Benvenuto Ospite

Forum Entomologi Italiani

www.entomologiitaliani.net/forum
 
Oggi è 09/11/2025, 6:53

Tutti gli orari sono UTC + 1 ora [ ora legale ]

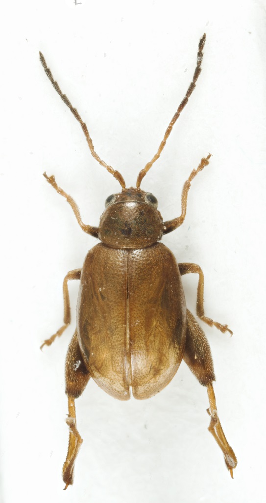
Longitarsus sp. - Chrysomelidae Alticini

24.VI.2022 - ITALIA - Lazio - RM, Castel San Pietro Romano - 750 m


nuovo argomento
rispondi
Pagina 1 di 1 [ 5 messaggi ]
Autore Messaggio
MessaggioInviato: 19/04/2024, 15:27 
Avatar utente

Iscritto il: 05/05/2016, 11:22
Messaggi: 2969
Località: Santa Maria delle mole, Marino, Rm
Nome: Roberto Vanzini
Dim. 2,75 mm

Oltre Longitarsus non riesco ad andare. Purtroppo una femmina, non so se può essere utile la spermateca.

2024-04-19 11-02-00 (C,S3)1.jpg


2024-04-19 15-10-10 (C,S3)1.jpg


2024-04-19 15-15-11 (C,S3)1.jpg


_________________
Roberto Vanzini


Top
profilo
 Oggetto del messaggio: Re: Longitarsus sp.
MessaggioInviato: 26/04/2024, 9:16 
 

Iscritto il: 24/03/2010, 12:42
Messaggi: 1439
Nome: Lech Borowiec
This is a member of the Longitarsus lycopi species group (well marked frontal tubercles and long hind tibial spurs) but accurate identification to the species only from photos is very difficult.


Top
profilo
 Oggetto del messaggio: Re: Longitarsus sp.
MessaggioInviato: 26/04/2024, 9:55 
Avatar utente

Iscritto il: 05/05/2016, 11:22
Messaggi: 2969
Località: Santa Maria delle mole, Marino, Rm
Nome: Roberto Vanzini
Thank you Lech. Which species belong to this group?
If you tell me what details you need I'll try to take pictures

_________________
Roberto Vanzini


Top
profilo
MessaggioInviato: 26/04/2024, 10:56 
 

Iscritto il: 24/03/2010, 12:42
Messaggi: 1439
Nome: Lech Borowiec
Key to Longitarsus from the West Palaearctic is available to download in PDF from the Genus journal page (in German, 266 pages):

https://www.cassidae.uni.wroc.pl/Warcha ... us_low.pdf

this group of species is between Thesis 42 to 52.

Key in English is in the Warchalowski's book: The Palaearctic Chrysomelidae - identification keys, volume 2 (unavailable in PDF). This group is in key to auxiliary group B, pages 835-843.


Top
profilo
MessaggioInviato: 26/04/2024, 15:38 
Avatar utente

Iscritto il: 05/05/2016, 11:22
Messaggi: 2969
Località: Santa Maria delle mole, Marino, Rm
Nome: Roberto Vanzini
:lov2:

_________________
Roberto Vanzini


Top
profilo
Visualizza ultimi messaggi:  Ordina per  
nuovo argomento
rispondi
Pagina 1 di 1 [ 5 messaggi ]

Tutti gli orari sono UTC + 1 ora [ ora legale ]


Chi c’è in linea

Visitano il forum: Nessuno e 1 ospite


Non puoi aprire nuovi argomenti
Non puoi rispondere negli argomenti
Non puoi modificare i tuoi messaggi
Non puoi cancellare i tuoi messaggi
Non puoi inviare allegati

Cerca per:
Vai a: