Benvenuto Ospite

Forum Entomologi Italiani

www.entomologiitaliani.net/forum
 
Oggi è 29/10/2025, 4:21

Tutti gli orari sono UTC + 1 ora [ ora legale ]

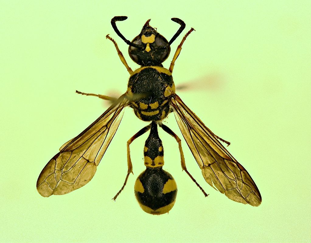
Eumenes sp. - Vespidae Eumeninae

X.2009 - ITALIA - Emilia-Romagna - BO, Sasso Marconi, Palazzo Rossi


nuovo argomento
rispondi
Pagina 1 di 1 [ 3 messaggi ]
Autore Messaggio
 Oggetto del messaggio: Eumenes sp. - Vespidae Eumeninae
MessaggioInviato: 10/10/2009, 21:41 
Avatar utente

Iscritto il: 05/02/2009, 17:25
Messaggi: 4894
Località: Zola Predosa (BO)
Nome: Loris Colacurcio
Se non ricordo male, Gian Luca mi ha detto che si chiamano così....io le conoscevo molto più rozzamente come vespe vasaie. Ne posto una paio, anche se ho il dubbio che siano specie diverse... :oops:

Sasso Marconi (BO) Palazzo Rossi - ottobre 2009

sul terreno sabbioso/ciotoloso.

Eumenidae 02.JPG



Eumenidae 03.JPG


_________________
Loris


Top
profilo
 Oggetto del messaggio: Re: Eumenidae
MessaggioInviato: 16/09/2013, 14:25 
Avatar utente

Iscritto il: 01/07/2010, 22:26
Messaggi: 5650
Località: Viterbo
Nome: Marco Selis
Loris, sarebbe il caso di lasciare in questa discussione solo il primo esemplare ed aprirne un'altra per il secondo. Inoltre per arrivare alla specie servirebbero alcune foto: clipeo, addome visto di lato con la peluria ben illuminata e peluria delle tempie.


Top
profilo
 Oggetto del messaggio: Re: Eumenidae
MessaggioInviato: 18/09/2013, 8:23 
Avatar utente

Iscritto il: 05/02/2009, 17:25
Messaggi: 4894
Località: Zola Predosa (BO)
Nome: Loris Colacurcio
...purtroppo non ho più gli esemplari :oops: .
Credo che possiamo pure cancellare il post, visti i limite delle foto, anche per evitare accumuli di immagini che rimarranno senza nome per sempre. :?

_________________
Loris


Top
profilo
Visualizza ultimi messaggi:  Ordina per  
nuovo argomento
rispondi
Pagina 1 di 1 [ 3 messaggi ]

Tutti gli orari sono UTC + 1 ora [ ora legale ]


Chi c’è in linea

Visitano il forum: Nessuno e 1 ospite


Non puoi aprire nuovi argomenti
Non puoi rispondere negli argomenti
Non puoi modificare i tuoi messaggi
Non puoi cancellare i tuoi messaggi
Non puoi inviare allegati

Cerca per:
Vai a: