Benvenuto Ospite

Forum Entomologi Italiani

www.entomologiitaliani.net/forum
 
Oggi è 05/11/2025, 3:56

Tutti gli orari sono UTC + 1 ora [ ora legale ]

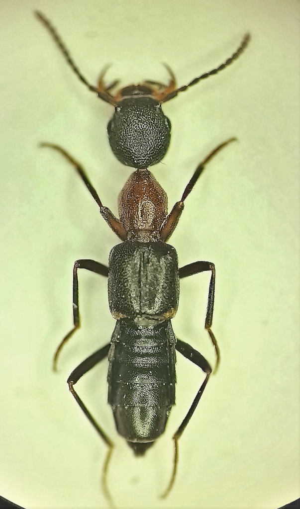
Rugilus (Rugilus) angustatus (Geoffroy, 1785) - Staphylinidae

13.V.2022 - ITALIA - Friuli-Venezia Giulia - GO, San Pier d'Isonzo - ZI - Segheria


nuovo argomento
rispondi
Pagina 1 di 1 [ 1 messaggio ]
Autore Messaggio
MessaggioInviato: 14/05/2022, 14:17 
Avatar utente

Iscritto il: 24/04/2010, 8:24
Messaggi: 5095
Nome: Lucio Morin
Un' altro bel coleottero che non avevo mai avuto modo di raccogliere e che non mi pare frequente dai pochi post sul forum
credo di averlo determinato correttamente, ma una conferma non guasta.
dim: 6mm
Ciao Lucio
gli esemplari sono stati trovati nelle trappole a ferormoni per Ips piazzate ai margini delle cataste di tronchi di abete proveniente da Ravascleto UD.
Ciao Lucio
IMG20220514073021 (3).jpg


_________________
A VOLTE E' MEGLIO TACERE E SEMBRARE STUPIDI CHE APRIR BOCCA E TOGLIERE OGNI DUBBIO Oscar Wilde


Top
profilo
Visualizza ultimi messaggi:  Ordina per  
nuovo argomento
rispondi
Pagina 1 di 1 [ 1 messaggio ]

Tutti gli orari sono UTC + 1 ora [ ora legale ]


Chi c’è in linea

Visitano il forum: Nessuno e 1 ospite


Non puoi aprire nuovi argomenti
Non puoi rispondere negli argomenti
Non puoi modificare i tuoi messaggi
Non puoi cancellare i tuoi messaggi
Non puoi inviare allegati

Cerca per:
Vai a:  
cron