Benvenuto Ospite

Forum Entomologi Italiani

www.entomologiitaliani.net/forum
 
Oggi è 26/10/2025, 13:47

Tutti gli orari sono UTC + 1 ora [ ora legale ]

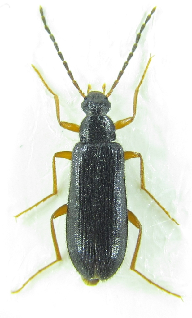
Mycetochara sp. - Tenebrionidae Alleculinae

16.V.2015 - TURCHIA - EE, Esenyurt


nuovo argomento
rispondi
Pagina 1 di 1 [ 6 messaggi ]
Autore Messaggio
MessaggioInviato: 18/05/2015, 10:41 
Avatar utente

Iscritto il: 21/09/2014, 11:55
Messaggi: 1561
Località: Istanbul Turkey
Nome: Barış
??
Size:8,5 mm


Carabidae sp 8,5mm 16-05-2015 Ev-2.jpg

Top
profilo
 Oggetto del messaggio: Re: Carabidae?
MessaggioInviato: 18/05/2015, 11:21 
 

Iscritto il: 25/01/2012, 21:39
Messaggi: 496
Località: athens, greece
Nome: Kakiopoulos George
goodmorning Baris!!!
no Carabidae. :no: Tarsal formula here: 5-5-4.
You can try at Alleculinae.

Ciao from Athens,
George :hi: :hi:


Top
profilo
 Oggetto del messaggio: Re: Carabidae?
MessaggioInviato: 18/05/2015, 12:07 
Avatar utente

Iscritto il: 21/09/2014, 11:55
Messaggi: 1561
Località: Istanbul Turkey
Nome: Barış
Thank you for correction.I didn't notice that.I think it will be hard to find even the genus.


Top
profilo
 Oggetto del messaggio: Re: Carabidae?
MessaggioInviato: 18/05/2015, 18:12 
 

Iscritto il: 25/01/2012, 21:39
Messaggi: 496
Località: athens, greece
Nome: Kakiopoulos George
I have the impression that it belongs to the genus Mycetochara.
Let us hear the opinion of the other members of the Forum.

Ciao again !!!


Top
profilo
 Oggetto del messaggio: Re: Carabidae?
MessaggioInviato: 19/06/2015, 14:38 
Avatar utente

Iscritto il: 13/10/2010, 18:21
Messaggi: 1990
Nome: Andrea Liberto
Hi there, male of Mycetochara sp., same group of the female. Cheers, Clickie :hi:


Top
profilo
 Oggetto del messaggio: Re: Carabidae?
MessaggioInviato: 19/06/2015, 15:13 
Avatar utente

Iscritto il: 21/09/2014, 11:55
Messaggi: 1561
Località: Istanbul Turkey
Nome: Barış
Thank you again.I am grateful.
:hi:


Top
profilo
Visualizza ultimi messaggi:  Ordina per  
nuovo argomento
rispondi
Pagina 1 di 1 [ 6 messaggi ]

Tutti gli orari sono UTC + 1 ora [ ora legale ]


Chi c’è in linea

Visitano il forum: Nessuno e 1 ospite


Non puoi aprire nuovi argomenti
Non puoi rispondere negli argomenti
Non puoi modificare i tuoi messaggi
Non puoi cancellare i tuoi messaggi
Non puoi inviare allegati

Cerca per:
Vai a: