Benvenuto Ospite

Forum Entomologi Italiani

www.entomologiitaliani.net/forum
 
Oggi è 27/10/2025, 18:47

Tutti gli orari sono UTC + 1 ora [ ora legale ]

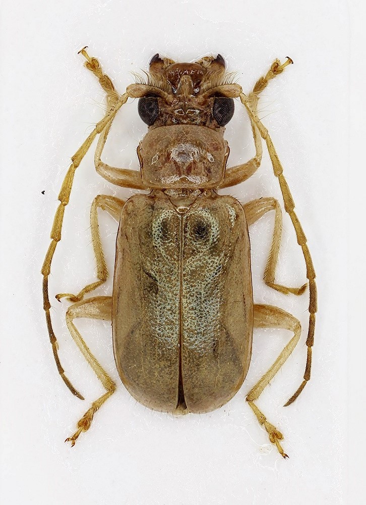
Taumacera sp. - Chrysomelidae - India

18.VIII.2019 - INDIA - EE, INDIA, Rajasthan State, Udaipur env., 18.VIII.2019, leg. I. Zappi


nuovo argomento
rispondi
Pagina 1 di 1 [ 5 messaggi ]
Autore Messaggio
 Oggetto del messaggio: Taumacera sp. - Chrysomelidae - India
MessaggioInviato: 07/02/2020, 16:14 
Avatar utente

Iscritto il: 18/06/2009, 16:54
Messaggi: 1093
Località: Casalecchio di Reno (BO)
Nome: Iuri Zappi
Volevo condividere con gli amici del Forum questo strano Chrysomelidae che ho raccolto l'anno scorso durante un viaggio turistico in India.
Tolto dal sughero e messo sotto il microscopio per prepararlo, sono rimasto stupefatto per la stravagante struttura del capo!
:sh:
Profonda incavatura della fronte, presenza di un corno prominente, sottili lenti chitinose in vicinanza degli occhi e del labbro, ecc.
Del resto la passione per l'entomologia mi si rinnova ogni volta che rivivo lo stupore che provavo da bambino quando osservavo i primi insetti.
Lunghezza = 6.3 mm
Mi piacerebbe conoscere almeno il genere.
Grazie in anticipo


Chrysomelidae 1c_India_L.jpg

Chrysomelidae 1b_India_L.jpg

Chrysomelidae 1a_India_L.jpg


_________________
:hi: :hi: :hi:
Iuri
Top
profilo
 Oggetto del messaggio: Re: Un curioso Chrysomelidae
MessaggioInviato: 07/02/2020, 16:46 
Avatar utente

Iscritto il: 14/03/2009, 12:59
Messaggi: 3230
Località: Milano
Nome: Gabriele Franzini
Caspita, con un tarsomero in più sarebbe stato un perfetto Malachius :D :D .

:hi: :hi: G.


Top
profilo
 Oggetto del messaggio: Re: Un curioso Chrysomelidae
MessaggioInviato: 08/02/2020, 0:41 
Avatar utente

Iscritto il: 18/06/2009, 16:54
Messaggi: 1093
Località: Casalecchio di Reno (BO)
Nome: Iuri Zappi
Gironzolando in rete ho trovato che potrebbe trattarsi di:
Taumacera indicola Bezdek, 2019
Ovviamente il cf. è d'obbligo.

_________________
:hi: :hi: :hi:
Iuri


Top
profilo
 Oggetto del messaggio: Re: Un curioso Chrysomelidae
MessaggioInviato: 10/02/2020, 11:02 
 

Iscritto il: 24/03/2010, 12:42
Messaggi: 1437
Nome: Lech Borowiec
This is probably a member of the genus Taumacera but not T. indicola Bezdek. T. indicola is slimmer species, with smaller head, antennae blackened from the fourth antennomere and distal antennomeres stouter than in specimen from Udaipur.


Top
profilo
MessaggioInviato: 11/02/2020, 0:24 
Avatar utente

Iscritto il: 18/06/2009, 16:54
Messaggi: 1093
Località: Casalecchio di Reno (BO)
Nome: Iuri Zappi
Hi Lech,
  thank you very much for your contribution.
Of course you are right.
I found a photo of Taumacera indicola in Bezdek's publication. The horn is different too. The scape, the pedicel and the 3rd antennomere in T. indicola are hairless, the eyes are smaller, etc.

_________________
:hi: :hi: :hi:
Iuri


Top
profilo
Visualizza ultimi messaggi:  Ordina per  
nuovo argomento
rispondi
Pagina 1 di 1 [ 5 messaggi ]

Tutti gli orari sono UTC + 1 ora [ ora legale ]


Chi c’è in linea

Visitano il forum: Nessuno e 3 ospiti


Non puoi aprire nuovi argomenti
Non puoi rispondere negli argomenti
Non puoi modificare i tuoi messaggi
Non puoi cancellare i tuoi messaggi
Non puoi inviare allegati

Cerca per:
Vai a: