Benvenuto Ospite

Forum Entomologi Italiani

www.entomologiitaliani.net/forum
 
Oggi è 08/10/2025, 18:45

Tutti gli orari sono UTC + 1 ora [ ora legale ]

Phytoecia - IRAN

8.V.2019 - IRAN, REPUBBLICA ISLAMICA DELL' - EE, prov. Kordestan, Qazvin, W. Azerbaijan


nuovo argomento
rispondi
Pagina 1 di 1 [ 3 messaggi ]
Autore Messaggio
 Oggetto del messaggio: Phytoecia - IRAN
MessaggioInviato: 03/03/2020, 21:33 
Avatar utente

Iscritto il: 17/09/2009, 9:14
Messaggi: 5
Località: Czech Republic
Nome: Michal Holomčík
Hi colleagues and friends
I please you much for help in identifying the following pieces of longhorn beetles from Iran.
I don't know what to do with them.
... thank you for yours time.

Michal Holomčík from Czech republic.

Image:
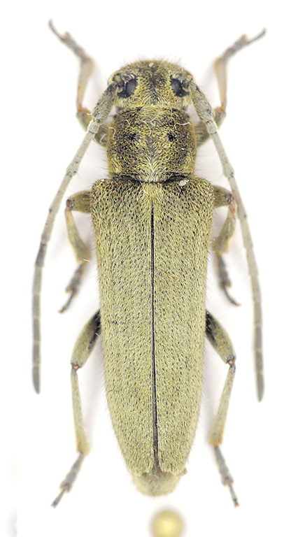
01 - Phytoecia (Dizli) - virgula ssp?
02 - Phytoecia (Serow) - virgula ssp?
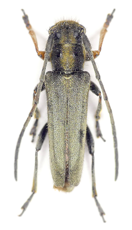
03 - Phytoecia (Kouhin) - pustulata ssp.?

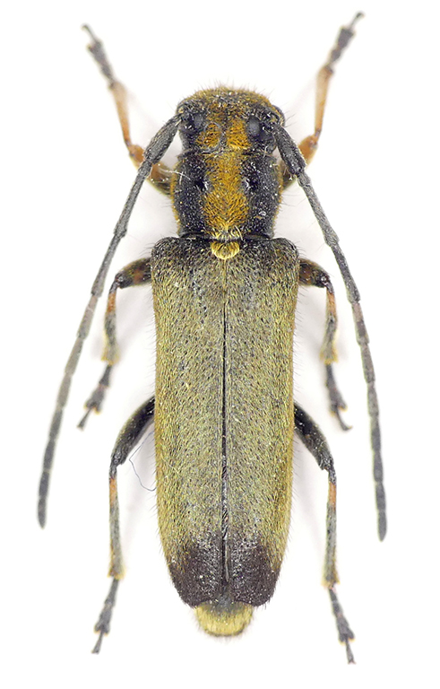
04 - Phytoecia (Kouhin - female) - cf. Phytoecia bodemeyeri Reitter, 1913
05 - Phytoecia (Kouhin - female2) - cf. Phytoecia bodemeyeri Reitter, 1913
06 - Phytoecia (Kouhin - male) - cf. Phytoecia bodemeyeri Reitter, 1913

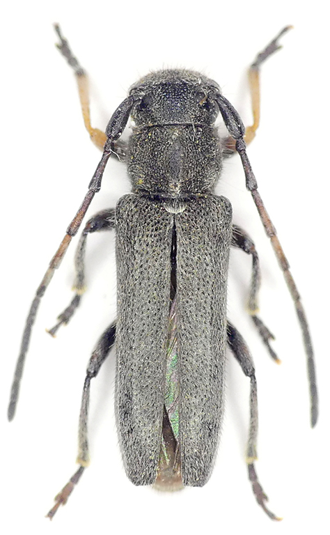
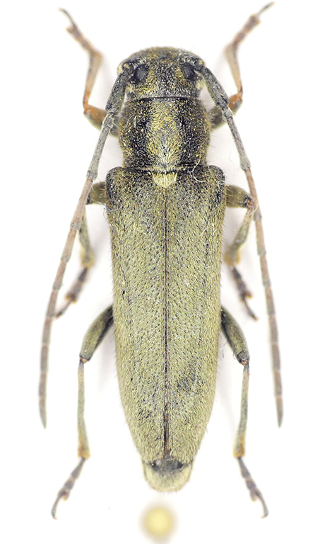
07 - Phytoecia (Mahabad - male) - ????
08 - Phytoecia (Mahabad - female) - ???


Phytoecia (Mahabad - female) - ??? Neomusaria?
08 W_Azerbaijan Mahabad female.jpg

Phytoecia (Mahabad - male) - ???? Neomusaria?
07 W_Azerbaijan Mahabad male.jpg

Phytoecia (Kouhin - male) - cf. Phytoecia bodemeyeri Reitter, 1913
06 Qazvin Kouhin  male.jpg

Phytoecia (Kouhin - female2) - cf. Phytoecia bodemeyeri Reitter, 1913
05 Qazvin Kouhin  female.jpg

Phytoecia (Kouhin - female) - cf. Phytoecia bodemeyeri Reitter, 1913
04 Qazvin Kouhin  female.jpg

Phytoecia (Kouhin) - pustulata ssp.?
03 Qazvin Kouhin.jpg

Phytoecia (Serow) - virgula ssp?
02 W_Azerbaijan Serow.jpg

Phytoecia (Dizli) - virgula ssp?
01 Kordestan Dizli.jpg


_________________
Cerambycidae of Palaearctic.
http://www.cerambycidae.eu
Top
profilo
 Oggetto del messaggio: Re: Phytoecia - IRAN
MessaggioInviato: 03/03/2020, 22:16 
Avatar utente

Iscritto il: 10/05/2009, 15:30
Messaggi: 7182
Località: Ancona
Nome: Giacomo Giovagnoli
:cry: :cry: :cry:
One speciment for post!

_________________
Immagine Giacomo


Top
profilo
 Oggetto del messaggio: Re: Phytoecia - IRAN
MessaggioInviato: 04/03/2020, 10:16 
Avatar utente

Iscritto il: 21/05/2009, 14:59
Messaggi: 6994
Località: Parigi
Nome: Riccardo Poloni
Yes, I will suggest you to delete this discussion and create one discussion for each specimen. I have an idea for almost all of them, but after the splitting we will discuss about it.

_________________
Riccardo Poloni
La dignità degli elementi
la libertà della poesia,
al di là dei tradimenti degli uomini
è magia, è magia, è magia...
Negrita, Rotolando verso sud


Top
profilo
Visualizza ultimi messaggi:  Ordina per  
nuovo argomento
rispondi
Pagina 1 di 1 [ 3 messaggi ]

Tutti gli orari sono UTC + 1 ora [ ora legale ]


Chi c’è in linea

Visitano il forum: Nessuno e 2 ospiti


Non puoi aprire nuovi argomenti
Non puoi rispondere negli argomenti
Non puoi modificare i tuoi messaggi
Non puoi cancellare i tuoi messaggi
Non puoi inviare allegati

Cerca per:
Vai a: