Benvenuto Ospite

Forum Entomologi Italiani

www.entomologiitaliani.net/forum
 
Oggi è 26/10/2025, 6:00

Tutti gli orari sono UTC + 1 ora [ ora legale ]

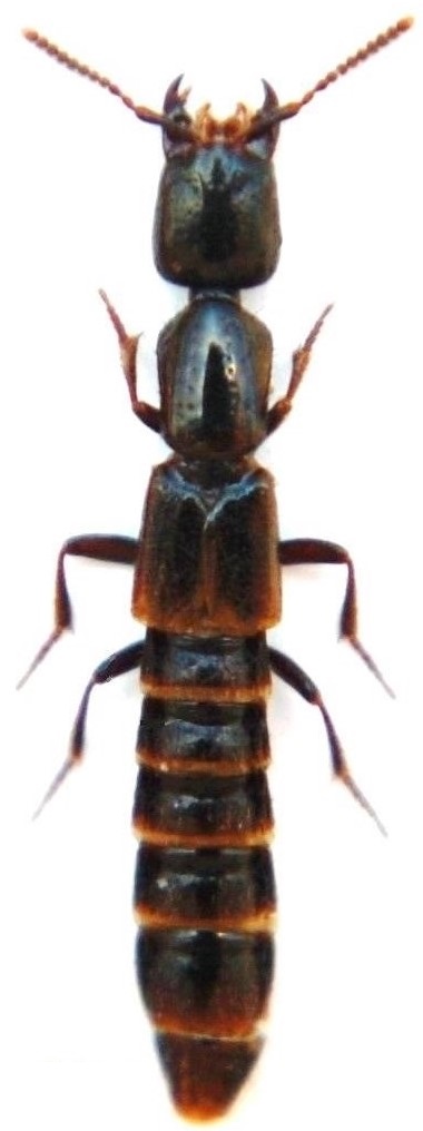
Megalinus hesperius Erichson, 1839 - Staphylinidae

25.IX.2019 - ITALIA - Sardegna - CA, Sinnai, Mt.Cresia 700 m. Matějiček J. lgt.


nuovo argomento
rispondi
Pagina 1 di 1 [ 3 messaggi ]
Autore Messaggio
MessaggioInviato: 13/10/2021, 12:09 
Avatar utente

Iscritto il: 09/11/2009, 14:12
Messaggi: 5145
Località: Hradec Kralove,Czech republik
Nome: Jan Matějíček
Megalinus hesperius Erichson, 1839 (det.Bordoni)
9,5 mm

Fauna italia solo queste specie

Megalinus Mulsant & Rey, 1877
Megalinus glabratus (Gravenhorst, 1802) N S Si Sa
Megalinus sabellai Ciceroni & Zanetti, 1993 Si E


Megalinus hesperius Erichson, 1839.JPG


_________________
Research Fields
Taxonomy, ecology, biomonitoring , faunistic of Staphylinidae
Top
profilo
MessaggioInviato: 13/10/2021, 12:48 
Avatar utente

Iscritto il: 23/06/2010, 11:11
Messaggi: 2784
Località: Cagliari
Nome: Gianpaolo Ruzzante
Ciao Jan,
No Sinanai ma Sinnai :hi:


Top
profilo
MessaggioInviato: 13/10/2021, 19:21 
Avatar utente

Iscritto il: 09/11/2009, 14:12
Messaggi: 5145
Località: Hradec Kralove,Czech republik
Nome: Jan Matějíček
ruzzpa ha scritto:
Ciao Jan,
No Sinanai ma Sinnai :hi:


:oops:
grazie per la correzione, l'errore solo qui, è tutto ok sulle etichette, Ho controllato.

_________________
Research Fields
Taxonomy, ecology, biomonitoring , faunistic of Staphylinidae


Top
profilo
Visualizza ultimi messaggi:  Ordina per  
nuovo argomento
rispondi
Pagina 1 di 1 [ 3 messaggi ]

Tutti gli orari sono UTC + 1 ora [ ora legale ]


Chi c’è in linea

Visitano il forum: Nessuno e 1 ospite


Non puoi aprire nuovi argomenti
Non puoi rispondere negli argomenti
Non puoi modificare i tuoi messaggi
Non puoi cancellare i tuoi messaggi
Non puoi inviare allegati

Cerca per:
Vai a: