Benvenuto Ospite

Forum Entomologi Italiani

www.entomologiitaliani.net/forum
 
Oggi è 26/10/2025, 4:07

Tutti gli orari sono UTC + 1 ora [ ora legale ]

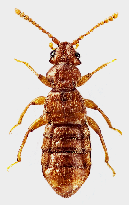
Faronus besucheti Castellini, 1990 - Staphylinidae Pselaphinae Faronitae

26.IV.2015 - ITALIA - Sardegna - OG, Sa Foxi e S'Abba, localita Su Marmuri, m 875, 39°48'58'' N - 9°29'41,24'' E


nuovo argomento
rispondi
Pagina 1 di 1 [ 6 messaggi ]
Autore Messaggio
MessaggioInviato: 03/06/2015, 10:58 
Avatar utente

Iscritto il: 09/11/2009, 14:12
Messaggi: 5145
Località: Hradec Kralove,Czech republik
Nome: Jan Matějíček
Durante ultimo viaggio in Sardegna, ho trovato questo pezzo.Ho pensato che le nuove specie. (Faronus marmuriensis sp. nov. ) - I.Sardegna, Provincie: Ogliastra , Sa Foxi e S'Abba, localita Su Marmuri, m 875, 39°48'58'' N - 9°29'41,24'' E, 26.04.2015 , Matějíček J. lgt.

Ora, io non sono sicuro, Castelini descritto da questa zona Faronus besucheti Castellini, 1990
Ho scritto a un collega Castelini (e mail) - nessuna risposta :?


Faronus besucheti Castellini, 1990.pdf [290.94 KiB]
Scaricato 135 volte
Faronus marmuriensis sp.nov. - Kopie.png

Faronus marmuriensis sp.jpg

Faronus marmuriensis sp.nov.
Faronus marmuriensis sp.nov..jpg

Faronus besucheti Castellini, 1990
Faronus besucheti Castellini, 1990.jpg

annex - aedeagus.jpg


_________________
Research Fields
Taxonomy, ecology, biomonitoring , faunistic of Staphylinidae
Top
profilo
MessaggioInviato: 03/06/2015, 16:09 
Avatar utente

Iscritto il: 05/02/2009, 17:25
Messaggi: 4894
Località: Zola Predosa (BO)
Nome: Loris Colacurcio
Bello !
A me sembra abbastanza simile al Faronus besucheti...ma al contrario ;) , con l'edeago girato dal lato opposto.

C'è però da dire che io non l'ho mai vista questa specie. :oops: .
Appena riesco, provo a guardare "le mie carte" su questo genere.

_________________
Loris


Top
profilo
MessaggioInviato: 03/06/2015, 16:19 
Avatar utente

Iscritto il: 21/09/2014, 11:55
Messaggi: 1561
Località: Istanbul Turkey
Nome: Barış
WOW! :sh:
The aedeagus is only 0,4 mm and look at this photo!Each detail can be seen perfectly.


Top
profilo
MessaggioInviato: 04/06/2015, 11:49 
Avatar utente

Iscritto il: 09/11/2009, 14:12
Messaggi: 5145
Località: Hradec Kralove,Czech republik
Nome: Jan Matějíček
biotopo Sa Foxi e S'Abba


I.Sardegna, Provincie Ogliastra ,territorio Su Marmuri 26.04.2015,Ulassai  Grotta S´ Abba Frida.JPG

I. Sardegna, Provincie Ogliastra ,territorio Su Marmuri 26.04.2015,Ulassai  Grotta S´ Abba Frida.JPG


_________________
Research Fields
Taxonomy, ecology, biomonitoring , faunistic of Staphylinidae
Top
profilo
MessaggioInviato: 04/06/2015, 11:54 
Avatar utente

Iscritto il: 09/11/2009, 14:12
Messaggi: 5145
Località: Hradec Kralove,Czech republik
Nome: Jan Matějíček
Faronus sp. - Faronus besucheti Castellini, 1990


Faronus marmuriensis sp - Kopie.jpg

Faronus marmuriensis sp.nov..jpg


_________________
Research Fields
Taxonomy, ecology, biomonitoring , faunistic of Staphylinidae
Top
profilo
MessaggioInviato: 13/06/2015, 14:54 
Avatar utente

Iscritto il: 09/11/2009, 14:12
Messaggi: 5145
Località: Hradec Kralove,Czech republik
Nome: Jan Matějíček
Dopo diverse consultazioni con esperti su Pselaphinae.Questa è una decisione Faronus besucheti Castellini, 1990

_________________
Research Fields
Taxonomy, ecology, biomonitoring , faunistic of Staphylinidae


Top
profilo
Visualizza ultimi messaggi:  Ordina per  
nuovo argomento
rispondi
Pagina 1 di 1 [ 6 messaggi ]

Tutti gli orari sono UTC + 1 ora [ ora legale ]


Chi c’è in linea

Visitano il forum: Nessuno e 2 ospiti


Non puoi aprire nuovi argomenti
Non puoi rispondere negli argomenti
Non puoi modificare i tuoi messaggi
Non puoi cancellare i tuoi messaggi
Non puoi inviare allegati

Cerca per:
Vai a: