Benvenuto Ospite

Forum Entomologi Italiani

www.entomologiitaliani.net/forum
 
Oggi è 06/11/2025, 11:16

Tutti gli orari sono UTC + 1 ora [ ora legale ]

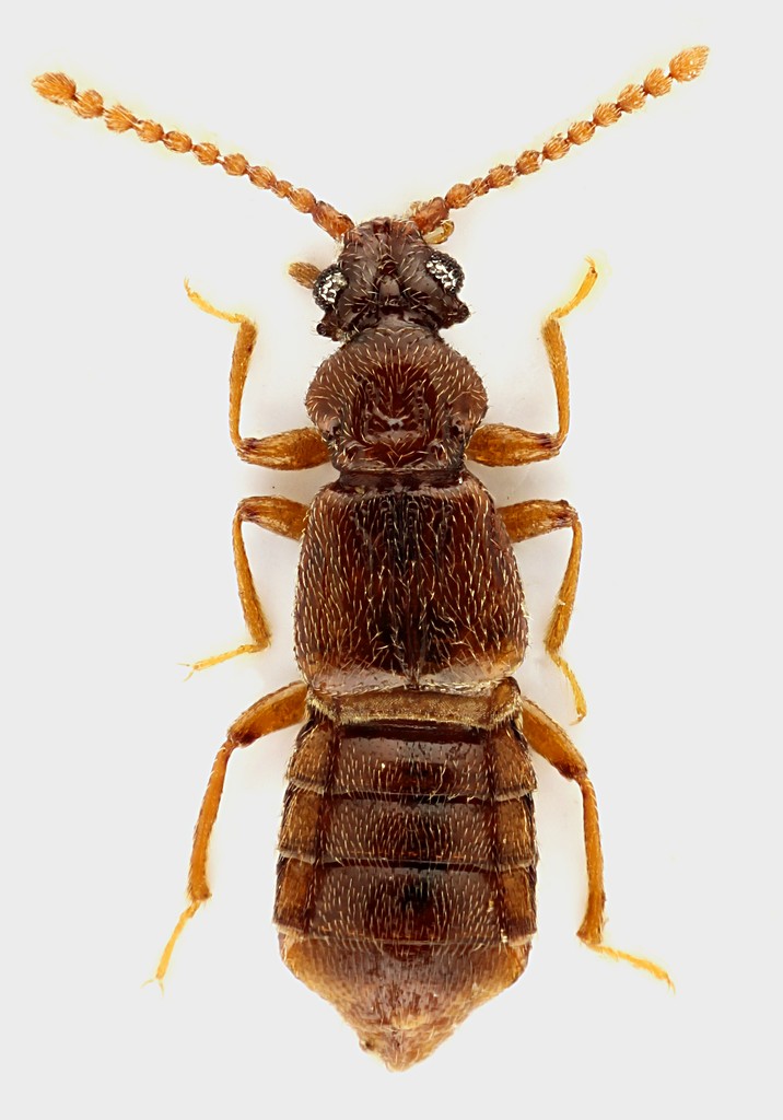
Faronus lafertei Aubé, 1844 Dettagli della specie

2.XI.2012 - ITALIA - Lazio - RM, Maccarese


nuovo argomento
rispondi
Pagina 1 di 1 [ 4 messaggi ]
Autore Messaggio
MessaggioInviato: 07/11/2012, 23:34 
Avatar utente

Iscritto il: 30/12/2009, 22:20
Messaggi: 31564
Località: Roma
Nome: Maurizio Gigli
Altro Pselaphinae, sempre nel detrito del retroduna alla foce dell'Arrone.

Lazio, Roma, Maccarese, 2.XI.2012, M. Gigli legit

2,1 mm

Pselaphidae_Maccarese_2-XI-2012_2,1mm_grey.jpg



Qui forse si possono vedere particolari utili per l'identificazione

Pselaphidae_Maccarese_2-XI-2012_2,1mm_ant.jpg


_________________
Maurizio Gigli
http://utenti.romascuola.net/bups
http://bup.xoom.it/


Top
profilo
MessaggioInviato: 07/11/2012, 23:45 
Avatar utente

Iscritto il: 05/02/2009, 17:47
Messaggi: 7252
Località: Cagliari
Nome: Piero Leo
Faronus lafertei Aubé, 1844

:) Ciao
Piero


Top
profilo
MessaggioInviato: 08/11/2012, 10:15 
Avatar utente

Iscritto il: 05/02/2009, 17:25
Messaggi: 4894
Località: Zola Predosa (BO)
Nome: Loris Colacurcio
Con quelle belle guanciotte appuntite, direi proprio che è lui :mrgreen: Solo l'edeago (come nel 90% dei casi) potrà dare un certezza definitiva.
Raccogli pure in quantità, visti i risultati .... :sma:

Sarei molto curioso, se possibile, di vedere qualche foto dell'ambiente....con i punti di raccolta dei detriti; giusto per capire come si "muovono" queste bestiole.

:hi:

_________________
Loris


Top
profilo
MessaggioInviato: 08/11/2012, 13:01 
Avatar utente

Iscritto il: 09/11/2009, 14:12
Messaggi: 5145
Località: Hradec Kralove,Czech republik
Nome: Jan Matějíček
forse Faronus aubei Lucas, 1854


Faronus aubei Lucas, 1854.jpg

Faronus  lafertei Aubé, 1844.jpg

Faronus lafertei Aubé, 1844
Faronus lafertei Aubé, 1844.jpg


_________________
Research Fields
Taxonomy, ecology, biomonitoring , faunistic of Staphylinidae
Top
profilo
Visualizza ultimi messaggi:  Ordina per  
nuovo argomento
rispondi
Pagina 1 di 1 [ 4 messaggi ]

Tutti gli orari sono UTC + 1 ora [ ora legale ]


Chi c’è in linea

Visitano il forum: Nessuno e 1 ospite


Non puoi aprire nuovi argomenti
Non puoi rispondere negli argomenti
Non puoi modificare i tuoi messaggi
Non puoi cancellare i tuoi messaggi
Non puoi inviare allegati

Cerca per:
Vai a: