Benvenuto Ospite

Forum Entomologi Italiani

www.entomologiitaliani.net/forum
 
Oggi è 12/11/2025, 20:11

Tutti gli orari sono UTC + 1 ora [ ora legale ]

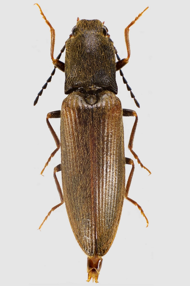
Athous (Haplathous) flavipennis Candèze, 1860 - Elateridae

18.VI.2011 - ITALIA - Toscana - FI, dint. P.sso Sambuca, rio Rovigo, 850m leg. A. Degiovanni


nuovo argomento
rispondi
Pagina 1 di 1 [ 2 messaggi ]
Autore Messaggio
MessaggioInviato: 19/06/2011, 20:36 
Avatar utente

Iscritto il: 06/02/2009, 9:03
Messaggi: 6373
Località: Bubano di Mordano (Bologna)
Nome: Augusto Degiovanni
Lunghezza: 10,6 mm

tn_ela 2.jpg


_________________
CIAO :hi: Augusto Degiovanni

http://anthicidaeecarabidae.altervista.org


Top
profilo
 Oggetto del messaggio: Re: Elateridae 2
MessaggioInviato: 20/06/2011, 20:50 
Avatar utente

Iscritto il: 24/09/2009, 20:40
Messaggi: 1950
Nome: Giuseppe Platia
:D :D Athous (Haplathous) flavipennis Candèze, 1860

:hi: :hi:


Top
profilo
Visualizza ultimi messaggi:  Ordina per  
nuovo argomento
rispondi
Pagina 1 di 1 [ 2 messaggi ]

Tutti gli orari sono UTC + 1 ora [ ora legale ]


Chi c’è in linea

Visitano il forum: Nessuno e 1 ospite


Non puoi aprire nuovi argomenti
Non puoi rispondere negli argomenti
Non puoi modificare i tuoi messaggi
Non puoi cancellare i tuoi messaggi
Non puoi inviare allegati

Cerca per:
Vai a:  
cron