Benvenuto Ospite

Forum Entomologi Italiani

www.entomologiitaliani.net/forum
 
Oggi è 22/10/2025, 10:37

Tutti gli orari sono UTC + 1 ora [ ora legale ]

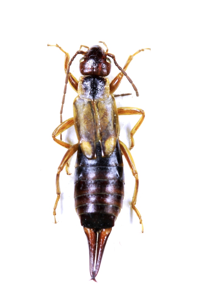
Forficula auricularia Linnaeus, 1758 - Forficulidae

IV.2014 - ITALIA - Lazio - RM, Comune di Roma, Macchia di Setteville/Marco Simone


nuovo argomento
rispondi
Pagina 1 di 1 [ 2 messaggi ]
Autore Messaggio
MessaggioInviato: 13/12/2014, 12:21 
Avatar utente

Iscritto il: 29/06/2010, 22:51
Messaggi: 830
Località: Fonte Nuova (RM)
Nome: Davide Brocchieri
qui direi Forficula auricularia però sarebbe gradita conferma....16 mm compresi "cerci"....è giusto chiamarli così?
IMG_9896_cr.jpg


_________________
Ciao
Davide :hi:


Top
profilo
 Oggetto del messaggio: Re: dermattero
MessaggioInviato: 13/12/2014, 15:30 
Avatar utente

Iscritto il: 04/02/2014, 11:12
Messaggi: 174
Località: Vicenza (VI)
Nome: Carraro Antonio
:ok: F.auricularia


Top
profilo
Visualizza ultimi messaggi:  Ordina per  
nuovo argomento
rispondi
Pagina 1 di 1 [ 2 messaggi ]

Tutti gli orari sono UTC + 1 ora [ ora legale ]


Chi c’è in linea

Visitano il forum: Nessuno e 1 ospite


Non puoi aprire nuovi argomenti
Non puoi rispondere negli argomenti
Non puoi modificare i tuoi messaggi
Non puoi cancellare i tuoi messaggi
Non puoi inviare allegati

Cerca per:
Vai a: