| Autore |
Messaggio |
|
Julodis
|
Inviato: 16/03/2011, 15:52 |
|
Iscritto il: 30/12/2009, 22:20 Messaggi: 31564 Località: Roma
Nome: Maurizio Gigli
|
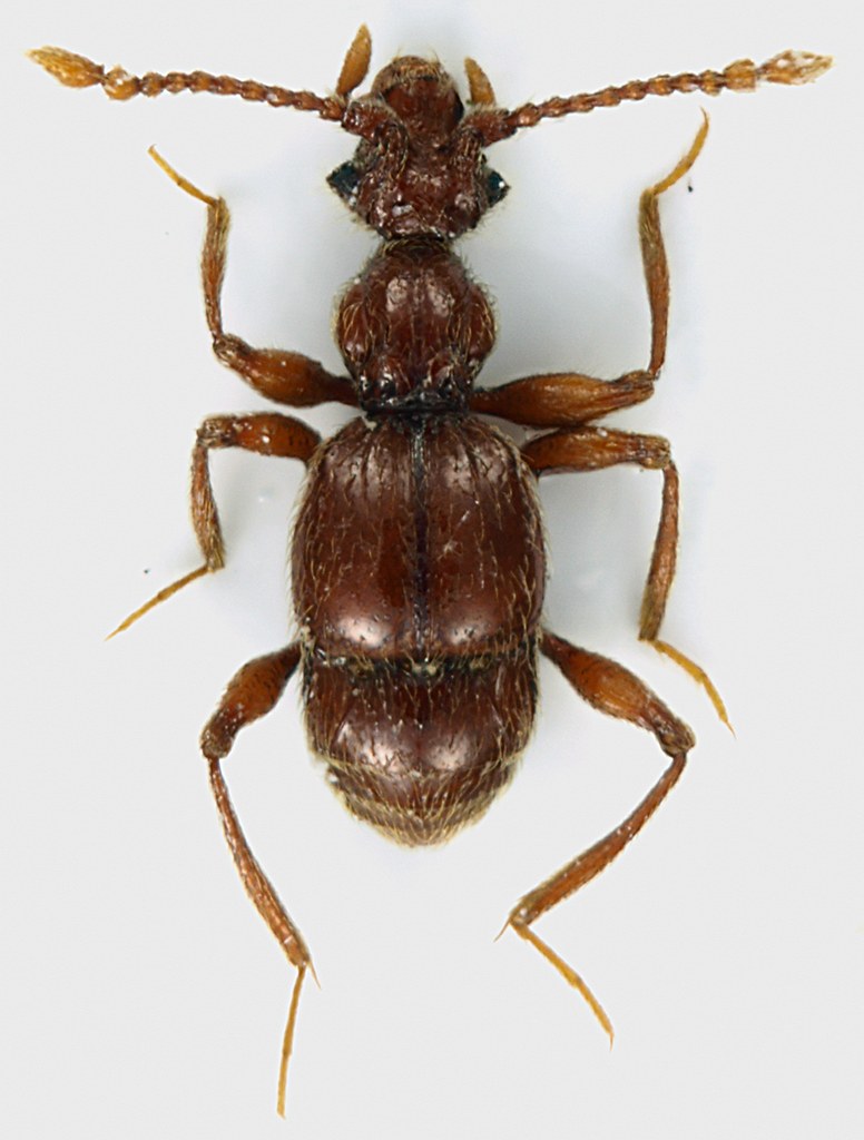
Questo Staphilinidae Pselaphino è la specie più grande che abbia trovato fino ad oggi: circa 2,5 mm in media! Era in compagnia di altri tre, vaganti sulla corteccia bagnata di un vecchio salice morto ma in piedi, verso mezzogiorno di una giornata piovosa. Fino a poco più di un anno fa non avevo mai raccolto uno Pselafino, ora li trovo pure a vista quando non li cerco! Purtroppo uno dei quattro mi è scappato mentre cercavo di fotografarlo, e oltretutto le foto non sono venute, probabilmente per la scheda di memoria che faceva contatto male (si saranno ossidati i contatti per l'umidità dell'aria in quella giornata pessima). Lazio, Roma, Via di Settebagni, 14.III.2011, M. Gigli legit 2,45 mm Questa specie sono quasi certo che non sia ancora presente sul Forum, per una caratteristica che la distingue da tutte le altre (oltre alle dimensioni): gli occhi conici, che finiscono a punta verso l'esterno.
|
|
| Top |
|
 |
|
Loriscola
|
Inviato: 16/03/2011, 16:17 |
|
Iscritto il: 05/02/2009, 17:25 Messaggi: 4894 Località: Zola Predosa (BO)
Nome: Loris Colacurcio
|
Spettacolare !!!  2.5 mm ? è davvero immenso... Deve essere vicino ai Paramaurops (o Amaurops o Batrisodes), è molto molto simile alla bestiola postata da Andrea qualche tempo fa, solo che quella era endogea ed anoftalma, mentre questa ci vede benissimo ! Vedi qui: http://www.dnp.go.th/foremic/entomology ... UMB05.htmlMi raccomando, torna in loco e trova qualche altro esemplare.... 
_________________ Loris
|
|
| Top |
|
 |
|
Honza
|
Inviato: 16/03/2011, 16:28 |
|
Iscritto il: 09/11/2009, 14:12 Messaggi: 5194 Località: Hradec Kralove,Czech republik
Nome: Jan Matějíček
|
|
Paramaurops exaratus romanus (Raffray, 1906)
_________________ Research Fields Taxonomy, ecology, biomonitoring , faunistic of Staphylinidae
|
|
| Top |
|
 |
|
Loriscola
|
Inviato: 16/03/2011, 17:45 |
|
Iscritto il: 05/02/2009, 17:25 Messaggi: 4894 Località: Zola Predosa (BO)
Nome: Loris Colacurcio
|
tre fontane...sette bagni...non mi dire che è zona ricca di fonti !! 
_________________ Loris
|
|
| Top |
|
 |
|
Centrotoma
|
Inviato: 16/03/2011, 18:19 |
|
Iscritto il: 31/01/2010, 13:28 Messaggi: 172 Località: Prague, Czech republic
Nome: Adam Šíma
|
Honza ha scritto: Paramaurops exaratus romanus (Raffray, 1906) Honza, why do you think it is Paramaurops and moreover P. exaratus and moremoreover P. e. romanus??????????????? It´s very probably Batrisodes oculatus. Can you see the pointed eyes?
|
|
| Top |
|
 |
|
Honza
|
Inviato: 16/03/2011, 19:01 |
|
Iscritto il: 09/11/2009, 14:12 Messaggi: 5194 Località: Hradec Kralove,Czech republik
Nome: Jan Matějíček
|
my mistake 
_________________ Research Fields Taxonomy, ecology, biomonitoring , faunistic of Staphylinidae
|
|
| Top |
|
 |
|
Julodis
|
Inviato: 16/03/2011, 22:05 |
|
Iscritto il: 30/12/2009, 22:20 Messaggi: 31564 Località: Roma
Nome: Maurizio Gigli
|
Thank you very much to all! Loriscola ha scritto: Vedi qui: http://www.dnp.go.th/foremic/entomology ... UMB05.htmlMi raccomando, torna in loco e trova qualche altro esemplare....  Loris, grazie del link! Bel sito che non conoscevo. Non ti preoccupare. Su quattro che ne ho visti, tre sono riuscito a prenderli, e senza usare l'aspiratore! Quindi, almeno uno per te c'è. (Gli altri due sono ancora nel barattolo, ma penso siano della stessa specie. Erano a spasso insieme! Che rabbia che le foto non sono state memorizzate! Non capita spesso di vedere degli insetti simili che se ne vanno in giro tranquillamente allo scoperto! Loriscola ha scritto: tre fontane...sette bagni...non mi dire che è zona ricca di fonti !!  In realtà, anche se non molti lo sanno, il Lazio è una delle zone d'Italia più ricche di sorgenti, di varia origine, da quelle idrotermali, a quelle di risorgiva. Alcune stanno anche nell'estrema periferia di Roma, oltre che nella città stessa (queste ultime, però, sono captate, nel migliore dei casi c'è sopra una fontanella). Nella zona di Via di Settebagni, a pochi minuti da casa mia, (Roma Nord) ci sono alcune sorgenti, che originano dei fossi, che finiscono direttamente o indirettamente nel Tevere; purtroppo vengono spesso ripuliti, quindi non c'è molto, e poi passano tra i campi coltivati. La zona di Tre Fontane è invece dal lato opposto di Roma, lungo la Laurentina (lato Sud della città). Tutto un altro ambiente, ora completamente urbanizzato. Vedo che quelle citazioni riprese dal volume "Insetti di Roma", che da qualche parte dovrei avere, sono tutte belle vecchiotte! Chissà se dopo il 1941 l'hanno più ritrovato?
|
|
| Top |
|
 |
|
Loriscola
|
Inviato: 18/03/2011, 9:15 |
|
Iscritto il: 05/02/2009, 17:25 Messaggi: 4894 Località: Zola Predosa (BO)
Nome: Loris Colacurcio
|
 Grazie !!! Da quel pochissimo che sono riuscito a scoprire sembrano bestiole in qualche modo legate alle formiche.....se ci ricapiti prova a guardare se l'albero racchiude un qualche formicaio. Hai ragione è un peccato per le foto  non è cosa da tutti i giorni poter vedere uno di questi piccolini in natura . Per il sito, in realtà dovrei essere io a ringraziarti...neanche io lo conoscevo e l'ho scoperto cercando un'immagine di un Paramaurops da confrontare con la tua bestiola  Guardandoci un po', hai notato che bestie meravigliose che ci sono ? 
_________________ Loris
|
|
| Top |
|
 |
|
Julodis
|
Inviato: 18/03/2011, 21:00 |
|
Iscritto il: 30/12/2009, 22:20 Messaggi: 31564 Località: Roma
Nome: Maurizio Gigli
|
Loriscola ha scritto: :hp: Grazie !!! Da quel pochissimo che sono riuscito a scoprire sembrano bestiole in qualche modo legate alle formiche.....se ci ricapiti prova a guardare se l'albero racchiude un qualche formicaio. Hai ragione è un peccato per le foto  non è cosa da tutti i giorni poter vedere uno di questi piccolini in natura . Per il sito, in realtà dovrei essere io a ringraziarti...neanche io lo conoscevo e l'ho scoperto cercando un'immagine di un Paramaurops da confrontare con la tua bestiola  Guardandoci un po', hai notato che bestie meravigliose che ci sono ?  C'erano sicuramente delle formiche che si aggiravano su quel tronco, e spaccando un pezzo di un'altra parte (si biforca quasi alla base) ho visto che nelle vecchie gallerie degli xilofagi c'era un formicaio, ma non mi chiedere quale specie, perchè di formiche non so quasi nulla. Tornando al sito tailandese, le foto non sono sensazionali (salvo alcune). In buona parte sono circa al livello delle mie, ovvero scarsette. Però le specie sono molto belle, ed è interessante che una fauna così lontana geograficamente dalla nostra presenti specie così simili alle nostre.
|
|
| Top |
|
 |
|