Forum Entomologi Italiani
http://www.entomologiitaliani.net/public/forum/phpBB3/

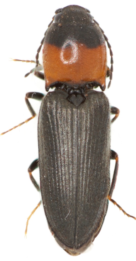
Cardiophorus (Cardiophorus) italicus Platia & Bartolozzi, 1988 - Elateridae
http://www.entomologiitaliani.net/public/forum/phpBB3/viewtopic.php?f=251&t=97490
Pagina 1 di 1

Autore:  wgliinsetti [ 28/12/2021, 18:23 ]
Oggetto del messaggio:  Cardiophorus (Cardiophorus) italicus Platia & Bartolozzi, 1988 - Elateridae

Ho catturato 2 esemplari di Cardiophorus sp. sotto corteccia di Eucalipto.

Sono C. italicus?
Ho letto che è importante la punteggiatura del torace, tra gli altri caratteri. Magari un occhio esperto tra Giuseppe e Edoardo può arrivare all'identificazione.

Grazie mille :birra:

Dim. 6,40 mm
2021-12-28 17-01-40 (B,Radius8,Smoothing3)2(1).jpg


2021-12-28 17-19-43 (B,Radius8,Smoothing3)2(1).jpg


Dim. 6,85 mm
2021-12-28 17-05-20 (B,Radius8,Smoothing3)2(1).jpg


Autore:  Anostirus [ 28/12/2021, 20:13 ]
Oggetto del messaggio:  Re: Cardiophorus sp.

:ok: :ok:

Autore:  wgliinsetti [ 28/12/2021, 20:24 ]
Oggetto del messaggio:  Re: Cardiophorus sp.

Ottimo, grazie Giuseppe :birra:

Autore:  Chalybion [ 28/12/2021, 20:39 ]
Oggetto del messaggio:  Re: Cardiophorus sp.

A proposito, dov'è finito Edoardo?? Su questa sfilza di elateridi non ho visto suoi interventi. Qualcuno mi/ci tranquillizza? :hi:

Autore:  Edo [ 29/12/2021, 11:40 ]
Oggetto del messaggio:  Re: Cardiophorus sp.

Chalybion ha scritto:
A proposito, dov'è finito Edoardo?? Su questa sfilza di elateridi non ho visto suoi interventi. Qualcuno mi/ci tranquillizza? :hi:

Ciao Giorgio, stai tranquillo. Semplicemente avendo iniziato l'università ho avuto poco tempo da dedicare agli insetti. Conto però di riprendere l'attività entomologica nel prossimo periodo in quanto fortunatamente ho solo due esami molto distanziati l'uno dall'altro. :birra:

Pagina 1 di 1 Tutti gli orari sono UTC + 1 ora [ ora legale ]
Powered by phpBB® Forum Software © phpBB Group
http://www.phpbb.com/