| Autore |
Messaggio |
|
Plagionotus
|
Inviato: 24/07/2010, 14:05 |
|
Iscritto il: 21/05/2009, 14:59 Messaggi: 6994 Località: Parigi
Nome: Riccardo Poloni
|
Grazie Maurizio, purtroppo nessun Cerambycidae, anche se ho controllato bene. In compenso quando vado dai miei parenti in Veneto in agosto spero di trovare qualcosa, magari specie che non si trovano da noi, oltre alla Cetonischema che è comunissima, anzi, adesso chiedo a Marco Uliana (Glaphyrus)  .
_________________ Riccardo Poloni La dignità degli elementi la libertà della poesia, al di là dei tradimenti degli uomini è magia, è magia, è magia... Negrita, Rotolando verso sud
|
|
| Top |
|
 |
|
AleP
|
Inviato: 25/05/2011, 23:11 |
|
Iscritto il: 23/09/2009, 15:14 Messaggi: 1394 Località: Verona
Nome: Alessandro Pinna
|
Ciao a tutti: questa discussione affascinante mi ha stimolato a piazzare delle trappole (già sperimentate con successo l'anno scorso nel mio giardino dove hanno fruttato 1 Cetonischema aeruginosa). Ho sistemato 6 trappole ai limiti di un bosco misto di latifoglie a quota collinare, intorno ai 100 mt slm. 4 trappole erano bottiglie con il collo tagliato e reinserito a rovescio (tipo nassa per colotteri acquatici per intenderci, le chiamerò tipo 1) mentre 2 erano secondo il modello "classico" (bottiglia di plastica con due finestrelle aperte ad una certa altezza, tipo 2). La mia intenzione era anche di confrontare i due modelli. Tutte innescate con vino rosso e zucchero. In solo due giorni le trappole hanno catturato talmente tanto che neppure si vedeva più la miscela perchè completamente piena di insetti galleggianti ed "affondanti". Le trappole del tipo 1 hanno catturato quasi solamente falene e ditteri vari (eccezion fatta per un Clytus sp.) mentre le due trappole del tipo 2 erano spaventosamente piene di coleotteri  oltre che della stessa miscela di ditteri e falene. In esse, oltre al citato mix falene-ditteri, ad alcune Vespa crabro ed alcuni altri ritrovamenti "singolari" (es 1 Tettigonia, 1 Zabrus sp.) ho raccolto: -moltissime Caetonia aurata, la maggior parte liberate perchè fortunatamente ancora vive -parecchie Potosia cuprea, anch'esse in parte liberate -4 Caetonischema aeruginosa -1 Potosia angustata -1 Oxytrea funesta -5 Cerambyx scopolii -1 Rhamnusium -1 Mesosa curculionoides -1 Clytus -2 altri cerambicidae da identificare In particolare alcuni dei cerambicidae sono assai danneggiati  , credo a causa delle loro stesse mandibole e di quelle dei calabroni che devono aver venduto cara la pelle prima di passare a miglior vita. Prossimo obiettivo: un'altra zona a quota leggermente più elevata, ma metterò l'isoletta di polistirolo suggerita onde evitare strage di farfalle e ditteri. 
_________________ AleP
|
|
| Top |
|
 |
|
Julodis
|
Inviato: 26/05/2011, 7:45 |
|
Iscritto il: 30/12/2009, 22:20 Messaggi: 31564 Località: Roma
Nome: Maurizio Gigli
|
|
Ciao Alessandro. La differenza di efficacia probabilmente non è dovuta al tipo 1 e tipo 2, quanto alla posizione in cui erano. Da un punto all'altro possono cambiare fattori decisivi, come insolazione, esposizione al vento, ecc. Io personalmente preferisco quelle che chiami di tipo 2, perchè sono più veloci da fare, l'odore si diffonde meglio per le correnti d'aria che si creano all'interno quando c'è anche un filo di vento, e perchè con le finestre laterali ogni tanto ci entra per caso qualcosa che vola lì intorno, anche se non è attirato dall'esca in fermentazione (spero sempre che ci vada qualche Buprestide di quelli che volano intorno alla chioma degli alberi, tipo Eurythyrea quercus).
|
|
| Top |
|
 |
|
Maw89
|
Inviato: 26/05/2011, 9:16 |
|
Iscritto il: 08/06/2009, 0:06 Messaggi: 3415 Località: Feltre(BL)
Nome: Nicola Dal Zotto
|
|
Niente male Alessandro! E che C... per il Rhamnusium!
_________________ Nicola Dal Zotto
|
|
| Top |
|
 |
|
Plagionotus
|
Inviato: 26/05/2011, 13:41 |
|
Iscritto il: 21/05/2009, 14:59 Messaggi: 6994 Località: Parigi
Nome: Riccardo Poloni
|
Maw89 ha scritto: Niente male Alessandro! E che C... per il Rhamnusium! Quoto 
_________________ Riccardo Poloni La dignità degli elementi la libertà della poesia, al di là dei tradimenti degli uomini è magia, è magia, è magia... Negrita, Rotolando verso sud
|
|
| Top |
|
 |
|
AleP
|
Inviato: 27/05/2011, 11:10 |
|
Iscritto il: 23/09/2009, 15:14 Messaggi: 1394 Località: Verona
Nome: Alessandro Pinna
|
Plagionotus ha scritto: Maw89 ha scritto: Niente male Alessandro! E che C... per il Rhamnusium! Quoto  Scusate ma essendo appassionato più di adefagi non conosco così profondamente i cerambicidi: il Rhamnusium è un genere raro? Julodis ha scritto: Ciao Alessandro. La differenza di efficacia probabilmente non è dovuta al tipo 1 e tipo 2, quanto alla posizione in cui erano. Da un punto all'altro possono cambiare fattori decisivi, come insolazione, esposizione al vento, ecc. Io personalmente preferisco quelle che chiami di tipo 2, perchè sono più veloci da fare, l'odore si diffonde meglio per le correnti d'aria che si creano all'interno quando c'è anche un filo di vento, e perchè con le finestre laterali ogni tanto ci entra per caso qualcosa che vola lì intorno, anche se non è attirato dall'esca in fermentazione (spero sempre che ci vada qualche Buprestide di quelli che volano intorno alla chioma degli alberi, tipo Eurythyrea quercus). Nel mio "esperimento" le trappole erano poste tutte in posizione analoga a circa 15 mt una dall'altra: credo di poter dire quindi che, a grandi linee, esse avevano le medesime potenzialità di cattura e quindi il tipo 2 (che anche tu preferisci per i motivi che elenchi e che condivido) è risultato migliore. Riguardo al bupestride che citi: sui fiori alla base degli alberi ho raccolto diversi piccoli bupestridi che devo identificare ( Anthaxia e simili), vediamo se le trappole, che riposizionerò in zone analoghe, daranno qualche specie interessante. Siamo solo all'inizio! Vi terrò aggiornati.
_________________ AleP
|
|
| Top |
|
 |
|
Maw89
|
Inviato: 27/05/2011, 13:07 |
|
Iscritto il: 08/06/2009, 0:06 Messaggi: 3415 Località: Feltre(BL)
Nome: Nicola Dal Zotto
|
AleP ha scritto: Plagionotus ha scritto: Maw89 ha scritto: Niente male Alessandro! E che C... per il Rhamnusium! Quoto  Scusate ma essendo appassionato più di adefagi non conosco così profondamente i cerambicidi: il Rhamnusium è un genere raro? Direi proprio di si! Ci fai una foto della bestiola? 
_________________ Nicola Dal Zotto
|
|
| Top |
|
 |
|
Julodis
|
Inviato: 30/05/2011, 7:55 |
|
Iscritto il: 30/12/2009, 22:20 Messaggi: 31564 Località: Roma
Nome: Maurizio Gigli
|
AleP ha scritto: Scusate ma essendo appassionato più di adefagi non conosco così profondamente i cerambicidi: il Rhamnusium è un genere raro? Più che raro, è difficile da trovare per le sue particolari abitudini. Se ci si mette a cercarlo seriamente, prima o poi si trova, e c'è pure chi riesce a trovarne discrete serie (non io, che ne ho trovati solo tre da quando cerco insetti) AleP ha scritto: Riguardo al bupestride che citi: sui fiori alla base degli alberi ho raccolto diversi piccoli bupestridi che devo identificare (Anthaxia e simili), vediamo se le trappole, che riposizionerò in zone analoghe, daranno qualche specie interessante. Siamo solo all'inizio! Da un lato ti auguro di trovarlo, ma dall'altro, ti avverto che se per caso becchi una Eurythyrea quercus in una trappola sugli alberi, io, Izzillo e tutti gli altri buprestidologi che cerchiamo inutilmente da anni di trovarle, organizziamo una spedizione punitiva! In Italia è una specie estremamente rara. Fino ad oggi io ho trovato solo un paio di elitre in un cavo di un vecchio castagno, e nemmeno in Italia, ma in Spagna! I ritrovamenti più vicini alle tue parti sono di Bolzano, Ora e Trieste. Quindi potrebbe esserci anche da te. Vive prevalentemente su varie specie di quercia e forse più di frequente sui castagni. La larva attacca di solito parti morte del tronco di alberi vivi, spesso nelle parti alte della pianta, e l'adulto si mantiene in genere sulla chioma della pianta ospite. Si può casualmente trovare in deposizione od in accoppiamento sui tronchi.
|
|
| Top |
|
 |
|
AleP
|
Inviato: 09/06/2011, 12:01 |
|
Iscritto il: 23/09/2009, 15:14 Messaggi: 1394 Località: Verona
Nome: Alessandro Pinna
|
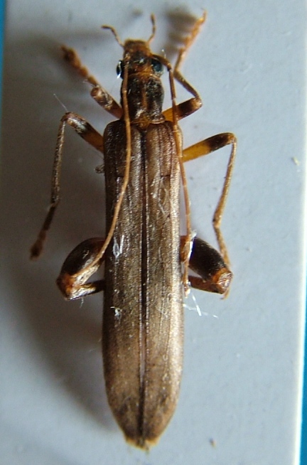
Ciao a tutti. Ecco finalmente ho trovato il tempo di fare due foto. Temo di essermi sbagliato con il Rhamnusium  in ogni caso chiedo a chi ne sa più di me se sia possibile determinare le due bestiole in oggetto, prese come descritto con trappole aeree.
_________________ AleP
|
|
| Top |
|
 |
|
AleP
|
Inviato: 09/06/2011, 12:01 |
|
Iscritto il: 23/09/2009, 15:14 Messaggi: 1394 Località: Verona
Nome: Alessandro Pinna
|
|
Ecco la seconda, scusate per la qualità non eccelsa degli scatti.
_________________ AleP
|
|
| Top |
|
 |
|
FORBIX
|
Inviato: 09/06/2011, 12:09 |
|
Iscritto il: 17/02/2009, 0:05 Messaggi: 8521 Località: Isola d'Elba - Arcipelago Toscano
Nome: Leonardo Forbicioni
|
Per il Cerambycidae, non mi sbilancio, ma l' Oedemeridae dovrebbe essere un maschio di Oedemera (Oncomera) femoralis Olivier, 1803. Bella bestiola!!! 
_________________ "Stay hungry, stay foolish". Steve Jobs, 2005 ___________________ jjuniper8(at)gmail.com Twitter: @weevil_forbixcell. 339/5275910 ___________________
|
|
| Top |
|
 |
|
AleP
|
Inviato: 09/06/2011, 12:32 |
|
Iscritto il: 23/09/2009, 15:14 Messaggi: 1394 Località: Verona
Nome: Alessandro Pinna
|
Grazie Leonardo, in effetti sembra proprio lei. Mai vista "dal vivo", le trappole permettono proprio di scoprire bestiole interessanti! Ora aspetto di essere bacchettato sull'errata determinazione del cerambicide... 
_________________ AleP
|
|
| Top |
|
 |
|
FORBIX
|
Inviato: 09/06/2011, 12:55 |
|
Iscritto il: 17/02/2009, 0:05 Messaggi: 8521 Località: Isola d'Elba - Arcipelago Toscano
Nome: Leonardo Forbicioni
|
AleP ha scritto: Ora aspetto di essere bacchettato sull'errata determinazione del cerambicide...  Beh! In effetti a me il tuo Cerambycide mi sembra una delle molte forme di Phymatodes testaceus (Linnaeus, 1758).....ma non mi fido molto di me stesso con i Longicorni!!
_________________ "Stay hungry, stay foolish". Steve Jobs, 2005 ___________________ jjuniper8(at)gmail.com Twitter: @weevil_forbixcell. 339/5275910 ___________________
|
|
| Top |
|
 |
|
Julodis
|
Inviato: 09/06/2011, 14:04 |
|
Iscritto il: 30/12/2009, 22:20 Messaggi: 31564 Località: Roma
Nome: Maurizio Gigli
|
|
Condivido l'opinione di Leonardo su entrambe le specie. Mi sembrava strano che avessi preso il Rhamnusium in trappola, a meno di averla messa nel cavo di un albero. Però non si può mai sapere.
|
|
| Top |
|
 |
|
AleP
|
Inviato: 10/06/2011, 9:06 |
|
Iscritto il: 23/09/2009, 15:14 Messaggi: 1394 Località: Verona
Nome: Alessandro Pinna
|
Grazie dei chiarimenti. Come vedete di cerambicidi sono piuttosto ignorante. Da piccolo ricordo che divisi le attività sulla collezione con mio fratello dandogli appunto i cerambicidi che a me interessavano poco (io avevo la fissa per carabidi e ditiscidi, e c'è l'ho ancora!  ). Adesso però mi sto appassionando un sacco anche ai cerambicidi, passione dei 40 anni? Ieri stufo della semi-inattività da pioggia ho rimesso delle trappole nella stessa zona, ma su alberi diversi ed in aree meno esposte. In particolare sono andato alla ricerca di querce morte o morenti. Ne ho trovate diverse me purtroppo tutte di diametro limitato (max 25-30 cm). Il mio sogno è il cerdo o ancor più il miles, segnalati nelle mie zone. Purtroppo però le querce non le lasciano crescere molto perchè i boschi son governati a ceduo e così finora non son riuscito a trovare nessuna grossa quercia con segni di attacco. Sapete se il C. miles sia catturabile con trappole aeree?
_________________ AleP
|
|
| Top |
|
 |
|