Benvenuto Ospite

Forum Entomologi Italiani

www.entomologiitaliani.net/forum
 
Oggi è 30/10/2025, 21:57

Tutti gli orari sono UTC + 1 ora [ ora legale ]

Scraptiidae (alla luce)

1.VI.2011 - ITALIA - Emilia-Romagna - BO, Sasso Marconi - Palazzo Rossi


nuovo argomento
rispondi
Pagina 1 di 1 [ 7 messaggi ]
Autore Messaggio
 Oggetto del messaggio: Scraptiidae (alla luce)
MessaggioInviato: 13/06/2011, 8:16 
Avatar utente

Iscritto il: 05/02/2009, 17:25
Messaggi: 4894
Località: Zola Predosa (BO)
Nome: Loris Colacurcio
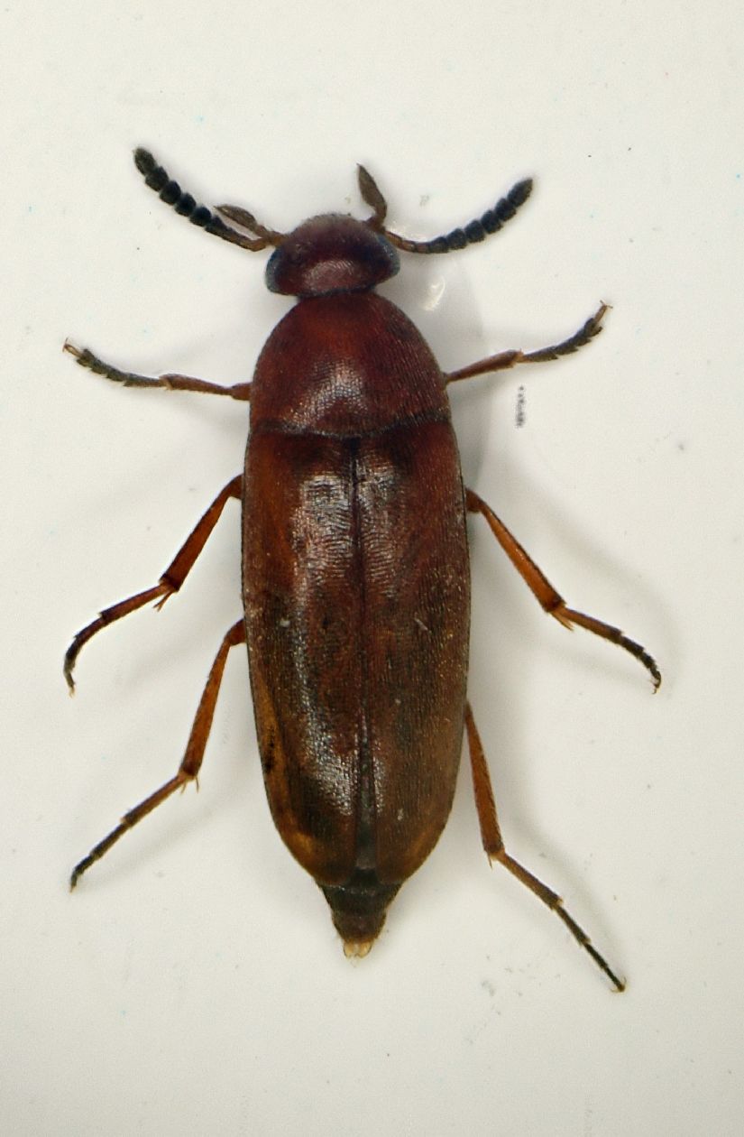
Credo di non aver mai notato queste bestiole in una caccia con la lampada...ne ho raccolti due esemplari.

Lunghezza: 2,7 mm.

Mordelide 2.7mm.JPG


_________________
Loris


Top
profilo
MessaggioInviato: 13/06/2011, 8:30 
Avatar utente

Iscritto il: 30/12/2009, 22:20
Messaggi: 31564
Località: Roma
Nome: Maurizio Gigli
Giorni fa ho preso qualcosa di molto simile in trappola con vino sugli alberi.

_________________
Maurizio Gigli
http://utenti.romascuola.net/bups
http://bup.xoom.it/


Top
profilo
MessaggioInviato: 13/06/2011, 8:33 
Avatar utente

Iscritto il: 05/02/2009, 17:25
Messaggi: 4894
Località: Zola Predosa (BO)
Nome: Loris Colacurcio
Oh bella, questo qua fa di tutto tranne che andare sui fiori, come dovrebbe fare un Mordellide che si rispetti ! :mrgreen:

:hi:

_________________
Loris


Top
profilo
MessaggioInviato: 14/06/2011, 10:54 
Avatar utente

Iscritto il: 16/02/2009, 23:39
Messaggi: 1368
Località: Mirano (Venezia)
Nome: Enrico Ruzzier
Loriscola ha scritto:
Oh bella, questo qua fa di tutto tranne che andare sui fiori, come dovrebbe fare un Mordellide che si rispetti ! :mrgreen:

:hi:

Infatti.... è uno Scraptiidae :lol1: :lol1: :lol1: :no1: :no1: :no1:

Mi sarebbe molto utile, sempre se possibile una foto più chiara e dettagliata dei tarsi anteriori..
credo che l'esemplare in questione appartenga al genere Pentaria

:hi:

_________________
«Discendiamo da scimmie evolute, non da angeli caduti» Robert Ardrey


Top
profilo
 Oggetto del messaggio: Re: Scraptiidae (alla luce)
MessaggioInviato: 24/06/2011, 11:37 
Avatar utente

Iscritto il: 21/05/2009, 14:59
Messaggi: 6994
Località: Parigi
Nome: Riccardo Poloni
Loriiiiiiiiis???? :gh: :gh:

_________________
Riccardo Poloni
La dignità degli elementi
la libertà della poesia,
al di là dei tradimenti degli uomini
è magia, è magia, è magia...
Negrita, Rotolando verso sud


Top
profilo
 Oggetto del messaggio: Re: Scraptiidae (alla luce)
MessaggioInviato: 24/06/2011, 11:48 
Avatar utente

Iscritto il: 05/02/2009, 17:25
Messaggi: 4894
Località: Zola Predosa (BO)
Nome: Loris Colacurcio
Ovviamente me ne ero già dimenticato....cercherò di rimediare, ma dubito nel breve: sono già in pre-partenza per Cesenatico (vado a salutare il mio cucciolo :lov3: ) . Il piccolino sta crescendo bene: mi ha già recuperato 3 Mimela juni ed 1 Anomala ausonia.... :lol1:

:hi:

_________________
Loris


Top
profilo
 Oggetto del messaggio: Re: Scraptiidae (alla luce)
MessaggioInviato: 24/06/2011, 12:05 
Avatar utente

Iscritto il: 21/05/2009, 14:59
Messaggi: 6994
Località: Parigi
Nome: Riccardo Poloni
Loriscola ha scritto:
Ovviamente me ne ero già dimenticato....cercherò di rimediare, ma dubito nel breve: sono già in pre-partenza per Cesenatico (vado a salutare il mio cucciolo :lov3: ) . Il piccolino sta crescendo bene: mi ha già recuperato 3 Mimela juni ed 1 Anomala ausonia.... :lol1:

:hi:



Bene bene, buon nome non mente :mrgreen: :mrgreen: :gh: :gh:

_________________
Riccardo Poloni
La dignità degli elementi
la libertà della poesia,
al di là dei tradimenti degli uomini
è magia, è magia, è magia...
Negrita, Rotolando verso sud


Top
profilo
Visualizza ultimi messaggi:  Ordina per  
nuovo argomento
rispondi
Pagina 1 di 1 [ 7 messaggi ]

Tutti gli orari sono UTC + 1 ora [ ora legale ]


Chi c’è in linea

Visitano il forum: Nessuno e 1 ospite


Non puoi aprire nuovi argomenti
Non puoi rispondere negli argomenti
Non puoi modificare i tuoi messaggi
Non puoi cancellare i tuoi messaggi
Non puoi inviare allegati

Cerca per:
Vai a: