Benvenuto Ospite

Forum Entomologi Italiani

www.entomologiitaliani.net/forum
 
Oggi è 13/11/2025, 14:07

Tutti gli orari sono UTC + 1 ora [ ora legale ]

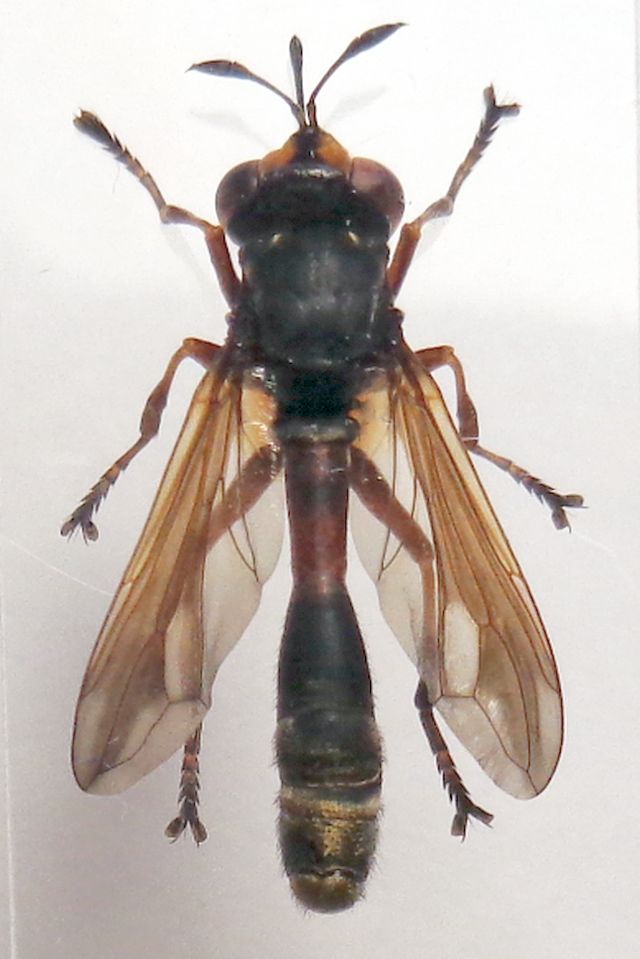
Physocephala rufipes (Fabricius, 1781) - Conopidae

7.VII.2021 - ITALIA - Friuli-Venezia Giulia - UD, sopra Illegio, 900 m


nuovo argomento
rispondi
Pagina 1 di 1 [ 4 messaggi ]
Autore Messaggio
MessaggioInviato: 12/10/2021, 20:54 
 

Iscritto il: 08/12/2013, 1:52
Messaggi: 7541
Località: Bagnacavallo (RA)
Nome: Giorgio Pezzi
Credo sia un Conopidae: mm 15; fin dove si arriva? Grazie.
:hi:
Acon.JPG



Acon front.JPG

Acon head vs.JPG

Acon tor.JPG

Acon terg.JPG

Acon stern.JPG

Acon lat.JPG

Top
profilo
 Oggetto del messaggio: Re: Dittero da ID
MessaggioInviato: 13/10/2021, 0:37 
Avatar utente

Iscritto il: 13/06/2015, 13:46
Messaggi: 1674
Località: Milano
Nome: Claudio Leali
Ciao Giorgio, io arrivo fino al genere, quindi; Physocephala sp.

:hi:

_________________
"E' ciò che non si vede, non quello che si vede che fa paura."
Christopher Lee


Top
profilo
 Oggetto del messaggio: Re: Dittero da ID
MessaggioInviato: 13/10/2021, 7:24 
 

Iscritto il: 10/08/2010, 14:39
Messaggi: 3229
Località: Milano
Nome: Carlo Monari
Con le chiavi dei conopidi dell'europa nord occidentale disponibili online si arriva facilmente a femmina di Physocephala rufipes (Fabricius, 1781). Non so quanto quelle chiavi siano attendibili per la nostra fauna.

_________________
Ciao

Carlo


Top
profilo
 Oggetto del messaggio: Re: Dittero da ID
MessaggioInviato: 13/10/2021, 11:37 
 

Iscritto il: 08/12/2013, 1:52
Messaggi: 7541
Località: Bagnacavallo (RA)
Nome: Giorgio Pezzi
Grazie a entrambi; diciamo che la zona di provenienza possa inquadrarsi al limite dell'Europa NW quindi... prendiamola per sicura. Farò verifiche iconografiche delle altre specie citate d'Italia, giusto per scrupolo. :hi:


Top
profilo
Visualizza ultimi messaggi:  Ordina per  
nuovo argomento
rispondi
Pagina 1 di 1 [ 4 messaggi ]

Tutti gli orari sono UTC + 1 ora [ ora legale ]


Chi c’è in linea

Visitano il forum: Nessuno e 1 ospite


Non puoi aprire nuovi argomenti
Non puoi rispondere negli argomenti
Non puoi modificare i tuoi messaggi
Non puoi cancellare i tuoi messaggi
Non puoi inviare allegati

Cerca per:
Vai a: