Benvenuto Ospite

Forum Entomologi Italiani

www.entomologiitaliani.net/forum
 
Oggi è 25/10/2025, 13:24

Tutti gli orari sono UTC + 1 ora [ ora legale ]

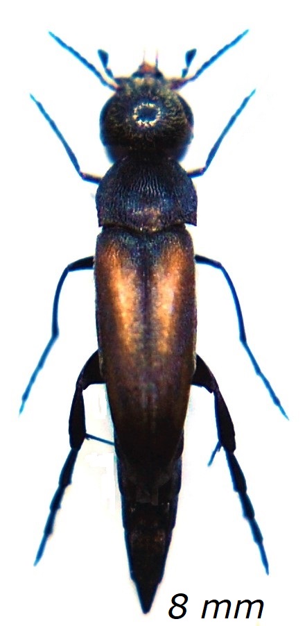
Stenalia testacea (Fabricius, 1787) - Mordellidae

23.VI.2019 - GRECIA - EE, Rodi, Faliraki env.


nuovo argomento
rispondi
Pagina 1 di 1 [ 3 messaggi ]
Autore Messaggio
MessaggioInviato: 09/11/2019, 10:40 
Avatar utente

Iscritto il: 09/11/2009, 14:12
Messaggi: 5145
Località: Hradec Kralove,Czech republik
Nome: Jan Matějíček
È possibile determinare dalla foto?


DSC_0001.JPG


_________________
Research Fields
Taxonomy, ecology, biomonitoring , faunistic of Staphylinidae
Top
profilo
 Oggetto del messaggio: Re: Mordelidae
MessaggioInviato: 09/11/2019, 12:17 
 

Iscritto il: 24/03/2010, 12:42
Messaggi: 1437
Nome: Lech Borowiec
Stenalia testacea


Top
profilo
 Oggetto del messaggio: Re: Mordelidae
MessaggioInviato: 09/11/2019, 22:27 
Avatar utente

Iscritto il: 09/11/2009, 14:12
Messaggi: 5145
Località: Hradec Kralove,Czech republik
Nome: Jan Matějíček
Lech Borowiec ha scritto:
Stenalia testacea


:hp:
Thank you very much for your help .

_________________
Research Fields
Taxonomy, ecology, biomonitoring , faunistic of Staphylinidae


Top
profilo
Visualizza ultimi messaggi:  Ordina per  
nuovo argomento
rispondi
Pagina 1 di 1 [ 3 messaggi ]

Tutti gli orari sono UTC + 1 ora [ ora legale ]


Chi c’è in linea

Visitano il forum: Nessuno e 1 ospite


Non puoi aprire nuovi argomenti
Non puoi rispondere negli argomenti
Non puoi modificare i tuoi messaggi
Non puoi cancellare i tuoi messaggi
Non puoi inviare allegati

Cerca per:
Vai a: