Benvenuto Ospite

Forum Entomologi Italiani

www.entomologiitaliani.net/forum
 
Oggi è 27/12/2025, 16:58

Tutti gli orari sono UTC + 1 ora [ ora legale ]

Eumenes sp. - Vespidae

13.X.2013 - ITALIA - Sardegna - CA, Saline di Cagliari, leg. R. Rattu


nuovo argomento
rispondi
Pagina 1 di 1 [ 11 messaggi ]
Autore Messaggio
 Oggetto del messaggio: Eumenes sp. - Vespidae
MessaggioInviato: 18/10/2013, 12:29 
Avatar utente

Iscritto il: 02/09/2009, 20:57
Messaggi: 8703
Località: Cagliari
Nome: Roberto Rattu
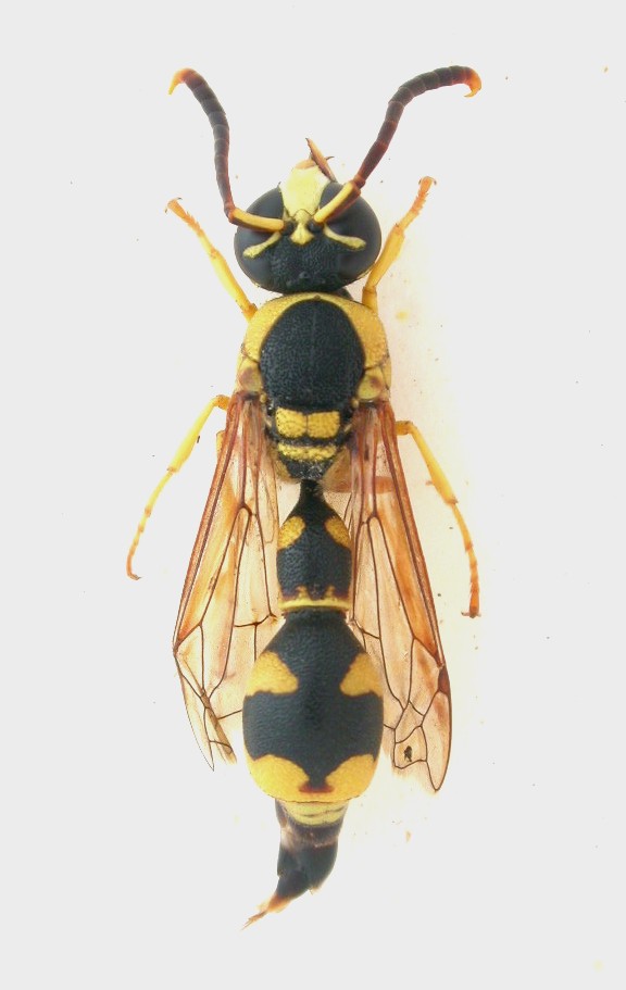
Questo esemplare misura circa 14 mm. Mi è sembrato un po' diverso rispetto a quelli che vedo solitamente.

DSCN5801.JPG



DSCN5803.JPG



DSCN5802.JPG



DSCN5808.JPG



Top
profilo
 Oggetto del messaggio: Re: Eumenes sp. - Vespidae
MessaggioInviato: 18/10/2013, 13:41 
Avatar utente

Iscritto il: 01/07/2010, 22:26
Messaggi: 5650
Località: Viterbo
Nome: Marco Selis
Fumea crassiorella ha scritto:
Mi è sembrato un po' diverso rispetto a quelli che vedo solitamente.


A me sembra un normalissimo maschio di Eumenes sp. :roll: Per determinarlo servono le solite foto della peluria di tempie, propleure ed addome.


Top
profilo
 Oggetto del messaggio: Re: Eumenes sp. - Vespidae
MessaggioInviato: 08/12/2013, 19:27 
Avatar utente

Iscritto il: 01/07/2010, 22:26
Messaggi: 5650
Località: Viterbo
Nome: Marco Selis
Roberto potresti fare una foto laterale della testa in cui si possa vedere se il retro presenta della peluria lunga o solo della pubescenza brevissima?


Top
profilo
 Oggetto del messaggio: Re: Eumenes sp. - Vespidae
MessaggioInviato: 09/12/2013, 20:06 
Avatar utente

Iscritto il: 02/09/2009, 20:57
Messaggi: 8703
Località: Cagliari
Nome: Roberto Rattu
Andricus ha scritto:
Roberto potresti fare una foto laterale della testa in cui si possa vedere se il retro presenta della peluria lunga o solo della pubescenza brevissima?

Sì, se riesco a ritrovare l'eppendorf che contiene l'esemplare nei meandri del freezer :oops:

:hi:


Top
profilo
 Oggetto del messaggio: Re: Eumenes sp. - Vespidae
MessaggioInviato: 11/02/2014, 1:10 
Avatar utente

Iscritto il: 01/07/2010, 22:26
Messaggi: 5650
Località: Viterbo
Nome: Marco Selis
Roberto l'hai più ritrovato?


Top
profilo
 Oggetto del messaggio: Re: Eumenes sp. - Vespidae
MessaggioInviato: 11/02/2014, 12:19 
Avatar utente

Iscritto il: 02/09/2009, 20:57
Messaggi: 8703
Località: Cagliari
Nome: Roberto Rattu
Andricus ha scritto:
Roberto l'hai più ritrovato?


Ehm, no! :oops: :oops:


Top
profilo
 Oggetto del messaggio: Re: Eumenes sp. - Vespidae
MessaggioInviato: 11/02/2014, 19:57 
Avatar utente

Iscritto il: 01/07/2010, 22:26
Messaggi: 5650
Località: Viterbo
Nome: Marco Selis
Allora per il momento sposto la discussione tra i Vespidi indeterminati.


Top
profilo
 Oggetto del messaggio: Re: Eumenes sp. - Vespidae
MessaggioInviato: 28/02/2015, 15:14 
Avatar utente

Iscritto il: 01/07/2010, 22:26
Messaggi: 5650
Località: Viterbo
Nome: Marco Selis
Stavo riguardando questo esemplare e mi sono accorto che probabilmente è una specie ancora non presente sul forum.
Roberto, se lo ritrovi potresti fare una foto laterale della testa per vedere bene la peluria sul retro?


Top
profilo
 Oggetto del messaggio: Re: Eumenes sp. - Vespidae
MessaggioInviato: 01/03/2015, 20:55 
Avatar utente

Iscritto il: 02/09/2009, 20:57
Messaggi: 8703
Località: Cagliari
Nome: Roberto Rattu
Controllerò appena posso; sono a Malta e per ora dovrai accontentarti dei vespidi delle Isole Calipsee :)

:hi:


Top
profilo
 Oggetto del messaggio: Re: Eumenes sp. - Vespidae
MessaggioInviato: 01/03/2015, 21:01 
Avatar utente

Iscritto il: 01/07/2010, 22:26
Messaggi: 5650
Località: Viterbo
Nome: Marco Selis
Fumea crassiorella ha scritto:
Controllerò appena posso; sono a Malta e per ora dovrai accontentarti dei vespidi delle Isole Calipsee :)


Già ne hai trovati? :p


Top
profilo
 Oggetto del messaggio: Re: Eumenes sp. - Vespidae
MessaggioInviato: 01/03/2015, 21:55 
Avatar utente

Iscritto il: 02/09/2009, 20:57
Messaggi: 8703
Località: Cagliari
Nome: Roberto Rattu
Andricus ha scritto:
Fumea crassiorella ha scritto:
Controllerò appena posso; sono a Malta e per ora dovrai accontentarti dei vespidi delle Isole Calipsee :)


Già ne hai trovati? :p


Yessssss ;)

:hi:


Top
profilo
Visualizza ultimi messaggi:  Ordina per  
nuovo argomento
rispondi
Pagina 1 di 1 [ 11 messaggi ]

Tutti gli orari sono UTC + 1 ora [ ora legale ]


Chi c’è in linea

Visitano il forum: Nessuno e 1 ospite


Non puoi aprire nuovi argomenti
Non puoi rispondere negli argomenti
Non puoi modificare i tuoi messaggi
Non puoi cancellare i tuoi messaggi
Non puoi inviare allegati

Cerca per:
Vai a: