Benvenuto Ospite

Forum Entomologi Italiani

www.entomologiitaliani.net/forum
 
Oggi è 28/10/2025, 20:23

Tutti gli orari sono UTC + 1 ora [ ora legale ]

Bryaxis italicus (Baudi, 1869) Dettagli della specie

V.2015 - ITALIA - Lazio - FR, Serrone


nuovo argomento
rispondi
Pagina 1 di 1 [ 4 messaggi ]
Autore Messaggio
MessaggioInviato: 20/05/2015, 0:33 
Avatar utente

Iscritto il: 30/12/2009, 22:20
Messaggi: 31564
Località: Roma
Nome: Maurizio Gigli
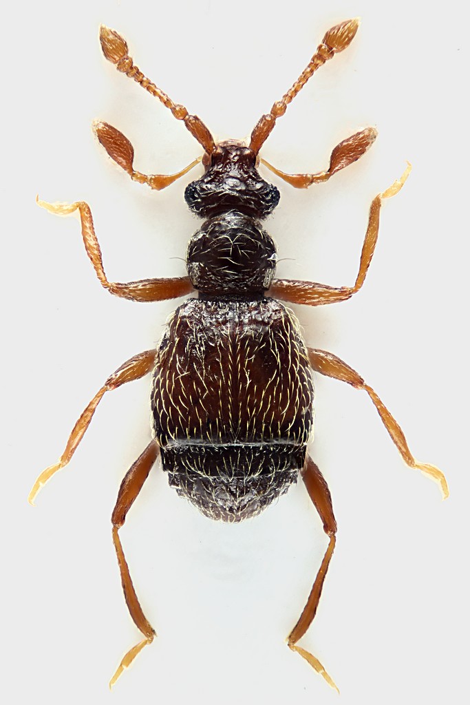
Sapete cosa è questo piccolo Pselaphidae peloso?

Lazio, Frosinone, Serrone, 650 m, sul terrazzo di casa, alla luce nera, 1-17.V.2015

1,35 mm
Pselaphidae_Serrone_1-17-V-2015_1,35mm_grey.jpg


_________________
Maurizio Gigli
http://utenti.romascuola.net/bups
http://bup.xoom.it/


Top
profilo
 Oggetto del messaggio: Re: Staphylinidae Pselaphinae
MessaggioInviato: 20/05/2015, 6:36 
Avatar utente

Iscritto il: 09/11/2009, 14:12
Messaggi: 5145
Località: Hradec Kralove,Czech republik
Nome: Jan Matějíček
Bryaxis italicus (Baudi, 1869) cf.

_________________
Research Fields
Taxonomy, ecology, biomonitoring , faunistic of Staphylinidae


Top
profilo
 Oggetto del messaggio: Re: Staphylinidae Pselaphinae
MessaggioInviato: 20/05/2015, 8:36 
Avatar utente

Iscritto il: 05/02/2009, 17:25
Messaggi: 4894
Località: Zola Predosa (BO)
Nome: Loris Colacurcio
Propenderei anche io per un Bryaxis italicus....femmina.
:hi:

_________________
Loris


Top
profilo
MessaggioInviato: 20/05/2015, 18:57 
Avatar utente

Iscritto il: 30/12/2009, 22:20
Messaggi: 31564
Località: Roma
Nome: Maurizio Gigli
Grazie ad entrambi.

_________________
Maurizio Gigli
http://utenti.romascuola.net/bups
http://bup.xoom.it/


Top
profilo
Visualizza ultimi messaggi:  Ordina per  
nuovo argomento
rispondi
Pagina 1 di 1 [ 4 messaggi ]

Tutti gli orari sono UTC + 1 ora [ ora legale ]


Chi c’è in linea

Visitano il forum: Nessuno e 1 ospite


Non puoi aprire nuovi argomenti
Non puoi rispondere negli argomenti
Non puoi modificare i tuoi messaggi
Non puoi cancellare i tuoi messaggi
Non puoi inviare allegati

Cerca per:
Vai a: