| Forum Entomologi Italiani http://www.entomologiitaliani.net/public/forum/phpBB3/ |
|
| Cebrio (Cebrio) benedicti Fairmaire, 1849 - Elateridae Cebrioninae http://www.entomologiitaliani.net/public/forum/phpBB3/viewtopic.php?f=251&t=72591 |
Pagina 1 di 1 |
| Autore: | Julodis [ 28/12/2016, 23:44 ] |
| Oggetto del messaggio: | Cebrio (Cebrio) benedicti Fairmaire, 1849 - Elateridae Cebrioninae |
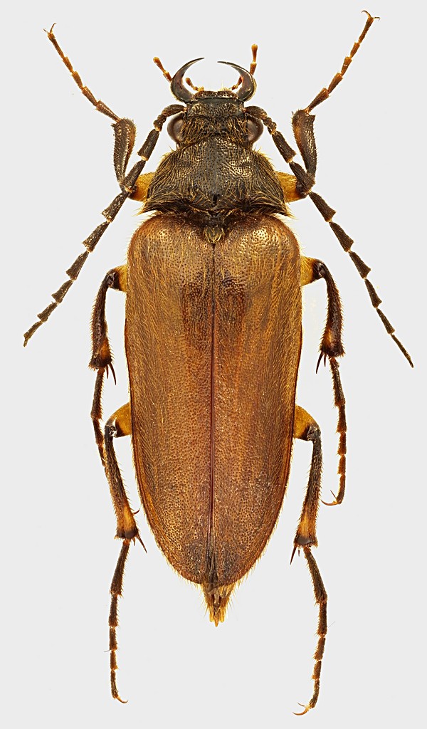
Ecco un altro Cebrio, questa volta siciliano. Sicilia, Trapani, Valderice, 100 m, 13.XI.2016, S. Gigli legit 19,5 mm |
|
| Autore: | Julodis [ 29/12/2016, 0:01 ] |
| Oggetto del messaggio: | Re: Cebrio sp. - Elateridae Cebrioninae |
Noto ora una piccola teratologia all'antenna sinistra. |
|
| Autore: | Lucanus tetraodon [ 29/12/2016, 0:46 ] |
| Oggetto del messaggio: | Re: Cebrio sp. - Elateridae Cebrioninae |
Non vorrei sparare cavolate vista l'ora tarda, ma mi sembra si tratti di Cebrio benedicti Fairmaire, 1849 - Cebrionidae (= C. benoiti) Specie endemica di Sicilia, la cui fenologia è legata alle precipitazioni autunnali. Buona notte...
|
|
| Autore: | Julodis [ 29/12/2016, 8:15 ] |
| Oggetto del messaggio: | Re: Cebrio sp. - Elateridae Cebrioninae |
Lucanus tetraodon ha scritto: Non vorrei sparare cavolate vista l'ora tarda, ma mi sembra si tratti di Cebrio benedicti Fairmaire, 1849 - Cebrionidae (= C. benoiti) Sembra identico all'esemplare di questa discussione, tra l'altro preso ad una decina di km da questo (questi). Dalla stessa discussione vedo che già allora mio fratello mi aveva portato qualche esemplare (immagino impreparabile, poichè allora li buttava direttamente in alcool), di cui mi ero completamente dimenticato. Stavolta, per fortuna, aveva un barattolo con l'etere, per cui, quando mia cognata, inizialmente poco convinta, per la superficiale somiglianza con dei Blattodei, ne ha trovati alcuni sulla porta d'ingresso di casa, l'ha usato. Leggendo quest'altra discussione ci si rende invece conto di quanto siano cambiati gli interventi sui Cebrio del nostro Roberto in questi 6 anni! |
|
| Pagina 1 di 1 | Tutti gli orari sono UTC + 1 ora [ ora legale ] |
| Powered by phpBB® Forum Software © phpBB Group http://www.phpbb.com/ |
|