Benvenuto Ospite

Forum Entomologi Italiani

www.entomologiitaliani.net/forum
 
Oggi è 11/11/2025, 16:11

Tutti gli orari sono UTC + 1 ora [ ora legale ]

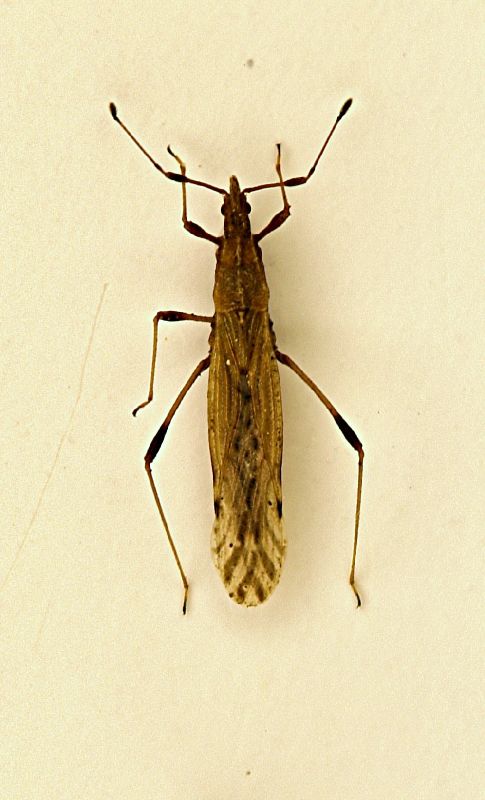
Berytinus montivagus (Meyer-Dür, 1841) Berytidae

17.III.2009 - ITALIA - Emilia-Romagna - BO, Sasso Marconi - sfalcio su prato


nuovo argomento
rispondi
Pagina 1 di 1 [ 4 messaggi ]
Autore Messaggio
MessaggioInviato: 19/03/2009, 0:40 
Avatar utente

Iscritto il: 05/02/2009, 17:25
Messaggi: 4894
Località: Zola Predosa (BO)
Nome: Loris Colacurcio
Trovato sfalciando un cortissimo manto erboso, proprio ieri a Sasso Marconi (BO).

Lunghezza approx. 0,55 cm.

Loris

Reduvide 01.jpg


Reduvide 02.jpg


_________________
Loris


Top
profilo
 Oggetto del messaggio: Re: Reduvide filiforme
MessaggioInviato: 19/03/2009, 21:58 
Avatar utente

Iscritto il: 05/02/2009, 17:36
Messaggi: 780
Nome: Attilio Carapezza
Non è un Reduviide, ma un Berytidae, in particolare Berytinus montivagus (Meyer-Dür, 1841), come indica l'estremità delle emielitre marcatamente arrotondata. Probabilmente l'esemplare che hai raccolto era un esemplare svernante, rimessosi in giro in una bella giornata.


Top
profilo
 Oggetto del messaggio: Re: Reduvide filiforme
MessaggioInviato: 19/03/2009, 22:52 
Avatar utente

Iscritto il: 05/02/2009, 17:25
Messaggi: 4894
Località: Zola Predosa (BO)
Nome: Loris Colacurcio
Me lo sarei dovuto ricordare...ne aveva postato un Daniele, poco tempo fa.

Vabbè.... :mrgreen:

Loris

_________________
Loris


Top
profilo
MessaggioInviato: 21/02/2010, 15:55 
Avatar utente

Iscritto il: 05/02/2009, 17:25
Messaggi: 4894
Località: Zola Predosa (BO)
Nome: Loris Colacurcio
Altro Berytino di Palazzo Rossi.
A parte le antenne più modeste, non vedo altre differenze degne di nota....stessa specie ?

Sasso Marconi (BO) - Palazzo Rossi, 15.II.2010
Battendo l'edera su tronco di acacia
heter1.JPG


_________________
Loris


Top
profilo
Visualizza ultimi messaggi:  Ordina per  
nuovo argomento
rispondi
Pagina 1 di 1 [ 4 messaggi ]

Tutti gli orari sono UTC + 1 ora [ ora legale ]


Chi c’è in linea

Visitano il forum: Nessuno e 1 ospite


Non puoi aprire nuovi argomenti
Non puoi rispondere negli argomenti
Non puoi modificare i tuoi messaggi
Non puoi cancellare i tuoi messaggi
Non puoi inviare allegati

Cerca per:
Vai a: