Benvenuto Ospite

Forum Entomologi Italiani

www.entomologiitaliani.net/forum
 
Oggi è 26/10/2025, 12:58

Tutti gli orari sono UTC + 1 ora [ ora legale ]

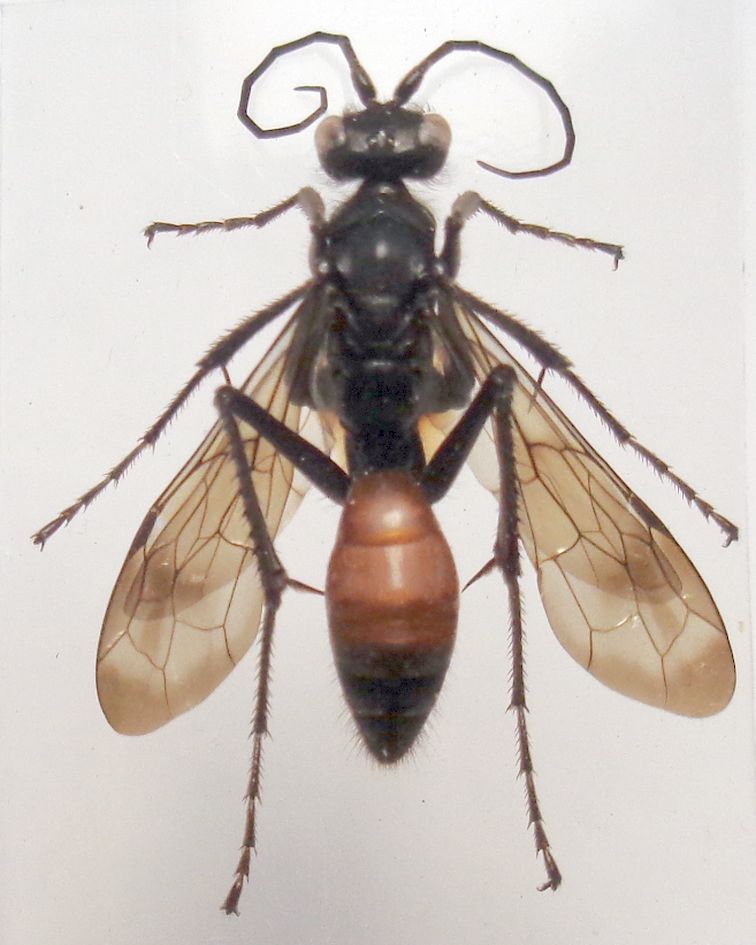
Priocnemis sp. - Pompilidae Pepsinae

30.V.2021 - ITALIA - Friuli-Venezia Giulia - UD, Illegio, 600 m


nuovo argomento
rispondi
Pagina 1 di 1 [ 1 messaggio ]
Autore Messaggio
 Oggetto del messaggio: Priocnemis sp. - Pompilidae Pepsinae
MessaggioInviato: 01/07/2021, 11:32 
 

Iscritto il: 08/12/2013, 1:52
Messaggi: 7516
Località: Bagnacavallo (RA)
Nome: Giorgio Pezzi
Grande esemplare femmina, mm 15: possiede diversi caratteri sui quali si può ragionare ma non ho chiavi adeguate per tutte le numerose (?!) specie italiane, tra i quali:
- fronte con aree impuntate piccole e allungate (riquadri), spazio tra gli ocelli posteriori pari a poco più della metà tra un ocello e l'occhio composto;
- mesonoto con due lineette parallele (freccette) presso l'angolo anteriore, l'area tra esse punteggiata;
- propodeo più lungo che largo, con peli lunghi ai lati;
- ala anteriore con zona ialina preapicale ma non nettamente maculiforme.
Qualcuno lo riconosce? Ci sono chiavi al genere valide? Grazie.
:hi:
pomp.JPG



pomp ala.JPG

pomp meson.JPG

pomp prop.JPG

pomp gast.JPG

pomp vert.JPG

pomp front.JPG

Top
profilo
Visualizza ultimi messaggi:  Ordina per  
nuovo argomento
rispondi
Pagina 1 di 1 [ 1 messaggio ]

Tutti gli orari sono UTC + 1 ora [ ora legale ]


Chi c’è in linea

Visitano il forum: Nessuno e 1 ospite


Non puoi aprire nuovi argomenti
Non puoi rispondere negli argomenti
Non puoi modificare i tuoi messaggi
Non puoi cancellare i tuoi messaggi
Non puoi inviare allegati

Cerca per:
Vai a: