Forum Entomologi Italiani
http://www.entomologiitaliani.net/public/forum/phpBB3/

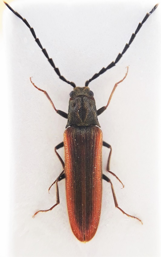
Campylomorphus homalisinus (Illiger, 1807) - Elateridae
http://www.entomologiitaliani.net/public/forum/phpBB3/viewtopic.php?f=251&t=90599
Pagina 1 di 1

Autore:  Francesco92 [ 07/06/2020, 12:39 ]
Oggetto del messaggio:  Campylomorphus homalisinus (Illiger, 1807) - Elateridae

Ciao a tutti! E' possibile determinare la specie di questo Elateride? Trovato in numero in bosco misto di conifere e castagni a circa 900 m s.l.m.. Lunghezza 6 mm. Grazie in anticipo! :D

Allegati:
14.28maggio.jpg

13.28maggio.jpg


Autore:  Fumea crassiorella [ 07/06/2020, 13:17 ]
Oggetto del messaggio:  Re: Elateridae da identificare

Ciao, Campylomorphus homalisinus (Illiger, 1807)

:hi:

Autore:  Francesco92 [ 07/06/2020, 13:48 ]
Oggetto del messaggio:  Re: Elateridae da identificare

Grazie mille! :hi:

Autore:  Anostirus [ 07/06/2020, 14:43 ]
Oggetto del messaggio:  Re: Elateridae da identificare

Se sono tutti lunghi 6 mm sono proprio denutriti perché è una misura ultraminima per la specie avendone visto negli anni diverse centinaia di esemplari!
:hi: :hi:

Autore:  Francesco92 [ 07/06/2020, 15:36 ]
Oggetto del messaggio:  Re: Elateridae da identificare

Anostirus ha scritto:
Se sono tutti lunghi 6 mm sono proprio denutriti perché è una misura ultraminima per la specie avendone visto negli anni diverse centinaia di esemplari!
:hi: :hi:

Più o meno si la lunghezza è quasi sempre quella in tutti quelli che ho visto

Pagina 1 di 1 Tutti gli orari sono UTC + 1 ora [ ora legale ]
Powered by phpBB® Forum Software © phpBB Group
http://www.phpbb.com/