Pagina 1 di 1 [ 5 messaggi ]
Autore Messaggio
MessaggioInviato: 15/09/2021, 16:23 
Avatar utente

Iscritto il: 05/05/2016, 11:22
Messaggi: 2966
Località: Santa Maria delle mole, Marino, Rm
Nome: Roberto Vanzini
Dim. 2,05 mm

Raccolto al vaglio. La foto non è eccezionale.
Si riesce ad identificare? Se serve l'estrazione domani provvedo.
Grazie per l'aiuto :birra:
2021-09-15 16-05-50 (B,Radius8,Smoothing4)2(1).jpg


2021-09-15 16-09-10 (B,Radius8,Smoothing4)2(1).jpg


_________________
Roberto Vanzini


Top
profilo
 Oggetto del messaggio: Re: Staphylinidae
MessaggioInviato: 16/09/2021, 9:22 
 

Iscritto il: 02/11/2010, 22:33
Messaggi: 990
Nome: Aleksei Kovalev
Leptusa sp. (aff. ruficollis)
:hi:


Top
profilo
 Oggetto del messaggio: Re: Staphylinidae
MessaggioInviato: 16/09/2021, 9:45 
Avatar utente

Iscritto il: 05/05/2016, 11:22
Messaggi: 2966
Località: Santa Maria delle mole, Marino, Rm
Nome: Roberto Vanzini
Thank's.
Che caratteri servono per arrivare alla specie?

_________________
Roberto Vanzini


Top
profilo
MessaggioInviato: 18/09/2021, 0:31 
 

Iscritto il: 02/11/2010, 22:33
Messaggi: 990
Nome: Aleksei Kovalev
You could extract the aedeagus, in Leptusa shape of the median lobe is highly specific. I think your specimen is a male (males in Leptusa often have an elongate tubercle or carina on penultimate abdominal tergite).
:hi:


Top
profilo
MessaggioInviato: 08/10/2021, 15:28 
Avatar utente

Iscritto il: 05/05/2016, 11:22
Messaggi: 2966
Località: Santa Maria delle mole, Marino, Rm
Nome: Roberto Vanzini
Rinominata sulla base di questa discussione.

_________________
Roberto Vanzini


Top
profilo
Visualizza ultimi messaggi:  Ordina per  
nuovo argomento
rispondi
Pagina 1 di 1 [ 5 messaggi ]

Tutti gli orari sono UTC + 1 ora [ ora legale ]


Chi c’è in linea

Visitano il forum: Nessuno e 2 ospiti


Non puoi aprire nuovi argomenti
Non puoi rispondere negli argomenti
Non puoi modificare i tuoi messaggi
Non puoi cancellare i tuoi messaggi
Non puoi inviare allegati

Cerca per:
Vai a: