Benvenuto Ospite

Forum Entomologi Italiani

www.entomologiitaliani.net/forum
 
Oggi è 13/11/2025, 12:52

Tutti gli orari sono UTC + 1 ora [ ora legale ]

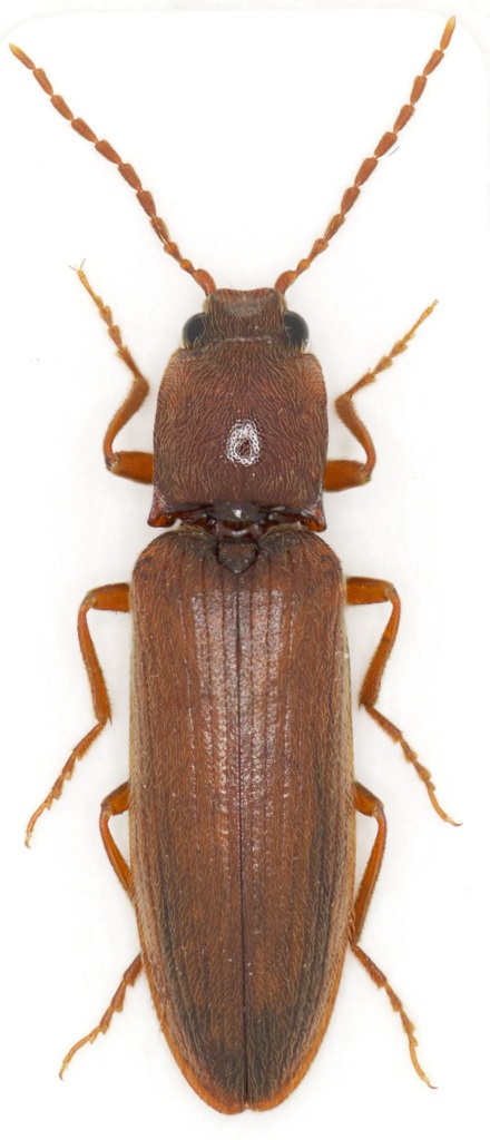
Athous (Haplathous) cavifrons Redtenbacher, 1858 - Elateridae

6.VII.2022 - ITALIA - Trentino-Alto Adige - TN, Folgaria, loc. Francolini, 1215 m


nuovo argomento
rispondi
Pagina 1 di 1 [ 6 messaggi ]
Autore Messaggio
MessaggioInviato: 22/07/2022, 19:22 
Avatar utente

Iscritto il: 05/05/2016, 11:22
Messaggi: 2969
Località: Santa Maria delle mole, Marino, Rm
Nome: Roberto Vanzini
Dim. 11.40 mm

Sono arrivato a Athous (Haplathous) cavifrons Redtenbacher, 1858 - Elateridae
Dovrebbe essere una femmina.
È corretta come determinazione?


2022-07-22 19-17-03 (B,R8,S3)2(1).jpg


_________________
Roberto Vanzini
Top
profilo
MessaggioInviato: 23/07/2022, 13:00 
Avatar utente

Iscritto il: 24/09/2009, 20:40
Messaggi: 1950
Nome: Giuseppe Platia
Perché dici che è una femmina? E sicuramente un maschio! In ogni modo o cavifrons o angulifrons. Ma da foto non mi sbilancio!
:hi: :hi:


Top
profilo
MessaggioInviato: 23/07/2022, 13:50 
Avatar utente

Iscritto il: 05/05/2016, 11:22
Messaggi: 2969
Località: Santa Maria delle mole, Marino, Rm
Nome: Roberto Vanzini
Grazie Giuseppe. Quali caratteri sono utili alla distinzione? Se è necessaria l'estrazione lunedì provvedo.

_________________
Roberto Vanzini


Top
profilo
MessaggioInviato: 24/07/2022, 15:29 
Avatar utente

Iscritto il: 05/05/2016, 11:22
Messaggi: 2969
Località: Santa Maria delle mole, Marino, Rm
Nome: Roberto Vanzini
Ecco l'edago.


IMG_3714(2).jpg


_________________
Roberto Vanzini
Top
profilo
MessaggioInviato: 25/07/2022, 11:46 
Avatar utente

Iscritto il: 24/09/2009, 20:40
Messaggi: 1950
Nome: Giuseppe Platia
:hp: :hp: direi cavifrons!

:hi: :hi:


Top
profilo
MessaggioInviato: 25/07/2022, 13:02 
Avatar utente

Iscritto il: 05/05/2016, 11:22
Messaggi: 2969
Località: Santa Maria delle mole, Marino, Rm
Nome: Roberto Vanzini
Grazie mille per la conferma :hp:

_________________
Roberto Vanzini


Top
profilo
Visualizza ultimi messaggi:  Ordina per  
nuovo argomento
rispondi
Pagina 1 di 1 [ 6 messaggi ]

Tutti gli orari sono UTC + 1 ora [ ora legale ]


Chi c’è in linea

Visitano il forum: Nessuno e 1 ospite


Non puoi aprire nuovi argomenti
Non puoi rispondere negli argomenti
Non puoi modificare i tuoi messaggi
Non puoi cancellare i tuoi messaggi
Non puoi inviare allegati

Cerca per:
Vai a: