Benvenuto Ospite

Forum Entomologi Italiani

www.entomologiitaliani.net/forum
 
Oggi è 22/10/2025, 20:32

Tutti gli orari sono UTC + 1 ora [ ora legale ]

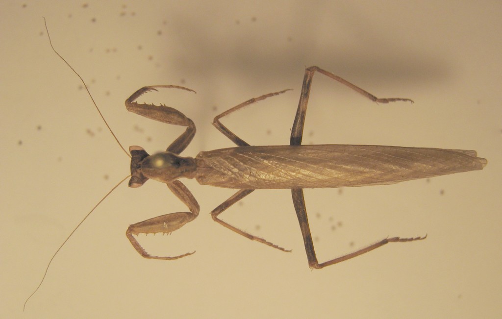
Ameles sp. maschio

1.VI.2009 - ITALIA - Sardegna - CA, San Vito, San Priamo


nuovo argomento
rispondi
Pagina 1 di 1 [ 3 messaggi ]
Autore Messaggio
 Oggetto del messaggio: Ameles sp. maschio
MessaggioInviato: 27/07/2009, 11:14 
Avatar utente

Iscritto il: 04/02/2009, 17:49
Messaggi: 5509
Località: Cagliari
Nome: Daniele Sechi
Sardegna (CA) San Vito, San Priamo 1 giugno 2009


IMG_1109.jpg

IMG_1107.jpg

IMG_1108.jpg


_________________
:hi:
Daniele
Top
profilo
 Oggetto del messaggio: Re: Ameles sp. maschio
MessaggioInviato: 18/08/2009, 7:46 
Avatar utente

Iscritto il: 04/02/2009, 17:49
Messaggi: 5509
Località: Cagliari
Nome: Daniele Sechi
Nessuno??

_________________
:hi:
Daniele


Top
profilo
 Oggetto del messaggio: Re: Ameles sp. maschio
MessaggioInviato: 18/08/2009, 9:58 
Avatar utente

Iscritto il: 20/07/2009, 16:32
Messaggi: 5812
Località: Sassari (SS)
Nome: Mauro Doneddu
Sicuramente Ameles per gli occhi conici, ma non A. spallanzania che ha un solco trasversale sul pronoto che manca al tuo esemplare. Per esclusione direi A. decolor.

_________________
:hi:
Mauro


Top
profilo
Visualizza ultimi messaggi:  Ordina per  
nuovo argomento
rispondi
Pagina 1 di 1 [ 3 messaggi ]

Tutti gli orari sono UTC + 1 ora [ ora legale ]


Chi c’è in linea

Visitano il forum: Nessuno e 1 ospite


Non puoi aprire nuovi argomenti
Non puoi rispondere negli argomenti
Non puoi modificare i tuoi messaggi
Non puoi cancellare i tuoi messaggi
Non puoi inviare allegati

Cerca per:
Vai a: